Commune de Altier


9 981
observations

1 782
espèces

152
observateurs
  • Lichens
    Lichen pulmonaire
    Lobaria pulmonaria (L.) Hoffm., 1796
    210 observations
    Dernière observation en 2025 Fiche espèce
  • Lichens
    -
    Peltigera collina (Ach.) Schrad., 1801
    131 observations
    Dernière observation en 2025 Fiche espèce
  • Oiseaux
    Pinson des arbres
    Fringilla coelebs Linnaeus, 1758
    95 observations
    Dernière observation en 2025 Fiche espèce
  • Oiseaux
    Rougegorge familier
    Erithacus rubecula (Linnaeus, 1758)
    88 observations
    Dernière observation en 2025 Fiche espèce
  • Oiseaux
    Mésange noire
    Periparus ater (Linnaeus, 1758)
    85 observations
    Dernière observation en 2025 Fiche espèce
  • Insectes
    -
    Trypodendron lineatum (Olivier, 1800)
    83 observations
    Dernière observation en 2017 Fiche espèce
  • Insectes
    -
    Salpingus planirostris (Fabricius, 1787)
    78 observations
    Dernière observation en 2017 Fiche espèce
  • Insectes
    -
    Rhizophagus ferrugineus (Paykull, 1800)
    74 observations
    Dernière observation en 2017 Fiche espèce
  • Oiseaux
    Grive draine
    Turdus viscivorus Linnaeus, 1758
    69 observations
    Dernière observation en 2025 Fiche espèce
  • Insectes
    -
    Athous subfuscus (O.F. Müller, 1764)
    68 observations
    Dernière observation en 2010 Fiche espèce
  • Oiseaux
    Coucou gris
    Cuculus canorus Linnaeus, 1758
    66 observations
    Dernière observation en 2025 Fiche espèce
  • Insectes
    -
    Melanotus castanipes (Paykull, 1800)
    65 observations
    Dernière observation en 2017 Fiche espèce
  • Insectes
    -
    Dryocoetes autographus (Ratzeburg, 1837)
    64 observations
    Dernière observation en 2017 Fiche espèce
  • Insectes
    -
    Xyleborinus saxesenii (Ratzeburg, 1837)
    62 observations
    Dernière observation en 2017 Fiche espèce
  • Insectes
    -
    Dalopius marginatus (Linnaeus, 1758)
    58 observations
    Dernière observation en 2017 Fiche espèce
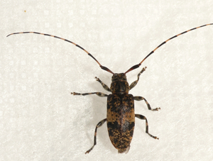
  • Insectes
    Rhagie fâchée
    Rhagium bifasciatum Fabricius, 1775
    55 observations
    Dernière observation en 2021 Fiche espèce
  • Angiospermes
    Hêtre des forêts
    Fagus sylvatica L., 1753
    55 observations
    Dernière observation en 2025 Fiche espèce
  • Mousses
    -
    Buxbaumia viridis (Moug. ex Lam. & DC.) Brid. ex Moug. & Nestl.
    52 observations
    Dernière observation en 2025 Fiche espèce
  • Oiseaux
    Merle noir
    Turdus merula Linnaeus, 1758
    52 observations
    Dernière observation en 2025 Fiche espèce
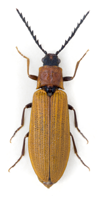
  • Insectes
    Foreur à peigne
    Elateroides dermestoides (Linnaeus, 1761)
    52 observations
    Dernière observation en 2017 Fiche espèce
  • Insectes
    -
    Ptinus subpilosus Sturm, 1837
    51 observations
    Dernière observation en 2010 Fiche espèce
  • Angiospermes
    Moehringie mousse
    Moehringia muscosa L., 1753
    50 observations
    Dernière observation en 2025 Fiche espèce
  • Insectes
    -
    Ampedus erythrogonus (P.W.J. Müller, 1821)
    49 observations
    Dernière observation en 2017 Fiche espèce
  • Oiseaux
    Pouillot véloce
    Phylloscopus collybita (Vieillot, 1817)
    47 observations
    Dernière observation en 2025 Fiche espèce
  • Oiseaux
    Pic noir
    Dryocopus martius (Linnaeus, 1758)
    44 observations
    Dernière observation en 2025 Fiche espèce
  • Insectes
    -
    Anisandrus dispar (Fabricius, 1792)
    44 observations
    Dernière observation en 2017 Fiche espèce
  • Oiseaux
    Geai des chênes
    Garrulus glandarius (Linnaeus, 1758)
    42 observations
    Dernière observation en 2025 Fiche espèce
  • Angiospermes
    Arnica des montagnes
    Arnica montana L., 1753
    42 observations
    Dernière observation en 2025 Fiche espèce
  • Insectes
    Clairon des fourmis
    Thanasimus formicarius (Linnaeus, 1758)
    41 observations
    Dernière observation en 2017 Fiche espèce
  • Insectes
    Rhagie suspicieuse
    Rhagium mordax (De Geer, 1775)
    40 observations
    Dernière observation en 2017 Fiche espèce
  • Gymnospermes
    Sapin blanc
    Abies alba Mill., 1768
    40 observations
    Dernière observation en 2022 Fiche espèce
  • Insectes
    -
    Hypoganus inunctus (Lacordaire, 1835)
    38 observations
    Dernière observation en 2017 Fiche espèce
  • Oiseaux
    Roitelet huppé
    Regulus regulus (Linnaeus, 1758)
    37 observations
    Dernière observation en 2025 Fiche espèce
  • Oiseaux
    Pigeon ramier
    Columba palumbus Linnaeus, 1758
    36 observations
    Dernière observation en 2025 Fiche espèce
  • Oiseaux
    Alouette des champs
    Alauda arvensis Linnaeus, 1758
    36 observations
    Dernière observation en 2025 Fiche espèce
  • Oiseaux
    Roitelet à triple bandeau
    Regulus ignicapilla (Temminck, 1820)
    36 observations
    Dernière observation en 2025 Fiche espèce
  • Oiseaux
    Bouvreuil pivoine
    Pyrrhula pyrrhula (Linnaeus, 1758)
    35 observations
    Dernière observation en 2021 Fiche espèce
  • Insectes
    -
    Hemicoelus costatus (Aragona, 1830)
    35 observations
    Dernière observation en 2017 Fiche espèce
  • Oiseaux
    Troglodyte mignon
    Troglodytes troglodytes (Linnaeus, 1758)
    34 observations
    Dernière observation en 2025 Fiche espèce
  • Oiseaux
    Pipit des arbres
    Anthus trivialis (Linnaeus, 1758)
    33 observations
    Dernière observation en 2025 Fiche espèce
  • Oiseaux
    Accenteur mouchet
    Prunella modularis (Linnaeus, 1758)
    33 observations
    Dernière observation en 2025 Fiche espèce
  • Mousses
    -
    Antitrichia curtipendula (Hedw.) Brid., 1819
    32 observations
    Dernière observation en 2023 Fiche espèce
  • Insectes
    -
    Eidophelus fagi (Fabricius, 1798)
    32 observations
    Dernière observation en 2017 Fiche espèce
  • Oiseaux
    Mésange charbonnière
    Parus major Linnaeus, 1758
    31 observations
    Dernière observation en 2025 Fiche espèce
  • Insectes
    -
    Trypodendron domesticum (Linnaeus, 1758)
    31 observations
    Dernière observation en 2017 Fiche espèce
  • Oiseaux
    Fauvette à tête noire
    Sylvia atricapilla (Linnaeus, 1758)
    29 observations
    Dernière observation en 2025 Fiche espèce
  • Angiospermes
    Airelle myrtille
    Vaccinium myrtillus L., 1753
    28 observations
    Dernière observation en 2020 Fiche espèce
  • Insectes
    -
    Taphrorychus bicolor (Herbst, 1793)
    28 observations
    Dernière observation en 2017 Fiche espèce
  • Oiseaux
    Mésange huppée
    Lophophanes cristatus (Linnaeus, 1758)
    28 observations
    Dernière observation en 2024 Fiche espèce
  • Insectes
    Taupin en livrée
    Athous vittatus (Fabricius, 1792)
    27 observations
    Dernière observation en 2017 Fiche espèce
  • Angiospermes
    Canche flexueuse
    Avenella flexuosa (L.) Drejer, 1838
    27 observations
    Dernière observation en 2025 Fiche espèce
  • Oiseaux
    Grive musicienne
    Turdus philomelos C.L. Brehm, 1831
    26 observations
    Dernière observation en 2025 Fiche espèce
  • Insectes
    -
    Podisma pedestris (Linnaeus, 1758)
    26 observations
    Dernière observation en 2018 Fiche espèce
  • Insectes
    -
    Cerylon ferrugineum Stephens, 1830
    26 observations
    Dernière observation en 2017 Fiche espèce
  • Insectes
    -
    Cryphalus piceae (Ratzeburg, 1837)
    26 observations
    Dernière observation en 2017 Fiche espèce
  • Angiospermes
    Bouleau pleureur
    Betula pendula Roth, 1788
    25 observations
    Dernière observation en 2025 Fiche espèce
  • Insectes
    -
    Salpingus ruficollis (Linnaeus, 1761)
    25 observations
    Dernière observation en 2016 Fiche espèce
  • Insectes
    -
    Pityophthorus pityographus (Ratzeburg, 1837)
    25 observations
    Dernière observation en 2017 Fiche espèce
  • Oiseaux
    Fauvette grisette
    Sylvia communis Latham, 1787
    24 observations
    Dernière observation en 2025 Fiche espèce
  • Insectes
    -
    Rhizophagus dispar (Paykull, 1800)
    24 observations
    Dernière observation en 2017 Fiche espèce
  • Mousses
    -
    Hylocomium splendens (Hedw.) Schimp., 1852
    23 observations
    Dernière observation en 2019 Fiche espèce
  • Angiospermes
    Callune commune
    Calluna vulgaris (L.) Hull, 1808
    23 observations
    Dernière observation en 2020 Fiche espèce
  • Angiospermes
    Rossolis à feuilles rondes
    Drosera rotundifolia L., 1753
    23 observations
    Dernière observation en 2025 Fiche espèce
  • Angiospermes
    Agrostide capillaire
    Agrostis capillaris L., 1753
    22 observations
    Dernière observation en 2025 Fiche espèce
  • Angiospermes
    Sorbier des oiseleurs
    Sorbus aucuparia L., 1753
    22 observations
    Dernière observation en 2025 Fiche espèce
  • Mousses
    Sphaignes
    Sphagnum L., 1753
    22 observations
    Dernière observation en 2024 Fiche espèce
  • Insectes
    -
    Serropalpus barbatus (Schaller, 1783)
    22 observations
    Dernière observation en 2017 Fiche espèce
  • Insectes
    Dectique des brandes
    Gampsocleis glabra (Herbst, 1786)
    21 observations
    Dernière observation en 2025 Fiche espèce
  • Angiospermes
    Cardamine à cinq feuilles
    Cardamine pentaphyllos (L.) Crantz, 1769
    21 observations
    Dernière observation en 2025 Fiche espèce
  • Angiospermes
    Nard raide
    Nardus stricta L., 1753
    21 observations
    Dernière observation en 2021 Fiche espèce
  • Insectes
    -
    Coxelus pictus (Sturm, 1807)
    20 observations
    Dernière observation en 2017 Fiche espèce
  • Insectes
    Rhagie grondeuse
    Rhagium inquisitor (Linnaeus, 1758)
    20 observations
    Dernière observation en 2017 Fiche espèce
  • Autres
    Polypore marginé
    Fomitopsis pinicola (Sw.) P.Karst., 1881
    20 observations
    Dernière observation en 2025 Fiche espèce
  • Mammiferes
    Petit rhinolophe
    Rhinolophus hipposideros (Borkhausen, 1797)
    20 observations
    Dernière observation en 2026 Fiche espèce
  • Angiospermes
    Alchémille des rochers
    Alchemilla saxatilis Buser, 1891
    20 observations
    Dernière observation en 2021 Fiche espèce
  • Pteridophytes
    Fougère femelle
    Athyrium filix-femina (L.) Roth, 1799
    20 observations
    Dernière observation en 2019 Fiche espèce
  • Oiseaux
    Grand Tétras
    Tetrao urogallus Linnaeus, 1758
    19 observations
    Dernière observation en 2011 Fiche espèce
  • Oiseaux
    Sittelle torchepot
    Sitta europaea Linnaeus, 1758
    19 observations
    Dernière observation en 2025 Fiche espèce
  • Oiseaux
    Corneille noire
    Corvus corone Linnaeus, 1758
    19 observations
    Dernière observation en 2025 Fiche espèce
  • Angiospermes
    Violette des marais
    Viola palustris L., 1753
    19 observations
    Dernière observation en 2025 Fiche espèce
  • Insectes
    -
    Rhizophagus depressus (Fabricius, 1792)
    19 observations
    Dernière observation en 2016 Fiche espèce
  • Mousses
    -
    Hypnum cupressiforme Hedw., 1801 var. cupressiforme
    19 observations
    Dernière observation en 2016 Fiche espèce
  • Mousses
    -
    Dicranum scoparium Hedw., 1801
    18 observations
    Dernière observation en 2017 Fiche espèce
  • Insectes
    -
    Rhizophagus bipustulatus (Fabricius, 1792)
    18 observations
    Dernière observation en 2017 Fiche espèce
  • Insectes
    -
    Ptilinus pectinicornis (Linnaeus, 1758)
    18 observations
    Dernière observation en 2017 Fiche espèce
  • Mammiferes
    Cerf élaphe
    Cervus elaphus Linnaeus, 1758
    18 observations
    Dernière observation en 2023 Fiche espèce
  • Angiospermes
    Antennaire dioïque
    Antennaria dioica (L.) Gaertn., 1791
    18 observations
    Dernière observation en 2025 Fiche espèce
  • Angiospermes
    Flouve odorante
    Anthoxanthum odoratum L., 1753
    18 observations
    Dernière observation en 2025 Fiche espèce
  • Pteridophytes
    Dryoptéride fougère-mâle
    Dryopteris filix-mas (L.) Schott, 1834
    18 observations
    Dernière observation en 2020 Fiche espèce
  • Angiospermes
    Fétuque d'Auvergne
    Festuca arvernensis Auquier, Kerguélen & Markgr.-Dann., 1978
    18 observations
    Dernière observation en 2025 Fiche espèce
  • Angiospermes
    Pilloselle officinale
    Pilosella officinarum F.W.Schultz & Sch.Bip., 1862
    18 observations
    Dernière observation en 2025 Fiche espèce
  • Insectes
    Lepture cardinale (femelle)
    Stictoleptura rubra (Linnaeus, 1758)
    18 observations
    Dernière observation en 2017 Fiche espèce
  • Insectes
    Lépreux des mycètes
    Bolitophagus reticulatus (Linnaeus, 1767)
    18 observations
    Dernière observation en 2023 Fiche espèce
  • Insectes
    -
    Trypophloeus binodulus (Ratzeburg, 1837)
    18 observations
    Dernière observation en 2017 Fiche espèce
  • Oiseaux
    Busard cendré
    Circus pygargus (Linnaeus, 1758)
    17 observations
    Dernière observation en 2025 Fiche espèce
  • Angiospermes
    Adenostyle à feuilles d'alliaire
    Adenostyles alliariae (Gouan) A.Kern., 1871
    17 observations
    Dernière observation en 2024 Fiche espèce
  • Angiospermes
    Cytise des montagnes de la Méditerranée
    Cytisus oromediterraneus Rivas Mart., T.E.Díaz, Fern.Prieto, Loidi & Peñas, 1984
    17 observations
    Dernière observation en 2020 Fiche espèce
  • Angiospermes
    Néottie nid-d'oiseau
    Neottia nidus-avis (L.) Rich., 1817
    17 observations
    Dernière observation en 2025 Fiche espèce
  • Angiospermes
    Pâturin des bois
    Poa nemoralis L., 1753
    17 observations
    Dernière observation en 2019 Fiche espèce
  • Angiospermes
    Séneçon ovale
    Senecio ovatus (G.Gaertn., B.Mey. & Scherb.) Willd., 1803
    17 observations
    Dernière observation en 2020 Fiche espèce
  • Oiseaux
    Aigle royal
    Aquila chrysaetos (Linnaeus, 1758)
    16 observations
    Dernière observation en 2024 Fiche espèce
  • Insectes
    -
    Orthotomicus laricis (Fabricius, 1792)
    16 observations
    Dernière observation en 2010 Fiche espèce
  • Angiospermes
    Laîche noire
    Carex nigra (L.) Reichard, 1778
    16 observations
    Dernière observation en 2025 Fiche espèce
  • Pteridophytes
    Dryoptéride dilatée
    Dryopteris dilatata (Hoffm.) A.Gray, 1848
    16 observations
    Dernière observation en 2022 Fiche espèce
  • Angiospermes
    Sélin des Pyrénées
    Epikeros pyrenaeus (L.) Raf., 1840
    16 observations
    Dernière observation en 2025 Fiche espèce
  • Angiospermes
    Fétuque rouge
    Festuca rubra L., 1753
    16 observations
    Dernière observation en 2019 Fiche espèce
  • Pteridophytes
    Gymnocarpium dryoptéride
    Gymnocarpium dryopteris (L.) Newman, 1851
    16 observations
    Dernière observation en 2022 Fiche espèce
  • Angiospermes
    Luzule blanche
    Luzula nivea (Nathh.) DC., 1805
    16 observations
    Dernière observation en 2019 Fiche espèce
  • Oiseaux
    Mésange bleue
    Cyanistes caeruleus (Linnaeus, 1758)
    16 observations
    Dernière observation en 2025 Fiche espèce
  • Lichens
    -
    Ricasolia amplissima (Scop.) De Not., 1846
    16 observations
    Dernière observation en 2024 Fiche espèce
  • Autres
    Polypore robuste
    Fomitiporia robusta (P.Karst.) Fiasson & Niemelä, 1984
    16 observations
    Dernière observation en 2022 Fiche espèce
  • Insectes
    -
    Hylastes ater (Paykull, 1800)
    15 observations
    Dernière observation en 2010 Fiche espèce
  • Angiospermes
    Achillée millefeuille
    Achillea millefolium L., 1753
    15 observations
    Dernière observation en 2025 Fiche espèce
  • Angiospermes
    Cytise à balais
    Cytisus scoparius (L.) Link, 1822
    15 observations
    Dernière observation en 2025 Fiche espèce
  • Angiospermes
    Canche cespiteuse
    Deschampsia cespitosa (L.) P.Beauv., 1812
    15 observations
    Dernière observation en 2025 Fiche espèce
  • Angiospermes
    Digitale pourpre
    Digitalis purpurea L., 1753
    15 observations
    Dernière observation en 2023 Fiche espèce
  • Angiospermes
    Géranium herbe-à-Robert
    Geranium robertianum L., 1753
    15 observations
    Dernière observation en 2019 Fiche espèce
  • Angiospermes
    Ronce framboisier
    Rubus idaeus L., 1753
    15 observations
    Dernière observation en 2018 Fiche espèce
  • Angiospermes
    Patience petite-oseille
    Rumex acetosella L., 1753
    15 observations
    Dernière observation en 2025 Fiche espèce
  • Angiospermes
    Patience petite-oseille
    Rumex acetosella L., 1753
    15 observations
    Dernière observation en 2025 Fiche espèce
  • Angiospermes
    Saule marsault
    Salix caprea L., 1753
    15 observations
    Dernière observation en 2019 Fiche espèce
  • Angiospermes
    Ronce
    Rubus L., 1753
    15 observations
    Dernière observation en 2025 Fiche espèce
  • Insectes
    -
    Glischrochilus quadripunctatus (Linnaeus, 1758)
    15 observations
    Dernière observation en 2016 Fiche espèce
  • Oiseaux
    Faucon crécerelle
    Falco tinnunculus Linnaeus, 1758
    14 observations
    Dernière observation en 2023 Fiche espèce
  • Oiseaux
    Chouette hulotte
    Strix aluco Linnaeus, 1758
    14 observations
    Dernière observation en 2025 Fiche espèce
  • Oiseaux
    Pic épeiche
    Dendrocopos major (Linnaeus, 1758)
    14 observations
    Dernière observation en 2025 Fiche espèce
  • Mousses
    -
    Sanionia uncinata (Hedw.) Loeske, 1907
    14 observations
    Dernière observation en 2021 Fiche espèce
  • Lichens
    -
    Peltigera aphthosa (L.) Willd., 1787
    14 observations
    Dernière observation en 2024 Fiche espèce
  • Lichens
    -
    Nephroma laevigatum Ach., 1814
    14 observations
    Dernière observation en 2015 Fiche espèce
  • Angiospermes
    Alisier blanc
    Aria edulis (Willd.) M.Roem., 1847
    14 observations
    Dernière observation en 2025 Fiche espèce
  • Angiospermes
    Campanule à feuilles rondes
    Campanula rotundifolia L., 1753
    14 observations
    Dernière observation en 2020 Fiche espèce
  • Angiospermes
    Conopode dénudé
    Conopodium majus (Gouan) Loret, 1886
    14 observations
    Dernière observation en 2025 Fiche espèce
  • Pteridophytes
    Dryoptéride étalée
    Dryopteris expansa (C.Presl) Fraser-Jenk. & Jermy, 1977
    14 observations
    Dernière observation en 2019 Fiche espèce
  • Angiospermes
    Millepertuis perforé
    Hypericum perforatum L., 1753
    14 observations
    Dernière observation en 2025 Fiche espèce
  • Angiospermes
    Lotier corniculé
    Lotus corniculatus L., 1753
    14 observations
    Dernière observation en 2025 Fiche espèce
  • Angiospermes
    Orpin réfléchi
    Petrosedum rupestre (L.) P.V.Heath, 1987
    14 observations
    Dernière observation en 2025 Fiche espèce
  • Angiospermes
    Patience oseille
    Rumex acetosa L., 1753
    14 observations
    Dernière observation en 2025 Fiche espèce
  • Angiospermes
    Germandrée scorodoine
    Teucrium scorodonia L., 1753
    14 observations
    Dernière observation en 2025 Fiche espèce
  • Angiospermes
    Ortie dioïque
    Urtica dioica L., 1753
    14 observations
    Dernière observation en 2025 Fiche espèce
  • Angiospermes
    Airelle des fanges
    Vaccinium uliginosum L., 1753
    14 observations
    Dernière observation en 2025 Fiche espèce
  • Angiospermes
    Véronique petit-chêne
    Veronica chamaedrys L., 1753
    14 observations
    Dernière observation en 2025 Fiche espèce
  • Insectes
    -
    Pityophagus ferrugineus (Linnaeus, 1761)
    14 observations
    Dernière observation en 2010 Fiche espèce
  • Angiospermes
    Plantain holosté
    Plantago subulata var. capitellata (Ramond ex DC.) Decne., 1852
    14 observations
    Dernière observation en 2025 Fiche espèce
  • Oiseaux
    Alouette lulu
    Lullula arborea (Linnaeus, 1758)
    13 observations
    Dernière observation en 2025 Fiche espèce
  • Mousses
    -
    Neckera pumila Hedw., 1801
    13 observations
    Dernière observation en 2022 Fiche espèce
  • Hepatiques et Anthocerotes
    -
    Plagiochila porelloides (Torr. ex Nees) Lindenb., 1840
    13 observations
    Dernière observation en 2022 Fiche espèce
  • Insectes
    -
    Dromius agilis (Fabricius, 1787)
    13 observations
    Dernière observation en 2017 Fiche espèce
  • Insectes
    -
    Ampedus melanurus Mulsant & Guillebeau, 1855
    13 observations
    Dernière observation en 2017 Fiche espèce
  • Autres
    Amadouvier
    Fomes fomentarius (L.) Fr., 1849
    13 observations
    Dernière observation en 2025 Fiche espèce
  • Angiospermes
    Aïra caryophyllé
    Aira caryophyllea L., 1753
    13 observations
    Dernière observation en 2025 Fiche espèce
  • Angiospermes
    Laîche caryophyllée
    Carex caryophyllea Latourr., 1785
    13 observations
    Dernière observation en 2025 Fiche espèce
  • Angiospermes
    Centaurée noire
    Centaurea nigra L., 1753
    13 observations
    Dernière observation en 2025 Fiche espèce
  • Angiospermes
    Circée intermédiaire
    Circaea x intermedia Ehrh., 1789
    13 observations
    Dernière observation en 2015 Fiche espèce
  • Angiospermes
    Gaillet des rochers
    Galium saxatile L., 1753
    13 observations
    Dernière observation en 2020 Fiche espèce
  • Angiospermes
    Épervière des murs
    Hieracium murorum L., 1753
    13 observations
    Dernière observation en 2025 Fiche espèce
  • Angiospermes
    Houlque molle
    Holcus mollis L., 1759
    13 observations
    Dernière observation en 2025 Fiche espèce
  • Angiospermes
    Jasione des montagnes
    Jasione montana L., 1753
    13 observations
    Dernière observation en 2025 Fiche espèce
  • Angiospermes
    Linaire rampante
    Linaria repens (L.) Mill., 1768
    13 observations
    Dernière observation en 2020 Fiche espèce
  • Angiospermes
    Raiponce en épi
    Phyteuma spicatum L., 1753
    13 observations
    Dernière observation en 2025 Fiche espèce
  • Gymnospermes
    Pin sylvestre
    Pinus sylvestris L., 1753
    13 observations
    Dernière observation en 2025 Fiche espèce
  • Angiospermes
    Potentille dressée
    Potentilla erecta (L.) Raeusch., 1797
    13 observations
    Dernière observation en 2025 Fiche espèce
  • Angiospermes
    Pulsatille printanière
    Pulsatilla vernalis (L.) Mill., 1768
    13 observations
    Dernière observation en 2025 Fiche espèce
  • Angiospermes
    Saxifrage à feuilles en coin
    Saxifraga cuneifolia L., 1759
    13 observations
    Dernière observation en 2021 Fiche espèce
  • Angiospermes
    Véronique officinale
    Veronica officinalis L., 1753
    13 observations
    Dernière observation en 2025 Fiche espèce
  • Angiospermes
    Anacamptide punaise
    Anacamptis coriophora (L.) R.M.Bateman, Pridgeon & M.W.Chase, 1997 subsp. coriophora
    13 observations
    Dernière observation en 2025 Fiche espèce
  • Angiospermes
    Épervière
    Hieracium L., 1753
    13 observations
    Dernière observation en 2019 Fiche espèce
  • Mousses
    -
    Polytrichum Hedw., 1801
    13 observations
    Dernière observation en 2020 Fiche espèce
  • Insectes
    Fausse-casside des champignons
    Thymalus limbatus (Fabricius, 1787)
    13 observations
    Dernière observation en 2016 Fiche espèce
  • Insectes
    -
    Pheletes aeneoniger (De Geer, 1774)
    13 observations
    Dernière observation en 2017 Fiche espèce
  • Insectes
    -
    Cis festivus (Panzer, 1793)
    13 observations
    Dernière observation en 2010 Fiche espèce
  • Oiseaux
    Buse variable
    Buteo buteo (Linnaeus, 1758)
    12 observations
    Dernière observation en 2020 Fiche espèce
  • Oiseaux
    Grimpereau des bois
    Certhia familiaris Linnaeus, 1758
    12 observations
    Dernière observation en 2025 Fiche espèce
  • Oiseaux
    Pie-grièche écorcheur
    Lanius collurio Linnaeus, 1758
    12 observations
    Dernière observation en 2024 Fiche espèce
  • Mousses
    -
    Isothecium alopecuroides (Lam. ex Dubois) Isov., 1981
    12 observations
    Dernière observation en 2023 Fiche espèce
  • Hepatiques et Anthocerotes
    -
    Metzgeria pubescens (Schrank) Raddi, 1818
    12 observations
    Dernière observation en 2016 Fiche espèce
  • Insectes
    Lepture variable
    Anastrangalia dubia (Scopoli, 1763)
    12 observations
    Dernière observation en 2017 Fiche espèce
  • Lichens
    -
    Lecidella elaeochroma (Ach.) M.Choisy, 1950
    12 observations
    Dernière observation en 2016 Fiche espèce
  • Lichens
    -
    Lepraria incana (L.) Ach., 1803
    12 observations
    Dernière observation en 2016 Fiche espèce
  • Pteridophytes
    Botryche lunaire
    Botrychium lunaria (L.) Sw., 1801
    12 observations
    Dernière observation en 2025 Fiche espèce
  • Angiospermes
    Laîche étoilée
    Carex echinata Murray, 1770
    12 observations
    Dernière observation en 2025 Fiche espèce
  • Angiospermes
    Dorine à feuilles opposées
    Chrysosplenium oppositifolium L., 1753
    12 observations
    Dernière observation en 2023 Fiche espèce
  • Angiospermes
    Cirse des marais
    Cirsium palustre (L.) Scop., 1772
    12 observations
    Dernière observation en 2025 Fiche espèce
  • Angiospermes
    Fraisier sauvage
    Fragaria vesca L., 1753
    12 observations
    Dernière observation en 2019 Fiche espèce
  • Angiospermes
    Frêne élevé
    Fraxinus excelsior L., 1753
    12 observations
    Dernière observation en 2025 Fiche espèce
  • Angiospermes
    Gaillet vrai
    Galium verum L., 1753
    12 observations
    Dernière observation en 2025 Fiche espèce
  • Angiospermes
    Porcelle enracinée
    Hypochaeris radicata L., 1753
    12 observations
    Dernière observation en 2025 Fiche espèce
  • Pteridophytes
    Phégoptéride commune
    Phegopteris connectilis (Michx.) Watt, 1867
    12 observations
    Dernière observation en 2024 Fiche espèce
  • Angiospermes
    Plantain lancéolé
    Plantago lanceolata L., 1753
    12 observations
    Dernière observation en 2025 Fiche espèce
  • Angiospermes
    Rosier pendant
    Rosa pendulina L., 1753
    12 observations
    Dernière observation en 2023 Fiche espèce
  • Angiospermes
    Patience à feuilles de gouet
    Rumex arifolius All., 1773
    12 observations
    Dernière observation en 2021 Fiche espèce
  • Angiospermes
    Silène penché
    Silene nutans L., 1753
    12 observations
    Dernière observation en 2025 Fiche espèce
  • Angiospermes
    Silène commun
    Silene vulgaris (Moench) Garcke, 1869
    12 observations
    Dernière observation en 2025 Fiche espèce
  • Angiospermes
    Solidage verge-d'or
    Solidago virgaurea L., 1753
    12 observations
    Dernière observation en 2025 Fiche espèce
  • Insectes
    -
    Ampedus pomorum (Herbst, 1784)
    12 observations
    Dernière observation en 2017 Fiche espèce
  • Insectes
    -
    Cerylon fagi C. Brisout de Barneville, 1867
    12 observations
    Dernière observation en 2017 Fiche espèce
  • Oiseaux
    Milan royal
    Milvus milvus (Linnaeus, 1758)
    11 observations
    Dernière observation en 2023 Fiche espèce
  • Oiseaux
    Grimpereau des jardins
    Certhia brachydactyla C.L. Brehm, 1820
    11 observations
    Dernière observation en 2025 Fiche espèce
  • Oiseaux
    Traquet motteux
    Oenanthe oenanthe (Linnaeus, 1758)
    11 observations
    Dernière observation en 2025 Fiche espèce
  • Oiseaux
    Mésange à longue queue
    Aegithalos caudatus (Linnaeus, 1758)
    11 observations
    Dernière observation en 2025 Fiche espèce
  • Mousses
    -
    Bartramia pomiformis Hedw., 1801
    11 observations
    Dernière observation en 2022 Fiche espèce
  • Mousses
    -
    Rhytidiadelphus loreus (Hedw.) Warnst., 1906
    11 observations
    Dernière observation en 2025 Fiche espèce
  • Hepatiques et Anthocerotes
    -
    Lophocolea heterophylla (Schrad.) Dumort., 1835
    11 observations
    Dernière observation en 2016 Fiche espèce
  • Hepatiques et Anthocerotes
    -
    Diplophyllum albicans (L.) Dumort., 1835
    11 observations
    Dernière observation en 2017 Fiche espèce
  • Insectes
    -
    Idolus picipennis (Bach, 1852)
    11 observations
    Dernière observation en 2017 Fiche espèce
  • Autres
    Polypore du bouleau
    Piptoporus betulinus (Bull.) P.Karst., 1881
    11 observations
    Dernière observation en 2025 Fiche espèce
  • Angiospermes
    Anarrhine à feuilles de pâquerette
    Anarrhinum bellidifolium (L.) Willd., 1800
    11 observations
    Dernière observation en 2025 Fiche espèce
  • Angiospermes
    Châtaignier cultivé
    Castanea sativa Mill., 1768
    11 observations
    Dernière observation en 2019 Fiche espèce
  • Angiospermes
    Épilobe à feuilles étroites
    Chamaenerion angustifolium (L.) Scop., 1771
    11 observations
    Dernière observation en 2019 Fiche espèce
  • Angiospermes
    Circée des Alpes
    Circaea alpina L., 1753
    11 observations
    Dernière observation en 2020 Fiche espèce
  • Angiospermes
    Dactylorhize sureau
    Dactylorhiza sambucina (L.) Soó, 1962
    11 observations
    Dernière observation en 2025 Fiche espèce
  • Angiospermes
    Gentiane jaune
    Gentiana lutea L., 1753
    11 observations
    Dernière observation en 2025 Fiche espèce
  • Angiospermes
    Gesse à feuilles de Lin
    Lathyrus linifolius (Reichard) Bässler, 1971
    11 observations
    Dernière observation en 2019 Fiche espèce
  • Angiospermes
    Néotinée brûlée
    Neotinea ustulata (L.) R.M.Bateman, Pridgeon & M.W.Chase, 1997
    11 observations
    Dernière observation en 2025 Fiche espèce
  • Angiospermes
    Oxalide petite-oseille
    Oxalis acetosella L., 1753
    11 observations
    Dernière observation en 2019 Fiche espèce
  • Pteridophytes
    Polypode commun
    Polypodium vulgare L., 1753
    11 observations
    Dernière observation en 2022 Fiche espèce
  • Angiospermes
    Renoncule âcre
    Ranunculus acris L., 1753
    11 observations
    Dernière observation en 2025 Fiche espèce
  • Angiospermes
    Trèfle des prés
    Trifolium pratense L., 1753
    11 observations
    Dernière observation en 2025 Fiche espèce
  • Angiospermes
    Violette de Rivinus
    Viola riviniana Rchb., 1823
    11 observations
    Dernière observation en 2019 Fiche espèce
  • Angiospermes
    Gui blanc
    Viscum album L., 1753
    11 observations
    Dernière observation en 2025 Fiche espèce
  • Insectes
    Endomyche coeur-croisé
    Mycetina cruciata (Schaller, 1783)
    11 observations
    Dernière observation en 2017 Fiche espèce
  • Lichens
    -
    Lecanora chlarotera Nyl., 1872 f. chlarotera
    11 observations
    Dernière observation en 2016 Fiche espèce
  • Angiospermes
    Micranthe étoilé
    Micranthes stellaris (L.) Galasso, Banfi & Soldano, 2005
    11 observations
    Dernière observation en 2021 Fiche espèce
  • Amphibiens
    Grenouille rousse (La)
    Rana temporaria Linnaeus, 1758
    10 observations
    Dernière observation en 2023 Fiche espèce
  • Oiseaux
    Pic vert
    Picus viridis Linnaeus, 1758
    10 observations
    Dernière observation en 2025 Fiche espèce
  • Oiseaux
    Bec-croisé des sapins
    Loxia curvirostra Linnaeus, 1758
    10 observations
    Dernière observation en 2025 Fiche espèce
  • Angiospermes
    Actée en épi
    Actaea spicata L., 1753
    10 observations
    Dernière observation en 2024 Fiche espèce
  • Angiospermes
    Bugle rampante
    Ajuga reptans L., 1753
    10 observations
    Dernière observation en 2025 Fiche espèce
  • Angiospermes
    Bistorte
    Bistorta officinalis Delarbre, 1800
    10 observations
    Dernière observation en 2020 Fiche espèce
  • Angiospermes
    Brize intermédiaire
    Briza media L., 1753
    10 observations
    Dernière observation en 2025 Fiche espèce
  • Angiospermes
    Gaillet gratteron
    Galium aparine L., 1753
    10 observations
    Dernière observation en 2025 Fiche espèce
  • Angiospermes
    Hélianthème nummulaire
    Helianthemum nummularium (L.) Mill., 1768
    10 observations
    Dernière observation en 2025 Fiche espèce
  • Angiospermes
    Houlque laineuse
    Holcus lanatus L., 1753
    10 observations
    Dernière observation en 2025 Fiche espèce
  • Angiospermes
    Knautie des champs
    Knautia arvensis (L.) Coult., 1828
    10 observations
    Dernière observation en 2025 Fiche espèce
  • Angiospermes
    Millet diffus
    Milium effusum L., 1753
    10 observations
    Dernière observation en 2020 Fiche espèce
  • Angiospermes
    Moehringie trinervée
    Moehringia trinervia (L.) Clairv., 1811
    10 observations
    Dernière observation en 2019 Fiche espèce
  • Angiospermes
    Plantain élevé
    Plantago major L., 1753
    10 observations
    Dernière observation en 2019 Fiche espèce
  • Angiospermes
    Thym luisant
    Thymus nitens Lamotte, 1881
    10 observations
    Dernière observation en 2019 Fiche espèce
  • Angiospermes
    Trèfle rampant
    Trifolium repens L., 1753
    10 observations
    Dernière observation en 2025 Fiche espèce
  • Angiospermes
    Valériane triséquée
    Valeriana tripteris L., 1753
    10 observations
    Dernière observation en 2019 Fiche espèce
  • Insectes
    -
    Acrossus depressus (Kugelann, 1792)
    10 observations
    Dernière observation en 2017 Fiche espèce
  • Insectes
    -
    Dolotarsus lividus (C.R. Sahlberg, 1833)
    10 observations
    Dernière observation en 2016 Fiche espèce
  • Insectes
    -
    Nothodes parvulus (Panzer, 1799)
    10 observations
    Dernière observation en 2016 Fiche espèce
  • Insectes
    -
    Laricobius erichsoni Rosenhauer, 1846
    10 observations
    Dernière observation en 2017 Fiche espèce
  • Lichens
    -
    Phlyctis argena (Spreng.) Flot., 1850
    10 observations
    Dernière observation en 2016 Fiche espèce
  • Lichens
    -
    Melanelixia glabratula (Lamy) Sandler & Arup, 2011
    10 observations
    Dernière observation en 2016 Fiche espèce
  • Angiospermes
    Stellaire holostée
    Rabelera holostea (L.) M.T.Sharples & E.A.Tripp, 2019
    10 observations
    Dernière observation en 2019 Fiche espèce
  • Oiseaux
    Vautour fauve
    Gyps fulvus (Hablizl, 1783)
    9 observations
    Dernière observation en 2025 Fiche espèce
  • Oiseaux
    Épervier d'Europe
    Accipiter nisus (Linnaeus, 1758)
    9 observations
    Dernière observation en 2023 Fiche espèce
  • Oiseaux
    Perdrix rouge
    Alectoris rufa (Linnaeus, 1758)
    9 observations
    Dernière observation en 2023 Fiche espèce
  • Oiseaux
    Pigeon colombin
    Columba oenas Linnaeus, 1758
    9 observations
    Dernière observation en 2025 Fiche espèce
  • Mousses
    -
    Tetraphis pellucida Hedw., 1801
    9 observations
    Dernière observation en 2025 Fiche espèce
  • Mousses
    -
    Plagiomnium affine (Blandow ex Funck) T.J.Kop., 1968
    9 observations
    Dernière observation en 2016 Fiche espèce
  • Mousses
    -
    Eurhynchium angustirete (Broth.) T.J.Kop., 1967
    9 observations
    Dernière observation en 2021 Fiche espèce
  • Hepatiques et Anthocerotes
    -
    Barbilophozia hatcheri (A.Evans) Loeske, 1907
    9 observations
    Dernière observation en 2021 Fiche espèce
  • Mousses
    -
    Sphagnum capillifolium (Ehrh.) Hedw., 1782
    9 observations
    Dernière observation en 2025 Fiche espèce
  • Insectes
    Ténébrion des bouleaux
    Diaperis boleti (Linnaeus, 1758)
    9 observations
    Dernière observation en 2018 Fiche espèce
  • Lichens
    -
    Parmelia saxatilis (L.) Ach., 1803
    9 observations
    Dernière observation en 2016 Fiche espèce
  • Reptiles
    Lézard ocellé (Le)
    Timon lepidus (Daudin, 1802)
    9 observations
    Dernière observation en 2025 Fiche espèce
  • Angiospermes
    Agrostide des chiens
    Agrostis canina L., 1753
    9 observations
    Dernière observation en 1977 Fiche espèce
  • Angiospermes
    Anacamptide punaise
    Anacamptis coriophora (L.) R.M.Bateman, Pridgeon & M.W.Chase, 1997
    9 observations
    Dernière observation en 2013 Fiche espèce
  • Angiospermes
    Armérie des sables
    Armeria arenaria (Pers.) Schult., 1820
    9 observations
    Dernière observation en 2025 Fiche espèce
  • Angiospermes
    Brachypode rupestre
    Brachypodium rupestre (Host) Roem. & Schult., 1817
    9 observations
    Dernière observation en 2019 Fiche espèce
  • Angiospermes
    Croisette du Piémont
    Cruciata pedemontana (Bellardi) Ehrend., 1958
    9 observations
    Dernière observation en 2025 Fiche espèce
  • Angiospermes
    Dactyle aggloméré
    Dactylis glomerata L., 1753
    9 observations
    Dernière observation en 2019 Fiche espèce
  • Angiospermes
    Dactylorhize maculé
    Dactylorhiza maculata (L.) Soó, 1962
    9 observations
    Dernière observation en 2025 Fiche espèce
  • Angiospermes
    Épilobe des montagnes
    Epilobium montanum L., 1753
    9 observations
    Dernière observation en 2019 Fiche espèce
  • Angiospermes
    Gaillet commun
    Galium mollugo L., 1753
    9 observations
    Dernière observation en 2025 Fiche espèce
  • Angiospermes
    Gaillet odorant
    Galium odoratum (L.) Scop., 1771
    9 observations
    Dernière observation en 2015 Fiche espèce
  • Angiospermes
    Genêt poilu
    Genista pilosa L., 1753
    9 observations
    Dernière observation en 2020 Fiche espèce
  • Angiospermes
    Benoîte des villes
    Geum urbanum L., 1753
    9 observations
    Dernière observation en 2019 Fiche espèce
  • Angiospermes
    Berce de Sibérie
    Heracleum sibiricum L., 1753
    9 observations
    Dernière observation en 2025 Fiche espèce
  • Angiospermes
    Lamier jaune
    Lamium galeobdolon (L.) L., 1759
    9 observations
    Dernière observation en 2019 Fiche espèce
  • Angiospermes
    Logfie minime
    Logfia minima (Sm.) Dumort., 1827
    9 observations
    Dernière observation en 2019 Fiche espèce
  • Angiospermes
    Luzule des Sudètes
    Luzula sudetica (Willd.) Schult., 1814
    9 observations
    Dernière observation en 2014 Fiche espèce
  • Angiospermes
    Raiponce hémisphérique
    Phyteuma hemisphaericum L., 1753
    9 observations
    Dernière observation en 2020 Fiche espèce
  • Angiospermes
    Pâturin de Chaix
    Poa chaixii Vill., 1786
    9 observations
    Dernière observation en 2025 Fiche espèce
  • Angiospermes
    Saxifrage de Fragoso
    Saxifraga fragosoi Sennen, 1929
    9 observations
    Dernière observation en 2024 Fiche espèce
  • Angiospermes
    Stellaire alsine
    Stellaria alsine Grimm, 1767
    9 observations
    Dernière observation en 2018 Fiche espèce
  • Angiospermes
    Vesce cultivée
    Vicia sativa L., 1753
    9 observations
    Dernière observation en 2025 Fiche espèce
  • Angiospermes
    Vesce cultivée
    Vicia sativa L., 1753
    9 observations
    Dernière observation en 2025 Fiche espèce
  • Insectes
    -
    Grynobius planus (Fabricius, 1787)
    9 observations
    Dernière observation en 2017 Fiche espèce
  • Insectes
    -
    Mycetophagus atomarius (Fabricius, 1787)
    9 observations
    Dernière observation en 2017 Fiche espèce
  • Insectes
    Oedémère couleur de miel
    Nacerdes carniolica (Gistel, 1834)
    9 observations
    Dernière observation en 2017 Fiche espèce
  • Insectes
    -
    Pediacus dermestoides (Fabricius, 1792)
    9 observations
    Dernière observation en 2017 Fiche espèce
  • Insectes
    -
    Hylis olexai (Palm, 1955)
    9 observations
    Dernière observation en 2017 Fiche espèce
  • Insectes
    -
    Gnathotrichus materiarius (Fitch, 1858)
    9 observations
    Dernière observation en 2010 Fiche espèce
  • Insectes
    -
    Prionychus fairmairii (Reiche, 1860)
    9 observations
    Dernière observation en 2017 Fiche espèce
  • Angiospermes
    Laitue de Plumier
    Lactuca plumieri (L.) Gren. & Godr., 1850
    9 observations
    Dernière observation en 2015 Fiche espèce
  • Insectes
    -
    Cis castaneus (Herbst, 1793)
    9 observations
    Dernière observation en 2010 Fiche espèce
  • Lichens
    -
    Lepra albescens (Huds.) Hafellner, 2016
    9 observations
    Dernière observation en 2016 Fiche espèce
  • Oiseaux
    Chouette de Tengmalm
    Aegolius funereus (Linnaeus, 1758)
    8 observations
    Dernière observation en 2017 Fiche espèce
  • Oiseaux
    Grand corbeau
    Corvus corax Linnaeus, 1758
    8 observations
    Dernière observation en 2023 Fiche espèce
  • Mousses
    -
    Pterigynandrum filiforme Hedw., 1801
    8 observations
    Dernière observation en 2016 Fiche espèce
  • Mousses
    -
    Grimmia hartmanii Schimp., 1860
    8 observations
    Dernière observation en 2020 Fiche espèce
  • Hepatiques et Anthocerotes
    -
    Porella platyphylla (L.) Pfeiff., 1855
    8 observations
    Dernière observation en 2016 Fiche espèce
  • Hepatiques et Anthocerotes
    -
    Frullania fragilifolia (Taylor) Gottsche, Lindenb. & Nees, 1845
    8 observations
    Dernière observation en 2018 Fiche espèce
  • Mousses
    -
    Sphagnum inundatum Russow, 1894
    8 observations
    Dernière observation en 2025 Fiche espèce
  • Insectes
    Syrphe ceinturé
    Episyrphus balteatus (De Geer, 1776)
    8 observations
    Dernière observation en 2017 Fiche espèce
  • Autres
    -
    Hericium flagellum (Scop.) Pers., 1797
    8 observations
    Dernière observation en 2023 Fiche espèce
  • Lichens
    -
    Arthonia radiata (Pers.) Ach., 1808
    8 observations
    Dernière observation en 2016 Fiche espèce
  • Lichens
    -
    Cetraria islandica (L.) Ach., 1803
    8 observations
    Dernière observation en 2021 Fiche espèce
  • Mammiferes
    Loutre d'Europe
    Lutra lutra (Linnaeus, 1758)
    8 observations
    Dernière observation en 2017 Fiche espèce
  • Insectes
    Petite nymphe au corps de feu (La)
    Pyrrhosoma nymphula (Sulzer, 1776)
    8 observations
    Dernière observation en 2025 Fiche espèce
  • Insectes
    Libellule déprimée (La)
    Libellula depressa Linnaeus, 1758
    8 observations
    Dernière observation en 2025 Fiche espèce
  • Angiospermes
    Alchémille des Alpes
    Alchemilla alpina L., 1753
    8 observations
    Dernière observation en 1977 Fiche espèce
  • Angiospermes
    Anémone des bois
    Anemone nemorosa L., 1753
    8 observations
    Dernière observation en 2019 Fiche espèce
  • Angiospermes
    Fromental élevé
    Arrhenatherum elatius (L.) P.Beauv. ex J.Presl & C.Presl, 1819
    8 observations
    Dernière observation en 2025 Fiche espèce
  • Angiospermes
    Populage des marais
    Caltha palustris L., 1753
    8 observations
    Dernière observation en 2018 Fiche espèce
  • Angiospermes
    Laîche pauciflore
    Carex pauciflora Lightf., 1777
    8 observations
    Dernière observation en 2013 Fiche espèce
  • Angiospermes
    Clinopode commun
    Clinopodium vulgare L., 1753
    8 observations
    Dernière observation en 2019 Fiche espèce
  • Angiospermes
    Corydale solide
    Corydalis solida (L.) Clairv., 1811
    8 observations
    Dernière observation en 2022 Fiche espèce
  • Angiospermes
    Crépide capillaire
    Crepis capillaris (L.) Wallr., 1840
    8 observations
    Dernière observation en 2025 Fiche espèce
  • Pteridophytes
    Cystoptéride fragile
    Cystopteris fragilis (L.) Bernh., 1805
    8 observations
    Dernière observation en 2023 Fiche espèce
  • Angiospermes
    Linaigrette à feuilles étroites
    Eriophorum angustifolium Honck., 1782
    8 observations
    Dernière observation en 2025 Fiche espèce
  • Angiospermes
    Hippocrépide chevelue
    Hippocrepis comosa L., 1753
    8 observations
    Dernière observation en 2025 Fiche espèce
  • Angiospermes
    Jonc épars
    Juncus effusus L., 1753
    8 observations
    Dernière observation en 2018 Fiche espèce
  • Angiospermes
    Chèvrefeuille noire
    Lonicera nigra L., 1753
    8 observations
    Dernière observation en 2020 Fiche espèce
  • Angiospermes
    Luzule champêtre
    Luzula campestris (L.) DC., 1805
    8 observations
    Dernière observation en 2025 Fiche espèce
  • Angiospermes
    Micropyre délicat
    Micropyrum tenellum (L.) Link, 1844
    8 observations
    Dernière observation en 2019 Fiche espèce
  • Angiospermes
    Fléole des prés
    Phleum pratense L., 1753
    8 observations
    Dernière observation en 2025 Fiche espèce
  • Angiospermes
    Renouée des oiseaux
    Polygonum aviculare L., 1753
    8 observations
    Dernière observation en 2023 Fiche espèce
  • Angiospermes
    Prénanthe pourpre
    Prenanthes purpurea L., 1753
    8 observations
    Dernière observation en 2019 Fiche espèce
  • Angiospermes
    Primevère vraie
    Primula veris L., 1753
    8 observations
    Dernière observation en 2019 Fiche espèce
  • Angiospermes
    Prunier épineux
    Prunus spinosa L., 1753
    8 observations
    Dernière observation en 2025 Fiche espèce
  • Angiospermes
    Groseillier des Alpes
    Ribes alpinum L., 1753
    8 observations
    Dernière observation en 2023 Fiche espèce
  • Angiospermes
    Rosier des chiens
    Rosa canina L., 1753
    8 observations
    Dernière observation en 2025 Fiche espèce
  • Angiospermes
    Scléranthe vivace
    Scleranthus perennis L., 1753
    8 observations
    Dernière observation en 2025 Fiche espèce
  • Angiospermes
    Orpin hirsute
    Sedum hirsutum All., 1785
    8 observations
    Dernière observation en 2019 Fiche espèce
  • Angiospermes
    Spargoute de Morison
    Spergula morisonii Boreau, 1847
    8 observations
    Dernière observation en 2019 Fiche espèce
  • Angiospermes
    Stellaire graminée
    Stellaria graminea L., 1753
    8 observations
    Dernière observation en 2025 Fiche espèce
  • Angiospermes
    Salsifis des prés
    Tragopogon pratensis L., 1753
    8 observations
    Dernière observation en 2025 Fiche espèce
  • Angiospermes
    Trèfle des Alpes
    Trifolium alpinum L., 1753
    8 observations
    Dernière observation en 2021 Fiche espèce
  • Angiospermes
    Molène lychnite
    Verbascum lychnitis L., 1753
    8 observations
    Dernière observation en 2019 Fiche espèce
  • Angiospermes
    Véronique des champs
    Veronica arvensis L., 1753
    8 observations
    Dernière observation en 2025 Fiche espèce
  • Angiospermes
    Violette des chiens
    Viola canina L., 1753
    8 observations
    Dernière observation en 2024 Fiche espèce
  • Angiospermes
    Chardon du Vivarais
    Carduus nigrescens subsp. vivariensis (Jord.) Bonnier & Layens, 1894
    8 observations
    Dernière observation en 2025 Fiche espèce
  • Angiospermes
    Fétuque
    Festuca L., 1753
    8 observations
    Dernière observation en 1977 Fiche espèce
  • Insectes
    -
    Hemicoelus fulvicornis (Sturm, 1837)
    8 observations
    Dernière observation en 2017 Fiche espèce
  • Insectes
    -
    Callidium aeneum (De Geer, 1775)
    8 observations
    Dernière observation en 2017 Fiche espèce
  • Insectes
    -
    Plegaderus dissectus Erichson, 1839
    8 observations
    Dernière observation en 2017 Fiche espèce
  • Insectes
    -
    Diacanthous undulatus (De Geer, 1774)
    8 observations
    Dernière observation en 2010 Fiche espèce
  • Insectes
    -
    Dryocoetes villosus (Fabricius, 1792)
    8 observations
    Dernière observation en 2010 Fiche espèce
  • Angiospermes
    Laitue des murs
    Lactuca muralis (L.) Gaertn., 1791
    8 observations
    Dernière observation en 2019 Fiche espèce
  • Lichens
    -
    Lobarina scrobiculata (Scop.) Nyl. ex Cromb., 1894
    8 observations
    Dernière observation en 2020 Fiche espèce
  • Mousses
    -
    Ptychostomum capillare (Hedw.) Holyoak & N.Pedersen, 2007
    8 observations
    Dernière observation en 2016 Fiche espèce
  • Hepatiques et Anthocerotes
    -
    Trilophozia quinquedentata (Huds.) Bakalin, 2005
    8 observations
    Dernière observation en 2017 Fiche espèce
  • Mousses
    -
    Hylocomiadelphus triquetrus (Hedw.) Ochyra & Stebel, 2008
    8 observations
    Dernière observation en 2021 Fiche espèce
  • Oiseaux
    Bondrée apivore
    Pernis apivorus (Linnaeus, 1758)
    7 observations
    Dernière observation en 2024 Fiche espèce
  • Oiseaux
    Circaète Jean-le-Blanc
    Circaetus gallicus (Gmelin, 1788)
    7 observations
    Dernière observation en 2025 Fiche espèce
  • Oiseaux
    Merle à plastron
    Turdus torquatus Linnaeus, 1758
    7 observations
    Dernière observation en 2021 Fiche espèce
  • Mousses
    -
    Cynodontium bruntonii (Sm.) Bruch & Schimp., 1846
    7 observations
    Dernière observation en 2022 Fiche espèce
  • Mousses
    -
    Dicranum tauricum Sapjegin, 1911
    7 observations
    Dernière observation en 2015 Fiche espèce
  • Mousses
    -
    Rhodobryum roseum (Hedw.) Limpr., 1892
    7 observations
    Dernière observation en 2016 Fiche espèce
  • Mousses
    -
    Bartramia halleriana Hedw., 1801
    7 observations
    Dernière observation en 2020 Fiche espèce
  • Mousses
    -
    Racomitrium lanuginosum (Hedw.) Brid., 1819
    7 observations
    Dernière observation en 2022 Fiche espèce
  • Mousses
    -
    Brachythecium rutabulum (Hedw.) Schimp., 1853
    7 observations
    Dernière observation en 2025 Fiche espèce
  • Hepatiques et Anthocerotes
    -
    Lophocolea bidentata (L.) Dumort., 1835
    7 observations
    Dernière observation en 2015 Fiche espèce
  • Insectes
    Lucane rhinoceros
    Sinodendron cylindricum (Linnaeus, 1758)
    7 observations
    Dernière observation en 2017 Fiche espèce
  • Insectes
    Hanneton des jardins
    Phyllopertha horticola (Linnaeus, 1758)
    7 observations
    Dernière observation en 2017 Fiche espèce
  • Insectes
    -
    Cis boleti (Scopoli, 1763)
    7 observations
    Dernière observation en 2010 Fiche espèce
  • Insectes
    Eucnème masqué
    Melasis buprestoides (Linnaeus, 1761)
    7 observations
    Dernière observation en 2016 Fiche espèce
  • Insectes
    Taupin à étuis rouges
    Ampedus sanguineus (Linnaeus, 1758)
    7 observations
    Dernière observation en 2017 Fiche espèce
  • Insectes
    Antribe panaché
    Litargus connexus (Geoffroy in Fourcroy, 1785)
    7 observations
    Dernière observation en 2017 Fiche espèce
  • Insectes
    Clyte rustique
    Xylotrechus rusticus (Linnaeus, 1758)
    7 observations
    Dernière observation en 2017 Fiche espèce
  • Insectes
    -
    Syrphus torvus Osten-Sacken, 1875
    7 observations
    Dernière observation en 2020 Fiche espèce
  • Lichens
    -
    Usnea intermedia (A.Massal.) Jatta, 1909
    7 observations
    Dernière observation en 2021 Fiche espèce
  • Lichens
    -
    Cladonia coniocraea (Flörke) Spreng., 1827
    7 observations
    Dernière observation en 2016 Fiche espèce
  • Lichens
    -
    Lecanora argentata (Ach.) Röhl., 1813
    7 observations
    Dernière observation en 2016 Fiche espèce
  • Lichens
    -
    Hypogymnia physodes (L.) Nyl., 1896
    7 observations
    Dernière observation en 2016 Fiche espèce
  • Mammiferes
    Renard roux
    Vulpes vulpes (Linnaeus, 1758)
    7 observations
    Dernière observation en 2025 Fiche espèce
  • Insectes
    Libellule quadrimaculée (La)
    Libellula quadrimaculata Linnaeus, 1758
    7 observations
    Dernière observation en 2025 Fiche espèce
  • Reptiles
    Couleuvre vipérine (La)
    Natrix maura (Linnaeus, 1758)
    7 observations
    Dernière observation en 2020 Fiche espèce
  • Reptiles
    Vipère aspic (La)
    Vipera aspis (Linnaeus, 1758)
    7 observations
    Dernière observation en 2017 Fiche espèce
  • Reptiles
    Lézard vivipare (Le)
    Zootoca vivipara (Lichtenstein, 1823)
    7 observations
    Dernière observation en 2025 Fiche espèce
  • Angiospermes
    Aigremoine élevée
    Agrimonia procera Wallr., 1840
    7 observations
    Dernière observation en 2024 Fiche espèce
  • Angiospermes
    Anthrisque sylvestre
    Anthriscus sylvestris (L.) Hoffm., 1814
    7 observations
    Dernière observation en 2025 Fiche espèce
  • Angiospermes
    Arnoséride naine
    Arnoseris minima (L.) Schweigg. & Körte, 1811
    7 observations
    Dernière observation en 2019 Fiche espèce
  • Angiospermes
    Noisetier commun
    Corylus avellana L., 1753
    7 observations
    Dernière observation en 2019 Fiche espèce
  • Angiospermes
    Aubépine à un style
    Crataegus monogyna Jacq., 1775
    7 observations
    Dernière observation en 2025 Fiche espèce
  • Angiospermes
    Fétuque des bois
    Drymochloa sylvatica (Pollich) Holub, 1984
    7 observations
    Dernière observation en 2021 Fiche espèce
  • Angiospermes
    Épilobe à tige carrée
    Epilobium tetragonum L., 1753
    7 observations
    Dernière observation en 2019 Fiche espèce
  • Angiospermes
    Bruyère cendrée
    Erica cinerea L., 1753
    7 observations
    Dernière observation en 2020 Fiche espèce
  • Angiospermes
    Impératoire ostruthium
    Imperatoria ostruthium L., 1753
    7 observations
    Dernière observation en 2019 Fiche espèce
  • Angiospermes
    Lampsane commune
    Lapsana communis L., 1753
    7 observations
    Dernière observation en 2019 Fiche espèce
  • Angiospermes
    Liondent hispide
    Leontodon hispidus L., 1753
    7 observations
    Dernière observation en 2025 Fiche espèce
  • Angiospermes
    Chèvrefeuille des Alpes
    Lonicera alpigena L., 1753
    7 observations
    Dernière observation en 2014 Fiche espèce
  • Angiospermes
    Luzule de Desvaux
    Luzula desvauxii Kunth, 1841
    7 observations
    Dernière observation en 2016 Fiche espèce
  • Angiospermes
    Méum athamante
    Meum athamanticum Jacq., 1776
    7 observations
    Dernière observation en 2020 Fiche espèce
  • Angiospermes
    Myosotis couché
    Myosotis decumbens Host, 1827
    7 observations
    Dernière observation en 2019 Fiche espèce
  • Angiospermes
    Orchis mâle
    Orchis mascula (L.) L., 1755
    7 observations
    Dernière observation en 2025 Fiche espèce
  • Angiospermes
    Orobanche du genêt
    Orobanche rapum-genistae Thuill., 1799
    7 observations
    Dernière observation en 2019 Fiche espèce
  • Angiospermes
    Potérium sanguisorbe
    Poterium sanguisorba L., 1753
    7 observations
    Dernière observation en 2025 Fiche espèce
  • Angiospermes
    Prunier merisier
    Prunus avium (L.) L., 1755
    7 observations
    Dernière observation en 2019 Fiche espèce
  • Pteridophytes
    Ptéridion aigle
    Pteridium aquilinum (L.) Kuhn, 1879
    7 observations
    Dernière observation en 2019 Fiche espèce
  • Angiospermes
    Renoncule bulbeuse
    Ranunculus bulbosus L., 1753
    7 observations
    Dernière observation en 2025 Fiche espèce
  • Angiospermes
    Groseillier épineux
    Ribes uva-crispa L., 1753
    7 observations
    Dernière observation en 2016 Fiche espèce
  • Angiospermes
    Sureau noir
    Sambucus nigra L., 1753
    7 observations
    Dernière observation en 2019 Fiche espèce
  • Angiospermes
    Sureau à grappes
    Sambucus racemosa L., 1753
    7 observations
    Dernière observation en 2020 Fiche espèce
  • Angiospermes
    Séneçon doronic
    Senecio doronicum (L.) L., 1759
    7 observations
    Dernière observation en 2024 Fiche espèce
  • Angiospermes
    Séneçon des forêts
    Senecio sylvaticus L., 1753
    7 observations
    Dernière observation en 2018 Fiche espèce
  • Angiospermes
    Ombilic rupestre
    Umbilicus rupestris (Salisb.) Dandy, 1948
    7 observations
    Dernière observation en 2019 Fiche espèce
  • Angiospermes
    Airelle vigne du mont Ida
    Vaccinium vitis-idaea L., 1753
    7 observations
    Dernière observation en 2023 Fiche espèce
  • Angiospermes
    Airelle vigne du mont Ida
    Vaccinium vitis-idaea L., 1753
    7 observations
    Dernière observation en 2023 Fiche espèce
  • Angiospermes
    Vesce des haies
    Vicia sepium L., 1753
    7 observations
    Dernière observation en 2019 Fiche espèce
  • Angiospermes
    Fétuque de Westphalie
    Festuca ovina subsp. guestfalica (Boenn. ex Rchb.) K.Richt., 1890
    7 observations
    Dernière observation en 2019 Fiche espèce
  • Insectes
    Coléoptères
    Coleoptera Linnaeus, 1758
    7 observations
    Dernière observation en 2017 Fiche espèce
  • Angiospermes
    Pissenlit
    Taraxacum F.H. Wigg., 1780
    7 observations
    Dernière observation en 2019 Fiche espèce
  • Insectes
    -
    Molorchus minor (Linnaeus, 1758)
    7 observations
    Dernière observation en 2016 Fiche espèce
  • Insectes
    Lepture tachetée
    Rutpela maculata (Poda, 1761)
    7 observations
    Dernière observation en 2020 Fiche espèce
  • Insectes
    -
    Colposis mutilatus (Beck, 1817)
    7 observations
    Dernière observation en 2010 Fiche espèce
  • Insectes
    -
    Nemozoma elongatum (Linnaeus, 1761)
    7 observations
    Dernière observation en 2017 Fiche espèce
  • Oiseaux
    Mésange nonnette
    Poecile palustris (Linnaeus, 1758)
    7 observations
    Dernière observation en 2025 Fiche espèce
  • Mousses
    -
    Lewinskya striata (Hedw.) F.Lara, Garilleti & Goffinet, 2016
    7 observations
    Dernière observation en 2020 Fiche espèce
  • Oiseaux
    Milan noir
    Milvus migrans (Boddaert, 1783)
    6 observations
    Dernière observation en 2022 Fiche espèce
  • Oiseaux
    Pipit farlouse
    Anthus pratensis (Linnaeus, 1758)
    6 observations
    Dernière observation en 2025 Fiche espèce
  • Oiseaux
    Bergeronnette des ruisseaux
    Motacilla cinerea Tunstall, 1771
    6 observations
    Dernière observation en 2025 Fiche espèce
  • Mousses
    -
    Pogonatum urnigerum (Hedw.) P.Beauv., 1805
    6 observations
    Dernière observation en 2025 Fiche espèce
  • Mousses
    -
    Polytrichum formosum Hedw., 1801
    6 observations
    Dernière observation en 2016 Fiche espèce
  • Oiseaux
    Fauvette des jardins
    Sylvia borin (Boddaert, 1783)
    6 observations
    Dernière observation en 2025 Fiche espèce
  • Oiseaux
    Venturon montagnard
    Carduelis citrinella (Pallas, 1764)
    6 observations
    Dernière observation en 2022 Fiche espèce
  • Mousses
    -
    Rhizomnium punctatum (Hedw.) T.J.Kop., 1968
    6 observations
    Dernière observation en 2015 Fiche espèce
  • Mousses
    -
    Herzogiella seligeri (Brid.) Z.Iwats., 1970
    6 observations
    Dernière observation en 2016 Fiche espèce
  • Hepatiques et Anthocerotes
    -
    Barbilophozia barbata (Schmidel ex Schreb.) Loeske, 1907
    6 observations
    Dernière observation en 2018 Fiche espèce
  • Hepatiques et Anthocerotes
    -
    Marsupella emarginata (Ehrh.) Dumort., 1835
    6 observations
    Dernière observation en 2017 Fiche espèce
  • Hepatiques et Anthocerotes
    -
    Lepidozia reptans (L.) Dumort., 1835
    6 observations
    Dernière observation en 2025 Fiche espèce
  • Mousses
    -
    Sphagnum auriculatum Schimp., 1857
    6 observations
    Dernière observation en 2025 Fiche espèce
  • Mousses
    -
    Sphagnum papillosum Lindb., 1872
    6 observations
    Dernière observation en 2025 Fiche espèce
  • Insectes
    -
    Cerylon histeroides (Fabricius, 1792)
    6 observations
    Dernière observation en 2017 Fiche espèce
  • Insectes
    Mycologue fâché
    Mycetophagus quadripustulatus (Linnaeus, 1761)
    6 observations
    Dernière observation en 2017 Fiche espèce
  • Lichens
    -
    Peltigera horizontalis (Huds.) Baumg., 1790
    6 observations
    Dernière observation en 2018 Fiche espèce
  • Lichens
    -
    Lecanora intumescens (Rebent.) Rabenh., 1845
    6 observations
    Dernière observation en 2016 Fiche espèce
  • Lichens
    -
    Evernia prunastri (L.) Ach., 1810
    6 observations
    Dernière observation en 2021 Fiche espèce
  • Mammiferes
    Chevreuil européen
    Capreolus capreolus (Linnaeus, 1758)
    6 observations
    Dernière observation en 2021 Fiche espèce
  • Mammiferes
    Campagnol roussâtre
    Clethrionomys glareolus (Schreber, 1780)
    6 observations
    Dernière observation en 2021 Fiche espèce
  • Insectes
    Sténobothre bourdonneur
    Stenobothrus nigromaculatus (Herrich-Schäffer, 1840)
    6 observations
    Dernière observation en 2018 Fiche espèce
  • Reptiles
    Lézard à deux raies (Le)
    Lacerta bilineata Daudin, 1802
    6 observations
    Dernière observation en 2021 Fiche espèce
  • Angiospermes
    Érable champêtre
    Acer campestre L., 1753
    6 observations
    Dernière observation en 2019 Fiche espèce
  • Angiospermes
    Aulne glutineux
    Alnus glutinosa (L.) Gaertn., 1790
    6 observations
    Dernière observation en 2019 Fiche espèce
  • Angiospermes
    Ancolie commune
    Aquilegia vulgaris L., 1753
    6 observations
    Dernière observation en 2020 Fiche espèce
  • Pteridophytes
    Doradille des murailles
    Asplenium trichomanes L., 1753
    6 observations
    Dernière observation en 2019 Fiche espèce
  • Angiospermes
    Campanule raiponce
    Campanula rapunculus L., 1753
    6 observations
    Dernière observation en 2025 Fiche espèce
  • Angiospermes
    Cardamine à feuilles de réséda
    Cardamine resedifolia L., 1753
    6 observations
    Dernière observation en 2021 Fiche espèce
  • Angiospermes
    Laîche à pilules
    Carex pilulifera L., 1753
    6 observations
    Dernière observation en 2018 Fiche espèce
  • Angiospermes
    Corydale à vrilles
    Ceratocapnos claviculata (L.) Lidén, 1984
    6 observations
    Dernière observation en 2022 Fiche espèce
  • Angiospermes
    Cerfeuil enivrant
    Chaerophyllum temulum L., 1753
    6 observations
    Dernière observation en 2025 Fiche espèce
  • Angiospermes
    Carotte sauvage
    Daucus carota L., 1753
    6 observations
    Dernière observation en 2023 Fiche espèce
  • Angiospermes
    Œillet du granite
    Dianthus graniticus Jord., 1849
    6 observations
    Dernière observation en 2022 Fiche espèce
  • Angiospermes
    Vipérine commune
    Echium vulgare L., 1753
    6 observations
    Dernière observation en 2019 Fiche espèce
  • Angiospermes
    Épilobe des marais
    Epilobium palustre L., 1753
    6 observations
    Dernière observation en 2018 Fiche espèce
  • Angiospermes
    Linaigrette vaginée
    Eriophorum vaginatum L., 1753
    6 observations
    Dernière observation en 1998 Fiche espèce
  • Angiospermes
    Eupatoire chanvrine
    Eupatorium cannabinum L., 1753
    6 observations
    Dernière observation en 2019 Fiche espèce
  • Angiospermes
    Galéopsis ladanum
    Galeopsis ladanum L., 1753
    6 observations
    Dernière observation en 2019 Fiche espèce
  • Angiospermes
    Galéopsis tétrahit
    Galeopsis tetrahit L., 1753
    6 observations
    Dernière observation en 2019 Fiche espèce
  • Angiospermes
    Géranium des bois
    Geranium sylvaticum L., 1753
    6 observations
    Dernière observation en 2025 Fiche espèce
  • Angiospermes
    Ellébore fétide
    Helleborus foetidus L., 1753
    6 observations
    Dernière observation en 2019 Fiche espèce
  • Angiospermes
    Hylotéléphium téléphium
    Hylotelephium telephium (L.) H.Ohba, 1977
    6 observations
    Dernière observation en 2019 Fiche espèce
  • Angiospermes
    Jacobée à feuilles d'adonis
    Jacobaea adonidifolia (Loisel.) Mérat, 1812
    6 observations
    Dernière observation en 2021 Fiche espèce
  • Angiospermes
    Gesse des prés
    Lathyrus pratensis L., 1753
    6 observations
    Dernière observation en 2025 Fiche espèce
  • Angiospermes
    Luzule multiflore
    Luzula multiflora (Ehrh.) Lej., 1811
    6 observations
    Dernière observation en 2020 Fiche espèce
  • Angiospermes
    Muscari chevelu
    Muscari comosum (L.) Mill., 1768
    6 observations
    Dernière observation en 2025 Fiche espèce
  • Angiospermes
    Myosotis faux scorpion
    Myosotis scorpioides L., 1753
    6 observations
    Dernière observation en 2025 Fiche espèce
  • Angiospermes
    Ornithogale en ombelle
    Ornithogalum umbellatum L., 1753
    6 observations
    Dernière observation en 2019 Fiche espèce
  • Gymnospermes
    Épicéa commun
    Picea abies (L.) H.Karst., 1881
    6 observations
    Dernière observation en 2018 Fiche espèce
  • Angiospermes
    Pâturin commun
    Poa trivialis L., 1753
    6 observations
    Dernière observation en 2025 Fiche espèce
  • Angiospermes
    Rhinanthe mineur
    Rhinanthus minor L., 1756
    6 observations
    Dernière observation en 2025 Fiche espèce
  • Angiospermes
    Saxifrage granulée
    Saxifraga granulata L., 1753
    6 observations
    Dernière observation en 2025 Fiche espèce
  • Angiospermes
    Stellaire des bois
    Stellaria nemorum L., 1753
    6 observations
    Dernière observation en 2020 Fiche espèce
  • Angiospermes
    Téesdalie à tiges nues
    Teesdalia nudicaulis (L.) W.T.Aiton, 1812
    6 observations
    Dernière observation en 2019 Fiche espèce
  • Angiospermes
    Pigamon à feuilles d'ancolie
    Thalictrum aquilegiifolium L., 1753
    6 observations
    Dernière observation en 2020 Fiche espèce
  • Angiospermes
    Thym précoce
    Thymus praecox Opiz, 1824
    6 observations
    Dernière observation en 2020 Fiche espèce
  • Angiospermes
    Chêne sessile
    Quercus petraea (Matt.) Liebl., 1784 subsp. petraea
    6 observations
    Dernière observation en 2019 Fiche espèce
  • Angiospermes
    Thym à poils nombreux
    Thymus praecox subsp. polytrichus (A.Kern. ex Borbás) Jalas, 1970
    6 observations
    Dernière observation en 2025 Fiche espèce
  • Angiospermes
    Trèfle de Molineri
    Trifolium incarnatum var. molinerii (Balb. ex Hornem.) DC., 1815
    6 observations
    Dernière observation en 2025 Fiche espèce
  • Insectes
    -
    Formica Linnaeus, 1758
    6 observations
    Dernière observation en 2022 Fiche espèce
  • Mousses
    -
    Orthotrichum Hedw., 1801
    6 observations
    Dernière observation en 2016 Fiche espèce
  • Insectes
    -
    Dorcatoma punctulata Mulsant & Rey, 1864
    6 observations
    Dernière observation en 2017 Fiche espèce
  • Insectes
    -
    Tetratoma ancora Fabricius, 1790
    6 observations
    Dernière observation en 2016 Fiche espèce
  • Insectes
    -
    Peltis grossa (Linnaeus, 1758)
    6 observations
    Dernière observation en 2017 Fiche espèce
  • Insectes
    -
    Hylastes attenuatus Erichson, 1836
    6 observations
    Dernière observation en 2017 Fiche espèce
  • Insectes
    -
    Pityogenes chalcographus (Linnaeus, 1761)
    6 observations
    Dernière observation en 2017 Fiche espèce
  • Mousses
    -
    Lescuraea incurvata (Hedw.) E.Lawton, 1957
    6 observations
    Dernière observation en 2021 Fiche espèce
  • Reptiles
    Couleuvre d'Esculape (La)
    Zamenis longissimus (Laurenti, 1768)
    6 observations
    Dernière observation en 2023 Fiche espèce
  • Angiospermes
    Chêne sessile
    Quercus petraea (Matt.) Liebl., 1784
    6 observations
    Dernière observation en 2025 Fiche espèce
  • Insectes
    -
    Corticeus unicolor Piller & Mitterpacher, 1783
    6 observations
    Dernière observation en 2016 Fiche espèce
  • Hepatiques et Anthocerotes
    -
    Metzgeria furcata (L.) Corda, 1829
    6 observations
    Dernière observation en 2016 Fiche espèce
  • Insectes
    -
    Leptophloeus alternans (Erichson, 1846)
    6 observations
    Dernière observation en 2017 Fiche espèce
  • Insectes
    -
    Hylesinus varius (Fabricius, 1775)
    6 observations
    Dernière observation en 2017 Fiche espèce
  • Mousses
    -
    Lewinskya affinis (Schrad. ex Brid.) F.Lara, Garilleti & Goffinet, 2016
    6 observations
    Dernière observation en 2016 Fiche espèce
  • Oiseaux
    Linotte mélodieuse
    Linaria cannabina (Linnaeus, 1758)
    6 observations
    Dernière observation en 2022 Fiche espèce
  • Angiospermes
    Moloposperme du Péloponnèse
    Molopospermum peleponnesiacum (L.) W.D.J.Koch, 1824
    6 observations
    Dernière observation en 2021 Fiche espèce
  • Angiospermes
    Épilobe à feuilles étroites
    Chamaenerion angustifolium (L.) Scop., 1771 subsp. angustifolium
    6 observations
    Dernière observation en 2019 Fiche espèce
  • Oiseaux
    Autour des palombes
    Accipiter gentilis (Linnaeus, 1758)
    5 observations
    Dernière observation en 2025 Fiche espèce
  • Oiseaux
    Bruant fou
    Emberiza cia Linnaeus, 1766
    5 observations
    Dernière observation en 2020 Fiche espèce
  • Mousses
    -
    Paraleucobryum longifolium (Ehrh. ex Hedw.) Loeske, 1908
    5 observations
    Dernière observation en 2020 Fiche espèce
  • Mousses
    -
    Pohlia cruda (Hedw.) Lindb., 1879
    5 observations
    Dernière observation en 2017 Fiche espèce
  • Mousses
    -
    Amphidium mougeotii (Bruch & Schimp.) Schimp., 1856
    5 observations
    Dernière observation en 2015 Fiche espèce
  • Mousses
    -
    Racomitrium aciculare (Hedw.) Brid., 1819
    5 observations
    Dernière observation en 2016 Fiche espèce
  • Mousses
    -
    Schistostega pennata (Hedw.) F.Weber & D.Mohr, 1803
    5 observations
    Dernière observation en 2018 Fiche espèce
  • Mousses
    -
    Homalothecium sericeum (Hedw.) Schimp., 1851
    5 observations
    Dernière observation en 2019 Fiche espèce
  • Mousses
    -
    Rhytidiadelphus squarrosus (Hedw.) Warnst., 1906
    5 observations
    Dernière observation en 2021 Fiche espèce
  • Hepatiques et Anthocerotes
    -
    Scapania irrigua (Nees) Nees, 1844
    5 observations
    Dernière observation en 2014 Fiche espèce
  • Hepatiques et Anthocerotes
    -
    Scapania undulata (L.) Dumort., 1835
    5 observations
    Dernière observation en 2015 Fiche espèce
  • Hepatiques et Anthocerotes
    -
    Ptilidium ciliare (L.) Hampe, 1836
    5 observations
    Dernière observation en 2021 Fiche espèce
  • Hepatiques et Anthocerotes
    -
    Porella arboris-vitae (With.) Grolle, 1969
    5 observations
    Dernière observation en 2017 Fiche espèce
  • Hepatiques et Anthocerotes
    -
    Frullania tamarisci (L.) Dumort., 1835
    5 observations
    Dernière observation en 2017 Fiche espèce
  • Insectes
    Chevrette bleue
    Platycerus caraboides (Linnaeus, 1758)
    5 observations
    Dernière observation en 2017 Fiche espèce
  • Insectes
    Eucnème moine
    Eucnemis capucina Ahrens, 1812
    5 observations
    Dernière observation en 2017 Fiche espèce
  • Insectes
    Taupin pourpre
    Anostirus purpureus (Poda, 1761)
    5 observations
    Dernière observation en 2017 Fiche espèce
  • Insectes
    Lyce à bec
    Lygistopterus sanguineus (Linnaeus, 1758)
    5 observations
    Dernière observation en 2017 Fiche espèce
  • Insectes
    -
    Isomira murina (Linnaeus, 1758)
    5 observations
    Dernière observation en 2017 Fiche espèce
  • Insectes
    Lepture gitane
    Alosterna tabacicolor (De Geer, 1775)
    5 observations
    Dernière observation en 2017 Fiche espèce
  • Insectes
    Rosalie des Alpes
    Rosalia alpina (Linnaeus, 1758)
    5 observations
    Dernière observation en 2023 Fiche espèce
  • Insectes
    -
    Xyleborus monographus (Fabricius, 1792)
    5 observations
    Dernière observation en 2016 Fiche espèce
  • Lichens
    -
    Peltigera membranacea (Ach.) Nyl., 1887
    5 observations
    Dernière observation en 2018 Fiche espèce
  • Lichens
    -
    Parmelia sulcata Taylor, 1836
    5 observations
    Dernière observation en 2016 Fiche espèce
  • Lichens
    -
    Pseudevernia furfuracea (L.) Zopf, 1903
    5 observations
    Dernière observation en 2016 Fiche espèce
  • Mammiferes
    Blaireau européen
    Meles meles (Linnaeus, 1758)
    5 observations
    Dernière observation en 2025 Fiche espèce
  • Insectes
    Criquet rouge-queue
    Omocestus haemorrhoidalis (Charpentier, 1825)
    5 observations
    Dernière observation en 2018 Fiche espèce
  • Insectes
    Gomphocère tacheté
    Myrmeleotettix maculatus (Thunberg, 1815)
    5 observations
    Dernière observation en 2018 Fiche espèce
  • Insectes
    Criquet jacasseur
    Stauroderus scalaris (Fischer von Waldheim, 1846)
    5 observations
    Dernière observation en 2018 Fiche espèce
  • Insectes
    Oedipode soufrée
    Oedaleus decorus (Germar, 1825)
    5 observations
    Dernière observation en 2024 Fiche espèce
  • Insectes
    OEdipode turquoise
    Oedipoda caerulescens (Linnaeus, 1758)
    5 observations
    Dernière observation en 2018 Fiche espèce
  • Angiospermes
    Herbe musquée
    Adoxa moschatellina L., 1753
    5 observations
    Dernière observation en 2021 Fiche espèce
  • Angiospermes
    Alliaire
    Alliaria petiolata (M.Bieb.) Cavara & Grande, 1913
    5 observations
    Dernière observation en 2019 Fiche espèce
  • Angiospermes
    Petite bardane
    Arctium minus (Hill) Bernh., 1800
    5 observations
    Dernière observation en 2019 Fiche espèce
  • Angiospermes
    Armoise commune
    Artemisia vulgaris L., 1753
    5 observations
    Dernière observation en 2019 Fiche espèce
  • Pteridophytes
    Doradille du Nord
    Asplenium septentrionale (L.) Hoffm., 1796
    5 observations
    Dernière observation en 2019 Fiche espèce
  • Angiospermes
    Centaurée jacée
    Centaurea jacea L., 1753
    5 observations
    Dernière observation en 2025 Fiche espèce
  • Angiospermes
    Dorine à feuilles alternes
    Chrysosplenium alternifolium L., 1753
    5 observations
    Dernière observation en 2021 Fiche espèce
  • Angiospermes
    Cynosure crételle
    Cynosurus cristatus L., 1753
    5 observations
    Dernière observation en 2025 Fiche espèce
  • Angiospermes
    Œillet deltoïde
    Dianthus deltoides L., 1753
    5 observations
    Dernière observation en 2025 Fiche espèce
  • Angiospermes
    Fallopie liseron
    Fallopia convolvulus (L.) Á.Löve, 1970
    5 observations
    Dernière observation en 2019 Fiche espèce
  • Angiospermes
    Fétuque faux aïra
    Festuca airoides Lam., 1788
    5 observations
    Dernière observation en 2020 Fiche espèce
  • Angiospermes
    Genêt sagitté
    Genista sagittalis L., 1753
    5 observations
    Dernière observation en 2025 Fiche espèce
  • Angiospermes
    Géranium colombin
    Geranium columbinum L., 1753
    5 observations
    Dernière observation en 2025 Fiche espèce
  • Angiospermes
    Géranium des Pyrénées
    Geranium pyrenaicum Burm.f., 1759
    5 observations
    Dernière observation en 2025 Fiche espèce
  • Angiospermes
    Épervière de Schmidt
    Hieracium schmidtii Tausch, 1828
    5 observations
    Dernière observation en 2020 Fiche espèce
  • Angiospermes
    Millepertuis à feuilles de linaire
    Hypericum linariifolium Vahl, 1790
    5 observations
    Dernière observation en 2018 Fiche espèce
  • Angiospermes
    Porcelle glabre
    Hypochaeris glabra L., 1753
    5 observations
    Dernière observation en 2025 Fiche espèce
  • Angiospermes
    Jasione lisse
    Jasione laevis Lam., 1779
    5 observations
    Dernière observation en 2020 Fiche espèce
  • Gymnospermes
    Genévrier commun
    Juniperus communis L., 1753
    5 observations
    Dernière observation en 2025 Fiche espèce
  • Angiospermes
    Lotier pédonculé
    Lotus pedunculatus Cav., 1793
    5 observations
    Dernière observation en 2019 Fiche espèce
  • Angiospermes
    Luzule en épi
    Luzula spicata (L.) DC., 1805
    5 observations
    Dernière observation en 2025 Fiche espèce
  • Angiospermes
    Luzule des forêts
    Luzula sylvatica (Huds.) Gaudin, 1811
    5 observations
    Dernière observation en 2020 Fiche espèce
  • Angiospermes
    Montie des fontaines
    Montia fontana L., 1753
    5 observations
    Dernière observation en 2018 Fiche espèce
  • Angiospermes
    Pédiculaire des forêts
    Pedicularis sylvatica L., 1753
    5 observations
    Dernière observation en 2025 Fiche espèce
  • Angiospermes
    Polygale commun
    Polygala vulgaris L., 1753
    5 observations
    Dernière observation en 2025 Fiche espèce
  • Angiospermes
    Peuplier tremble
    Populus tremula L., 1753
    5 observations
    Dernière observation en 2025 Fiche espèce
  • Angiospermes
    Potentille argentée
    Potentilla argentea L., 1753
    5 observations
    Dernière observation en 2019 Fiche espèce
  • Angiospermes
    Herbe Catois
    Prunella vulgaris L., 1753
    5 observations
    Dernière observation en 2018 Fiche espèce
  • Angiospermes
    Renoncule à feuilles d'aconit
    Ranunculus aconitifolius L., 1753
    5 observations
    Dernière observation en 2015 Fiche espèce
  • Angiospermes
    Groseillier des rochers
    Ribes petraeum Wulfen, 1781
    5 observations
    Dernière observation en 2021 Fiche espèce
  • Angiospermes
    Rosier des champs
    Rosa arvensis Huds., 1762
    5 observations
    Dernière observation en 2019 Fiche espèce
  • Angiospermes
    Ronce bleue
    Rubus caesius L., 1753
    5 observations
    Dernière observation en 2019 Fiche espèce
  • Angiospermes
    Ronce à feuilles d'Orme
    Rubus ulmifolius Schott, 1818
    5 observations
    Dernière observation en 2019 Fiche espèce
  • Angiospermes
    Orpin annuel
    Sedum annuum L., 1753
    5 observations
    Dernière observation en 2015 Fiche espèce
  • Angiospermes
    Faux sésame interrompu
    Sesamoides interrupta (Boreau) G.López, 1990
    5 observations
    Dernière observation en 2025 Fiche espèce
  • Angiospermes
    Trèfle des champs
    Trifolium arvense L., 1753
    5 observations
    Dernière observation en 2025 Fiche espèce
  • Angiospermes
    Trisète jaunissant
    Trisetum flavescens (L.) P.Beauv., 1812
    5 observations
    Dernière observation en 2025 Fiche espèce
  • Angiospermes
    Vesce cracca
    Vicia cracca L., 1753
    5 observations
    Dernière observation en 2019 Fiche espèce
  • Oiseaux
    Tarier pâtre
    Saxicola rubicola (Linnaeus, 1766)
    5 observations
    Dernière observation en 2025 Fiche espèce
  • Insectes
    -
    Pogonocherus hispidulus (Piller & Mitterpacher, 1783)
    5 observations
    Dernière observation en 2017 Fiche espèce
  • Insectes
    Dermeste zèbre
    Megatoma undata (Linnaeus, 1758)
    5 observations
    Dernière observation en 2017 Fiche espèce
  • Insectes
    -
    Aspidiphorus orbiculatus (Gyllenhal, 1808)
    5 observations
    Dernière observation en 2015 Fiche espèce
  • Insectes
    -
    Dictyoptera aurora (Herbst, 1784)
    5 observations
    Dernière observation en 2016 Fiche espèce
  • Insectes
    -
    Limonius minutus (Linnaeus, 1758)
    5 observations
    Dernière observation en 2017 Fiche espèce
  • Insectes
    -
    Hylurgops palliatus (Gyllenhal, 1813)
    5 observations
    Dernière observation en 2010 Fiche espèce
  • Mousses
    -
    Syntrichia ruralis (Hedw.) F.Weber & D.Mohr, 1803
    5 observations
    Dernière observation en 2015 Fiche espèce
  • Mousses
    -
    Straminergon stramineum (Dicks. ex Brid.) Hedenäs, 1993
    5 observations
    Dernière observation en 2025 Fiche espèce
  • Autres
    Hydne hérisson
    Hericium erinaceus (Bull.) Pers., 1797
    5 observations
    Dernière observation en 2022 Fiche espèce
  • Lichens
    -
    Flavoparmelia caperata (L.) Hale, 1986
    5 observations
    Dernière observation en 2019 Fiche espèce
  • Insectes
    Ephippigère des vignes
    Ephippiger diurnus Dufour, 1841
    5 observations
    Dernière observation en 2024 Fiche espèce
  • Insectes
    Ephippigère des vignes
    Ephippiger diurnus Dufour, 1841
    5 observations
    Dernière observation en 2024 Fiche espèce
  • Angiospermes
    Liondent des Pyrénées
    Scorzoneroides pyrenaica (Gouan) Holub, 1977
    5 observations
    Dernière observation en 2024 Fiche espèce
  • Lichens
    -
    Pertusaria pertusa (Weigel) Tuck.
    5 observations
    Dernière observation en 2016 Fiche espèce
  • Lichens
    -
    Anaptychia ciliaris (L.) Körb. ex A.Massal., 1853
    5 observations
    Dernière observation en 2022 Fiche espèce
  • Angiospermes
    Fausse tourette tourette
    Pseudoturritis turrita (L.) Al-Shehbaz, 2005
    5 observations
    Dernière observation en 2019 Fiche espèce
  • Hepatiques et Anthocerotes
    -
    Fuscocephaloziopsis lunulifolia (Dumort.) Váňa & L.Söderstr., 2013
    5 observations
    Dernière observation en 2016 Fiche espèce
  • Insectes
    -
    Cis vestitus Mellié, 1848
    5 observations
    Dernière observation en 2010 Fiche espèce
  • Lichens
    -
    Glaucomaria carpinea (L.) S.Y.Kondr., Lőkös & Farkas, 2019
    5 observations
    Dernière observation en 2016 Fiche espèce
  • Lichens
    -
    Lepra amara (Ach.) Hafellner, 2016
    5 observations
    Dernière observation en 2016 Fiche espèce
  • Oiseaux
    Busard Saint-Martin
    Circus cyaneus (Linnaeus, 1766)
    4 observations
    Dernière observation en 1996 Fiche espèce
  • Oiseaux
    Martinet noir
    Apus apus (Linnaeus, 1758)
    4 observations
    Dernière observation en 2020 Fiche espèce
  • Oiseaux
    Pipit spioncelle
    Anthus spinoletta (Linnaeus, 1758)
    4 observations
    Dernière observation en 2015 Fiche espèce
  • Oiseaux
    Cincle plongeur
    Cinclus cinclus (Linnaeus, 1758)
    4 observations
    Dernière observation en 2022 Fiche espèce
  • Oiseaux
    Fauvette pitchou
    Sylvia undata (Boddaert, 1783)
    4 observations
    Dernière observation en 2026 Fiche espèce
  • Oiseaux
    Bruant jaune
    Emberiza citrinella Linnaeus, 1758
    4 observations
    Dernière observation en 2022 Fiche espèce
  • Mousses
    -
    Plagiomnium undulatum (Hedw.) T.J.Kop., 1968
    4 observations
    Dernière observation en 2015 Fiche espèce
  • Mousses
    -
    Bartramia ithyphylla Brid., 1803
    4 observations
    Dernière observation en 2017 Fiche espèce
  • Mousses
    -
    Orthotrichum stramineum Hornsch. ex Brid., 1827
    4 observations
    Dernière observation en 2020 Fiche espèce
  • Mousses
    -
    Tortella tortuosa (Hedw.) Limpr., 1888
    4 observations
    Dernière observation en 2016 Fiche espèce
  • Mousses
    -
    Grimmia torquata Drumm., 1825
    4 observations
    Dernière observation en 2017 Fiche espèce
  • Mousses
    -
    Racomitrium heterostichum (Hedw.) Brid., 1819
    4 observations
    Dernière observation en 2016 Fiche espèce
  • Mousses
    -
    Isothecium myosuroides Brid., 1827
    4 observations
    Dernière observation en 2022 Fiche espèce
  • Mousses
    -
    Pseudotaxiphyllum elegans (Brid.) Z.Iwats., 1987
    4 observations
    Dernière observation en 2015 Fiche espèce
  • Mousses
    -
    Hypnum andoi A.J.E.Sm., 1981
    4 observations
    Dernière observation en 2015 Fiche espèce
  • Mousses
    -
    Pleurozium schreberi (Willd. ex Brid.) Mitt., 1869
    4 observations
    Dernière observation en 2015 Fiche espèce
  • Hepatiques et Anthocerotes
    -
    Reboulia hemisphaerica (L.) Raddi, 1818
    4 observations
    Dernière observation en 2022 Fiche espèce
  • Hepatiques et Anthocerotes
    -
    Frullania dilatata (L.) Dumort., 1835
    4 observations
    Dernière observation en 2016 Fiche espèce
  • Mousses
    -
    Sphagnum palustre L., 1753
    4 observations
    Dernière observation en 2025 Fiche espèce
  • Mousses
    -
    Sphagnum subsecundum Nees, 1819
    4 observations
    Dernière observation en 2025 Fiche espèce
  • Lichens
    -
    Cladonia pyxidata (L.) Hoffm., 1796
    4 observations
    Dernière observation en 2016 Fiche espèce
  • Lichens
    -
    Ramalina farinacea (L.) Ach., 1810
    4 observations
    Dernière observation en 2023 Fiche espèce
  • Mammiferes
    Sanglier
    Sus scrofa Linnaeus, 1758
    4 observations
    Dernière observation en 2020 Fiche espèce
  • Mammiferes
    Écureuil roux
    Sciurus vulgaris Linnaeus, 1758
    4 observations
    Dernière observation en 2017 Fiche espèce
  • Mammiferes
    Lièvre d'Europe
    Lepus europaeus Pallas, 1778
    4 observations
    Dernière observation en 2021 Fiche espèce
  • Insectes
    Decticelle des alpages
    Metrioptera saussuriana (Frey-Gessner, 1872)
    4 observations
    Dernière observation en 2018 Fiche espèce
  • Angiospermes
    Ail du Portugal
    Allium lusitanicum Lam., 1783
    4 observations
    Dernière observation en 2024 Fiche espèce
  • Angiospermes
    Brome stérile
    Anisantha sterilis (L.) Nevski, 1934
    4 observations
    Dernière observation en 2025 Fiche espèce
  • Angiospermes
    Gouet tacheté
    Arum maculatum L., 1753
    4 observations
    Dernière observation en 2025 Fiche espèce
  • Angiospermes
    Asarine couchée
    Asarina procumbens Mill., 1768
    4 observations
    Dernière observation en 2019 Fiche espèce
  • Angiospermes
    Campanule gantelée
    Campanula trachelium L., 1753
    4 observations
    Dernière observation en 2019 Fiche espèce
  • Angiospermes
    Cardamine flexueuse
    Cardamine flexuosa With., 1796
    4 observations
    Dernière observation en 2019 Fiche espèce
  • Angiospermes
    Laîche pâlissante
    Carex pallescens L., 1753
    4 observations
    Dernière observation en 2019 Fiche espèce
  • Gymnospermes
    Cèdre de l'Atlas
    Cedrus atlantica (Endl.) Manetti ex Carrière, 1855
    4 observations
    Dernière observation en 2019 Fiche espèce
  • Angiospermes
    Céraiste des champs
    Cerastium arvense L., 1753
    4 observations
    Dernière observation en 2020 Fiche espèce
  • Angiospermes
    Chénopode blanc
    Chenopodium album L., 1753
    4 observations
    Dernière observation en 2023 Fiche espèce
  • Angiospermes
    Clinopode à grandes fleurs
    Clinopodium grandiflorum (L.) Kuntze, 1891
    4 observations
    Dernière observation en 2015 Fiche espèce
  • Angiospermes
    Doronic à feuilles cordées
    Doronicum pardalianches L., 1753
    4 observations
    Dernière observation en 2017 Fiche espèce
  • Angiospermes
    Chiendent des chiens
    Elymus caninus (L.) L., 1755
    4 observations
    Dernière observation en 2025 Fiche espèce
  • Angiospermes
    Vesce hérissée
    Ervilia hirsuta (L.) Opiz, 1852
    4 observations
    Dernière observation en 2025 Fiche espèce
  • Angiospermes
    Euphorbe douce
    Euphorbia dulcis L., 1753
    4 observations
    Dernière observation en 2019 Fiche espèce
  • Angiospermes
    Fétuque à petites feuilles
    Festuca microphylla (St.-Yves) Patzke, 1964
    4 observations
    Dernière observation en 2025 Fiche espèce
  • Angiospermes
    Fétuque noircissante
    Festuca nigrescens Lam., 1788
    4 observations
    Dernière observation en 2020 Fiche espèce
  • Angiospermes
    Reine-des-prés
    Filipendula ulmaria (L.) Maxim., 1879
    4 observations
    Dernière observation en 2019 Fiche espèce
  • Angiospermes
    Galéopsis à feuilles étroites
    Galeopsis angustifolia Ehrh. ex Hoffm., 1804
    4 observations
    Dernière observation en 2019 Fiche espèce
  • Angiospermes
    Galéopsis à feuilles étroites
    Galeopsis angustifolia Ehrh. ex Hoffm., 1804
    4 observations
    Dernière observation en 2019 Fiche espèce
  • Angiospermes
    Géranium luisant
    Geranium lucidum L., 1753
    4 observations
    Dernière observation en 2025 Fiche espèce
  • Angiospermes
    Géranium à feuilles rondes
    Geranium rotundifolium L., 1753
    4 observations
    Dernière observation en 2025 Fiche espèce
  • Angiospermes
    Épervière de Savoie
    Hieracium sabaudum L., 1753
    4 observations
    Dernière observation en 2025 Fiche espèce
  • Angiospermes
    Porcelle maculée
    Hypochaeris maculata L., 1753
    4 observations
    Dernière observation en 2024 Fiche espèce
  • Angiospermes
    Noyer royal
    Juglans regia L., 1753
    4 observations
    Dernière observation en 2019 Fiche espèce
  • Angiospermes
    Jonc articulé
    Juncus articulatus L., 1753
    4 observations
    Dernière observation en 2019 Fiche espèce
  • Angiospermes
    Laitue vireuse
    Lactuca virosa L., 1753
    4 observations
    Dernière observation en 2019 Fiche espèce
  • Angiospermes
    Lamier maculé
    Lamium maculatum (L.) L., 1763
    4 observations
    Dernière observation en 2019 Fiche espèce
  • Angiospermes
    Marguerite commune
    Leucanthemum vulgare Lam., 1779
    4 observations
    Dernière observation en 2019 Fiche espèce
  • Angiospermes
    Ivraie vivace
    Lolium perenne L., 1753
    4 observations
    Dernière observation en 2019 Fiche espèce
  • Pteridophytes
    Lycopode en massue
    Lycopodium clavatum L., 1753
    4 observations
    Dernière observation en 2022 Fiche espèce
  • Angiospermes
    Mauve musquée
    Malva moschata L., 1753
    4 observations
    Dernière observation en 2025 Fiche espèce
  • Angiospermes
    Mélique uniflore
    Melica uniflora Retz., 1779
    4 observations
    Dernière observation en 2019 Fiche espèce
  • Angiospermes
    Mélilot blanc
    Melilotus albus Medik., 1787
    4 observations
    Dernière observation en 2023 Fiche espèce
  • Angiospermes
    Menthe à longues feuilles
    Mentha longifolia (L.) Huds., 1762
    4 observations
    Dernière observation en 2019 Fiche espèce
  • Angiospermes
    Molinie bleue
    Molinia caerulea (L.) Moench, 1794
    4 observations
    Dernière observation en 2025 Fiche espèce
  • Angiospermes
    Myosotis très rameux
    Myosotis ramosissima Rochel, 1814
    4 observations
    Dernière observation en 2025 Fiche espèce
  • Angiospermes
    Gnaphale des bois
    Omalotheca sylvatica (L.) Sch.Bip. & F.W.Schultz, 1861
    4 observations
    Dernière observation en 2020 Fiche espèce
  • Angiospermes
    Ornithope délicat
    Ornithopus perpusillus L., 1753
    4 observations
    Dernière observation en 2025 Fiche espèce
  • Angiospermes
    Orthilie unilatérale
    Orthilia secunda (L.) House, 1921
    4 observations
    Dernière observation en 2016 Fiche espèce
  • Angiospermes
    Pétrorhagie prolifère
    Petrorhagia prolifera (L.) P.W.Ball & Heywood, 1964
    4 observations
    Dernière observation en 2019 Fiche espèce
  • Angiospermes
    Orpin de Forster
    Petrosedum forsterianum (Sm.) Grulich, 1984
    4 observations
    Dernière observation en 2025 Fiche espèce
  • Angiospermes
    Raiponce orbiculaire
    Phyteuma orbiculare L., 1753
    4 observations
    Dernière observation en 2025 Fiche espèce
  • Gymnospermes
    Pin noir
    Pinus nigra J.F.Arnold, 1785
    4 observations
    Dernière observation en 2019 Fiche espèce
  • Angiospermes
    Pâturin bulbeux
    Poa bulbosa L., 1753
    4 observations
    Dernière observation en 2019 Fiche espèce
  • Angiospermes
    Brunelle laciniée
    Prunella laciniata (L.) L., 1763
    4 observations
    Dernière observation en 2025 Fiche espèce
  • Angiospermes
    Pyrole mineure
    Pyrola minor L., 1753
    4 observations
    Dernière observation en 2020 Fiche espèce
  • Angiospermes
    Rosier à petites fleurs
    Rosa micrantha Borrer ex Sm., 1812
    4 observations
    Dernière observation en 2019 Fiche espèce
  • Angiospermes
    Saule à oreillettes
    Salix aurita L., 1753
    4 observations
    Dernière observation en 2021 Fiche espèce
  • Angiospermes
    Scabieuse colombaire
    Scabiosa columbaria L., 1753
    4 observations
    Dernière observation en 2019 Fiche espèce
  • Angiospermes
    Scrofulaire noueuse
    Scrophularia nodosa L., 1753
    4 observations
    Dernière observation en 2019 Fiche espèce
  • Angiospermes
    Orpin blanc
    Sedum album L., 1753
    4 observations
    Dernière observation en 2019 Fiche espèce
  • Angiospermes
    Séneçon du Cap
    Senecio inaequidens DC., 1838
    4 observations
    Dernière observation en 2024 Fiche espèce
  • Angiospermes
    Épiaire des forêts
    Stachys sylvatica L., 1753
    4 observations
    Dernière observation en 2019 Fiche espèce
  • Angiospermes
    Stellaire intermédiaire
    Stellaria media (L.) Vill., 1789
    4 observations
    Dernière observation en 2019 Fiche espèce
  • Angiospermes
    Pissenlit officinal
    Taraxacum officinale Weber ex F.H.Wigg., 1780
    4 observations
    Dernière observation en 2018 Fiche espèce
  • Angiospermes
    Torilide du Japon
    Torilis japonica (Houtt.) DC., 1830
    4 observations
    Dernière observation en 2019 Fiche espèce
  • Angiospermes
    Trèfle doré
    Trifolium aureum Pollich, 1777
    4 observations
    Dernière observation en 2019 Fiche espèce
  • Angiospermes
    Trèfle jaunâtre
    Trifolium ochroleucon Huds., 1762
    4 observations
    Dernière observation en 2025 Fiche espèce
  • Angiospermes
    Trèfle strié
    Trifolium striatum L., 1753
    4 observations
    Dernière observation en 2025 Fiche espèce
  • Angiospermes
    Trèfle raide
    Trifolium strictum L., 1755
    4 observations
    Dernière observation en 2025 Fiche espèce
  • Angiospermes
    Molène pulvérulente
    Verbascum pulverulentum Vill., 1779
    4 observations
    Dernière observation en 2025 Fiche espèce
  • Angiospermes
    Molène bouillon-blanc
    Verbascum thapsus L., 1753
    4 observations
    Dernière observation en 2019 Fiche espèce
  • Pteridophytes
    Doradille des murailles
    Asplenium trichomanes L., 1753 subsp. trichomanes
    4 observations
    Dernière observation en 2019 Fiche espèce
  • Angiospermes
    Brome mou
    Bromus hordeaceus L., 1753 subsp. hordeaceus
    4 observations
    Dernière observation en 2025 Fiche espèce
  • Angiospermes
    Coincye à fleurs de giroflée
    Coincya monensis subsp. cheiranthos (Vill.) Aedo, Leadlay & Muñoz Garm., 1993
    4 observations
    Dernière observation en 2019 Fiche espèce
  • Insectes
    -
    Ascalaphidae Rambur, 1842
    4 observations
    Dernière observation en 2023 Fiche espèce
  • Autres
    -
    Fomes (Fr.) Fr., 1849
    4 observations
    Dernière observation en 2021 Fiche espèce
  • Hepatiques et Anthocerotes
    -
    Lophozia (Dumort.) Dumort., 1835
    4 observations
    Dernière observation en 2014 Fiche espèce
  • Angiospermes
    Rosier
    Rosa L., 1753
    4 observations
    Dernière observation en 2019 Fiche espèce
  • Insectes
    -
    Acrossus rufipes (Linnaeus, 1758)
    4 observations
    Dernière observation en 2010 Fiche espèce
  • Insectes
    -
    Platycerus caprea (De Geer, 1774)
    4 observations
    Dernière observation en 2010 Fiche espèce
  • Insectes
    -
    Meliscaeva auricollis (Meigen, 1822)
    4 observations
    Dernière observation en 2017 Fiche espèce
  • Insectes
    -
    Hadrobregmus denticollis (Creutzer in Panzer, 1796)
    4 observations
    Dernière observation en 2016 Fiche espèce
  • Insectes
    Hédobie impériale
    Ptinomorphus imperialis (Linnaeus, 1767)
    4 observations
    Dernière observation en 2016 Fiche espèce
  • Insectes
    -
    Obrium brunneum (Fabricius, 1792)
    4 observations
    Dernière observation en 2016 Fiche espèce
  • Insectes
    -
    Abraeus granulum Erichson, 1839
    4 observations
    Dernière observation en 2017 Fiche espèce
  • Insectes
    -
    Anisotoma humeralis (Herbst, 1791)
    4 observations
    Dernière observation en 2017 Fiche espèce
  • Insectes
    -
    Xylita laevigata (Hellenius, 1786)
    4 observations
    Dernière observation en 2010 Fiche espèce
  • Insectes
    -
    Hallomenus binotatus (Quensel, 1790)
    4 observations
    Dernière observation en 2016 Fiche espèce
  • Insectes
    -
    Bitoma crenata (Fabricius, 1775)
    4 observations
    Dernière observation en 2017 Fiche espèce
  • Insectes
    Nécrophore imitateur
    Nicrophorus vespilloides Herbst, 1783
    4 observations
    Dernière observation en 2010 Fiche espèce
  • Insectes
    -
    Rhopalodontus perforatus (Gyllenhal, 1813)
    4 observations
    Dernière observation en 2010 Fiche espèce
  • Insectes
    -
    Cis punctulatus Gyllenhal, 1827
    4 observations
    Dernière observation en 2010 Fiche espèce
  • Insectes
    -
    Triplax russica (Linnaeus, 1758)
    4 observations
    Dernière observation en 2017 Fiche espèce
  • Insectes
    -
    Dacne bipustulata (Thunberg, 1781)
    4 observations
    Dernière observation en 2017 Fiche espèce
  • Insectes
    -
    Cryptolestes corticinus (Erichson, 1846)
    4 observations
    Dernière observation en 2017 Fiche espèce
  • Insectes
    -
    Rhizophagus nitidulus (Fabricius, 1798)
    4 observations
    Dernière observation en 2016 Fiche espèce
  • Insectes
    -
    Rhizophagus perforatus Erichson, 1845
    4 observations
    Dernière observation en 2009 Fiche espèce
  • Insectes
    -
    Glischrochilus quadriguttatus (Fabricius, 1777)
    4 observations
    Dernière observation en 2017 Fiche espèce
  • Insectes
    -
    Athous villiger Mulsant & Guillebeau, 1855
    4 observations
    Dernière observation en 2010 Fiche espèce
  • Insectes
    -
    Cardiophorus vestigialis Erichson, 1840
    4 observations
    Dernière observation en 2017 Fiche espèce
  • Insectes
    Scolyte castor
    Platypus cylindrus (Fabricius, 1792)
    4 observations
    Dernière observation en 2017 Fiche espèce
  • Insectes
    -
    Pityophthorus pubescens (Marsham, 1802)
    4 observations
    Dernière observation en 2017 Fiche espèce
  • Insectes
    -
    Pityogenes bidentatus (Herbst, 1783)
    4 observations
    Dernière observation en 2010 Fiche espèce
  • Autres
    Polypore du sapin
    Fomitoporia hartigii (Allesch. & Schnabl) Fiasson & Niemelä
    4 observations
    Dernière observation en 2024 Fiche espèce
  • Lichens
    -
    Chaenotheca furfuracea (L.) Tibell, 1984
    4 observations
    Dernière observation en 2016 Fiche espèce
  • Lichens
    -
    Peltigera polydactylon (Neck.) Hoffm., 1789
    4 observations
    Dernière observation en 2021 Fiche espèce
  • Lichens
    -
    Buellia griseovirens (Turner & Borrer ex Sm.) Almb., 1952
    4 observations
    Dernière observation en 2016 Fiche espèce
  • Lichens
    -
    Physconia distorta (With.) J.R.Laundon, 1984 var. distorta
    4 observations
    Dernière observation en 2022 Fiche espèce
  • Hepatiques et Anthocerotes
    -
    Lophoziopsis longidens (Lindb.) Konstant. & Vilnet, 2009
    4 observations
    Dernière observation en 2016 Fiche espèce
  • Hepatiques et Anthocerotes
    -
    Sphenolobus minutus (Schreb. ex D.Crantz) Berggr., 1898
    4 observations
    Dernière observation en 2015 Fiche espèce
  • Insectes
    Criquet des pâtures
    Pseudochorthippus parallelus (Zetterstedt, 1821)
    4 observations
    Dernière observation en 2018 Fiche espèce
  • Mousses
    -
    Pulvigera lyellii (Hook. & Taylor) Plášek, Sawicki & Ochyra, 2015
    4 observations
    Dernière observation en 2016 Fiche espèce
  • Insectes
    Criquet de l’Aigoual
    Gomphocerippus saulcyi algoaldensis (Chopard, 1952)
    4 observations
    Dernière observation en 2021 Fiche espèce
  • Gymnospermes
    Genévrier nain
    Juniperus communis var. saxatilis Pall., 1789
    4 observations
    Dernière observation en 2021 Fiche espèce
  • Amphibiens
    Salamandre tachetée (La)
    Salamandra salamandra (Linnaeus, 1758)
    3 observations
    Dernière observation en 2024 Fiche espèce
  • Oiseaux
    Torcol fourmilier
    Jynx torquilla Linnaeus, 1758
    3 observations
    Dernière observation en 2021 Fiche espèce
  • Oiseaux
    Hirondelle de rochers
    Ptyonoprogne rupestris (Scopoli, 1769)
    3 observations
    Dernière observation en 2020 Fiche espèce
  • Oiseaux
    Hirondelle rustique
    Hirundo rustica Linnaeus, 1758
    3 observations
    Dernière observation en 2025 Fiche espèce
  • Oiseaux
    Tichodrome échelette
    Tichodroma muraria (Linnaeus, 1766)
    3 observations
    Dernière observation en 2015 Fiche espèce
  • Mousses
    -
    Atrichum undulatum (Hedw.) P.Beauv., 1805
    3 observations
    Dernière observation en 2015 Fiche espèce
  • Mousses
    -
    Polytrichum juniperinum Hedw., 1801
    3 observations
    Dernière observation en 2021 Fiche espèce
  • Mousses
    -
    Polytrichum piliferum Hedw., 1801
    3 observations
    Dernière observation en 2018 Fiche espèce
  • Mousses
    -
    Polytrichum strictum Menzies ex Brid., 1801
    3 observations
    Dernière observation en 2025 Fiche espèce
  • Mousses
    -
    Dicranella heteromalla (Hedw.) Schimp., 1856
    3 observations
    Dernière observation en 2015 Fiche espèce
  • Mousses
    -
    Rhabdoweisia fugax (Hedw.) Bruch & Schimp., 1846
    3 observations
    Dernière observation en 2022 Fiche espèce
  • Mousses
    -
    Mnium hornum Hedw., 1801
    3 observations
    Dernière observation en 2025 Fiche espèce
  • Mousses
    -
    Aulacomnium palustre (Hedw.) Schwägr., 1827
    3 observations
    Dernière observation en 2025 Fiche espèce
  • Mousses
    -
    Orthotrichum pallens Bruch ex Brid., 1827
    3 observations
    Dernière observation en 2016 Fiche espèce
  • Mousses
    Orthotric de Roger
    Orthotrichum rogeri Brid., 1812
    3 observations
    Dernière observation en 2016 Fiche espèce
  • Mousses
    -
    Hedwigia ciliata (Hedw.) P.Beauv., 1805
    3 observations
    Dernière observation en 2016 Fiche espèce
  • Mousses
    -
    Leucodon sciuroides (Hedw.) Schwägr., 1816
    3 observations
    Dernière observation en 2022 Fiche espèce
  • Mousses
    -
    Pseudoleskeella nervosa (Brid.) Nyholm, 1969
    3 observations
    Dernière observation en 2016 Fiche espèce
  • Mousses
    -
    Coscinodon cribrosus (Hedw.) Spruce, 1849
    3 observations
    Dernière observation en 2025 Fiche espèce
  • Mousses
    -
    Grimmia montana Bruch & Schimp., 1845
    3 observations
    Dernière observation en 2016 Fiche espèce
  • Mousses
    -
    Grimmia trichophylla Grev., 1824
    3 observations
    Dernière observation en 2016 Fiche espèce
  • Mousses
    -
    Racomitrium aquaticum (Brid. ex Schrad.) Brid., 1819
    3 observations
    Dernière observation en 2017 Fiche espèce
  • Mousses
    -
    Brachythecium rivulare Schimp., 1853
    3 observations
    Dernière observation en 2015 Fiche espèce
  • Mousses
    -
    Plagiothecium denticulatum (Hedw.) Schimp., 1851
    3 observations
    Dernière observation en 2015 Fiche espèce
  • Mousses
    -
    Hypnum cupressiforme var. filiforme Brid., 1801
    3 observations
    Dernière observation en 2015 Fiche espèce
  • Hepatiques et Anthocerotes
    -
    Lejeunea cavifolia (Ehrh.) Lindb., 1871
    3 observations
    Dernière observation en 2015 Fiche espèce
  • Mousses
    -
    Sphagnum subnitens Russow & Warnst., 1888
    3 observations
    Dernière observation en 2025 Fiche espèce
  • Mousses
    -
    Sphagnum teres (Schimp.) Ångstr., 1861
    3 observations
    Dernière observation en 2015 Fiche espèce
  • Insectes
    Carabe d'Ispagnac
    Carabus hispanus Fabricius, 1787
    3 observations
    Dernière observation en 2018 Fiche espèce
  • Insectes
    -
    Tachyta nana (Gyllenhal, 1810)
    3 observations
    Dernière observation en 2017 Fiche espèce
  • Insectes
    -
    Amara ovata (Fabricius, 1792)
    3 observations
    Dernière observation en 2017 Fiche espèce
  • Insectes
    -
    Dromius fenestratus (Fabricius, 1794)
    3 observations
    Dernière observation en 2017 Fiche espèce
  • Insectes
    Géotrupe des bois
    Anoplotrupes stercorosus (Hartmann in Scriba, 1791)
    3 observations
    Dernière observation en 2020 Fiche espèce
  • Insectes
    Gnorime vert
    Gnorimus nobilis (Linnaeus, 1758)
    3 observations
    Dernière observation en 2017 Fiche espèce
  • Insectes
    -
    Colydium elongatum (Fabricius, 1787)
    3 observations
    Dernière observation en 2017 Fiche espèce
  • Insectes
    -
    Agriotes pallidulus (Illiger, 1807)
    3 observations
    Dernière observation en 2017 Fiche espèce
  • Insectes
    -
    Ampedus nigrinus (Herbst, 1784)
    3 observations
    Dernière observation en 2017 Fiche espèce
  • Insectes
    Taupin géomètre
    Denticollis linearis (Linnaeus, 1758)
    3 observations
    Dernière observation en 2017 Fiche espèce
  • Insectes
    Ver luisant
    Lampyris noctiluca (Linnaeus, 1758)
    3 observations
    Dernière observation en 2017 Fiche espèce
  • Insectes
    -
    Tillus elongatus (Linnaeus, 1758)
    3 observations
    Dernière observation en 2017 Fiche espèce
  • Insectes
    -
    Prionychus ater (Fabricius, 1775)
    3 observations
    Dernière observation en 2017 Fiche espèce
  • Insectes
    Petit Cycliste à pattes vertes
    Chrysanthia viridissima (Linnaeus, 1758)
    3 observations
    Dernière observation en 2016 Fiche espèce
  • Insectes
    Clyte d'Eastwood
    Clytus arietis (Linnaeus, 1758)
    3 observations
    Dernière observation en 2017 Fiche espèce
  • Insectes
    -
    Scolytus intricatus (Ratzeburg, 1837)
    3 observations
    Dernière observation en 2017 Fiche espèce
  • Crustaces
    Écrevisse à pieds blancs (L')
    Austropotamobius pallipes (Lereboullet, 1858)
    3 observations
    Dernière observation en 2011 Fiche espèce
  • Autres
    Amanite tue-mouches
    Amanita muscaria (L.) Lam., 1783
    3 observations
    Dernière observation en 2021 Fiche espèce
  • Autres
    Polypore herissé
    Inonotus hispidus (Bull.) P.Karst., 1879
    3 observations
    Dernière observation en 2023 Fiche espèce
  • Insectes
    Silène (Le)
    Brintesia circe (Fabricius, 1775)
    3 observations
    Dernière observation en 2020 Fiche espèce
  • Insectes
    Mégère (La)
    Lasiommata megera (Linnaeus, 1767)
    3 observations
    Dernière observation en 2024 Fiche espèce
  • Insectes
    Petite Tortue (La)
    Aglais urticae (Linnaeus, 1758)
    3 observations
    Dernière observation en 2020 Fiche espèce
  • Insectes
    Moro-Sphinx (Le)
    Macroglossum stellatarum (Linnaeus, 1758)
    3 observations
    Dernière observation en 2025 Fiche espèce
  • Lichens
    -
    Arthonia didyma Körb., 1853
    3 observations
    Dernière observation en 2016 Fiche espèce
  • Lichens
    -
    Cladonia furcata (Huds.) Schrad., 1794 subsp. furcata
    3 observations
    Dernière observation en 2016 Fiche espèce
  • Lichens
    -
    Peltigera praetextata (Flörke ex Sommerf.) Zopf, 1909
    3 observations
    Dernière observation en 2024 Fiche espèce
  • Lichens
    -
    Nephroma resupinatum (L.) Ach., 1810
    3 observations
    Dernière observation en 2020 Fiche espèce
  • Lichens
    -
    Pertusaria leioplaca (Ach.) DC., 1815
    3 observations
    Dernière observation en 2016 Fiche espèce
  • Lichens
    -
    Hypogymnia tubulosa (Schaer.) Hav., 1918
    3 observations
    Dernière observation en 2016 Fiche espèce
  • Lichens
    -
    Platismatia glauca (L.) W.L.Culb. & C.F.Culb., 1968
    3 observations
    Dernière observation en 2016 Fiche espèce
  • Mammiferes
    Genette commune
    Genetta genetta (Linnaeus, 1758)
    3 observations
    Dernière observation en 2021 Fiche espèce
  • Insectes
    Caloptéryx vierge méridional
    Calopteryx virgo meridionalis Selys, 1873
    3 observations
    Dernière observation en 2023 Fiche espèce
  • Insectes
    Orthétrum bleuissant (L')
    Orthetrum coerulescens (Fabricius, 1798)
    3 observations
    Dernière observation en 2024 Fiche espèce
  • Insectes
    Aeschne paisible (L')
    Boyeria irene (Boyer de Fonscolombe, 1838)
    3 observations
    Dernière observation en 2023 Fiche espèce
  • Insectes
    Barbitiste ventru
    Polysarcus denticauda (Charpentier, 1825)
    3 observations
    Dernière observation en 2024 Fiche espèce
  • Insectes
    Dectique verrucivore
    Decticus verrucivorus (Linnaeus, 1758)
    3 observations
    Dernière observation en 2018 Fiche espèce
  • Insectes
    Sténobothre nain
    Stenobothrus stigmaticus (Rambur, 1838)
    3 observations
    Dernière observation en 2020 Fiche espèce
  • Angiospermes
    Érable sycomore
    Acer pseudoplatanus L., 1753
    3 observations
    Dernière observation en 2019 Fiche espèce
  • Angiospermes
    Agrostide stolonifère
    Agrostis stolonifera L., 1753
    3 observations
    Dernière observation en 2019 Fiche espèce
  • Angiospermes
    Agrostide des vignes
    Agrostis vinealis Schreb., 1771
    3 observations
    Dernière observation en 2020 Fiche espèce
  • Angiospermes
    Aïra précoce
    Aira praecox L., 1753
    3 observations
    Dernière observation en 2018 Fiche espèce
  • Angiospermes
    Alchémille changeante
    Alchemilla transiens (Buser) Buser, 1898
    3 observations
    Dernière observation en 2020 Fiche espèce
  • Angiospermes
    Ail maraîcher
    Allium oleraceum L., 1753
    3 observations
    Dernière observation en 2019 Fiche espèce
  • Angiospermes
    Ail des vignes
    Allium vineale L., 1753
    3 observations
    Dernière observation en 2019 Fiche espèce
  • Angiospermes
    Amélanchier ovale
    Amelanchier ovalis Medik., 1793
    3 observations
    Dernière observation en 2025 Fiche espèce
  • Angiospermes
    Andryale à feuilles entières
    Andryala integrifolia L., 1753
    3 observations
    Dernière observation en 2019 Fiche espèce
  • Pteridophytes
    Doradille cétérac
    Asplenium ceterach L., 1753
    3 observations
    Dernière observation en 2016 Fiche espèce
  • Angiospermes
    Avoine barbue
    Avena barbata Pott ex Link, 1799
    3 observations
    Dernière observation en 2019 Fiche espèce
  • Angiospermes
    Bétoine officinale
    Betonica officinalis L., 1753
    3 observations
    Dernière observation en 2025 Fiche espèce
  • Angiospermes
    Bétoine officinale
    Betonica officinalis L., 1753
    3 observations
    Dernière observation en 2025 Fiche espèce
  • Angiospermes
    Cardamine hérissée
    Cardamine hirsuta L., 1753
    3 observations
    Dernière observation en 2025 Fiche espèce
  • Angiospermes
    Cardamine impatiente
    Cardamine impatiens L., 1753
    3 observations
    Dernière observation en 2019 Fiche espèce
  • Angiospermes
    Laîche de Paira
    Carex pairae F.W.Schultz, 1868
    3 observations
    Dernière observation en 2018 Fiche espèce
  • Angiospermes
    Laîche panic
    Carex panicea L., 1753
    3 observations
    Dernière observation en 2025 Fiche espèce
  • Angiospermes
    Céraiste des sources
    Cerastium fontanum Baumg., 1816
    3 observations
    Dernière observation en 2018 Fiche espèce
  • Angiospermes
    Céraiste nain
    Cerastium pumilum Curtis, 1777
    3 observations
    Dernière observation en 2019 Fiche espèce
  • Angiospermes
    Grande chélidoine
    Chelidonium majus L., 1753
    3 observations
    Dernière observation en 2019 Fiche espèce
  • Angiospermes
    Cirse laineux
    Cirsium eriophorum (L.) Scop., 1772
    3 observations
    Dernière observation en 2025 Fiche espèce
  • Angiospermes
    Cirse commun
    Cirsium vulgare (Savi) Ten., 1838
    3 observations
    Dernière observation en 2018 Fiche espèce
  • Angiospermes
    Crépide des marais
    Crepis paludosa (L.) Moench, 1794
    3 observations
    Dernière observation en 2023 Fiche espèce
  • Angiospermes
    Croisette commune
    Cruciata laevipes Opiz, 1852
    3 observations
    Dernière observation en 2025 Fiche espèce
  • Angiospermes
    Œillet à feuilles d'hysope
    Dianthus hyssopifolius L., 1755
    3 observations
    Dernière observation en 2020 Fiche espèce
  • Angiospermes
    Drave des murs
    Draba muralis L., 1753
    3 observations
    Dernière observation en 2025 Fiche espèce
  • Angiospermes
    Potentille des rochers
    Drymocallis rupestris (L.) Soják, 1989
    3 observations
    Dernière observation en 2019 Fiche espèce
  • Pteridophytes
    Dryoptéride des montagnes
    Dryopteris oreades Fomin, 1911
    3 observations
    Dernière observation en 2019 Fiche espèce
  • Angiospermes
    Euphraise raide
    Euphrasia stricta D.Wolff ex J.F.Lehm., 1809
    3 observations
    Dernière observation en 2018 Fiche espèce
  • Angiospermes
    Fétuque de Billy
    Festuca billyi Kerguélen & Plonka, 1991
    3 observations
    Dernière observation en 2020 Fiche espèce
  • Angiospermes
    Fétuque hétérophylle
    Festuca heterophylla Lam., 1779
    3 observations
    Dernière observation en 2019 Fiche espèce
  • Angiospermes
    Gaillet blanc
    Galium album Mill., 1768
    3 observations
    Dernière observation en 2019 Fiche espèce
  • Angiospermes
    Gentiane pneumonanthe
    Gentiana pneumonanthe L., 1753
    3 observations
    Dernière observation en 2025 Fiche espèce
  • Angiospermes
    Géranium mou
    Geranium molle L., 1753
    3 observations
    Dernière observation en 2018 Fiche espèce
  • Angiospermes
    Géranium noueux
    Geranium nodosum L., 1753
    3 observations
    Dernière observation en 2019 Fiche espèce
  • Angiospermes
    Gléchome lierre terrestre
    Glechoma hederacea L., 1753
    3 observations
    Dernière observation en 2025 Fiche espèce
  • Angiospermes
    Lierre grimpant
    Hedera helix L., 1753
    3 observations
    Dernière observation en 2019 Fiche espèce
  • Angiospermes
    Houblon lupulin
    Humulus lupulus L., 1753
    3 observations
    Dernière observation en 2023 Fiche espèce
  • Angiospermes
    Hylotéléphium élevé
    Hylotelephium maximum (L.) Holub, 1978
    3 observations
    Dernière observation en 2018 Fiche espèce
  • Angiospermes
    Millepertuis couché
    Hypericum humifusum L., 1753
    3 observations
    Dernière observation en 2018 Fiche espèce
  • Angiospermes
    Impatiente de Balfour
    Impatiens balfourii Hook.f., 1903
    3 observations
    Dernière observation en 2019 Fiche espèce
  • Angiospermes
    Jonc filiforme
    Juncus filiformis L., 1753
    3 observations
    Dernière observation en 1998 Fiche espèce
  • Angiospermes
    Jonc squarreux
    Juncus squarrosus L., 1753
    3 observations
    Dernière observation en 2014 Fiche espèce
  • Angiospermes
    Luzule luzuline
    Luzula luzulina (Vill.) Racib., 1888
    3 observations
    Dernière observation en 2010 Fiche espèce
  • Angiospermes
    Pommier sylvestre
    Malus sylvestris (L.) Mill., 1768
    3 observations
    Dernière observation en 2019 Fiche espèce
  • Angiospermes
    Narcisse des poètes
    Narcissus poeticus L., 1753
    3 observations
    Dernière observation en 2025 Fiche espèce
  • Angiospermes
    Narcisse des poètes
    Narcissus poeticus L., 1753
    3 observations
    Dernière observation en 2025 Fiche espèce
  • Angiospermes
    Néottie ovale
    Neottia ovata (L.) Bluff & Fingerh., 1837
    3 observations
    Dernière observation en 2025 Fiche espèce
  • Angiospermes
    Parisette à quatre feuilles
    Paris quadrifolia L., 1753
    3 observations
    Dernière observation en 2021 Fiche espèce
  • Angiospermes
    Persicaire maculée
    Persicaria maculosa Gray, 1821
    3 observations
    Dernière observation en 2019 Fiche espèce
  • Angiospermes
    Orpin ampléxicaule
    Petrosedum amplexicaule (DC.) Velayos, 1988
    3 observations
    Dernière observation en 2020 Fiche espèce
  • Angiospermes
    Picride fausse épervière
    Picris hieracioides L., 1753
    3 observations
    Dernière observation en 2023 Fiche espèce
  • Angiospermes
    Pâturin annuel
    Poa annua L., 1753
    3 observations
    Dernière observation en 2019 Fiche espèce
  • Angiospermes
    Sceau-de-Salomon multiflore
    Polygonatum multiflorum (L.) All., 1785
    3 observations
    Dernière observation en 2019 Fiche espèce
  • Angiospermes
    Sceau-de-Salomon verticillé
    Polygonatum verticillatum (L.) All., 1785
    3 observations
    Dernière observation en 2022 Fiche espèce
  • Pteridophytes
    Polypode intermédiaire
    Polypodium interjectum Shivas, 1961
    3 observations
    Dernière observation en 2019 Fiche espèce
  • Angiospermes
    Peuplier noir
    Populus nigra L., 1753
    3 observations
    Dernière observation en 2019 Fiche espèce
  • Angiospermes
    Brunelle à feuilles hastées
    Prunella hastifolia Brot., 1804
    3 observations
    Dernière observation en 2019 Fiche espèce
  • Gymnospermes
    Douglas de Menzies
    Pseudotsuga menziesii (Mirb.) Franco, 1950
    3 observations
    Dernière observation en 2017 Fiche espèce
  • Angiospermes
    Pulmonaire affine
    Pulmonaria affinis Jord., 1854
    3 observations
    Dernière observation en 2019 Fiche espèce
  • Angiospermes
    Chêne des Pyrénées
    Quercus pyrenaica Willd., 1805
    3 observations
    Dernière observation en 2016 Fiche espèce
  • Angiospermes
    Renoncule rampante
    Ranunculus repens L., 1753
    3 observations
    Dernière observation en 2019 Fiche espèce
  • Angiospermes
    Renoncule tubéreuse
    Ranunculus serpens Schrank, 1789
    3 observations
    Dernière observation en 2021 Fiche espèce
  • Angiospermes
    Renoncule tubéreuse
    Ranunculus serpens Schrank, 1789
    3 observations
    Dernière observation en 2021 Fiche espèce
  • Angiospermes
    Robinier faux-acacia
    Robinia pseudoacacia L., 1753
    3 observations
    Dernière observation en 2023 Fiche espèce
  • Angiospermes
    Rosier glauque
    Rosa caesia Sm., 1812
    3 observations
    Dernière observation en 2019 Fiche espèce
  • Angiospermes
    Rosier rouillé
    Rosa rubiginosa L., 1771
    3 observations
    Dernière observation en 2018 Fiche espèce
  • Angiospermes
    Rumex crépu
    Rumex crispus L., 1753
    3 observations
    Dernière observation en 2019 Fiche espèce
  • Angiospermes
    Patience à feuilles obtuses
    Rumex obtusifolius L., 1753
    3 observations
    Dernière observation en 2019 Fiche espèce
  • Angiospermes
    Saule cendré
    Salix cinerea L., 1753
    3 observations
    Dernière observation en 2019 Fiche espèce
  • Angiospermes
    Séneçon visqueux
    Senecio viscosus L., 1753
    3 observations
    Dernière observation en 2019 Fiche espèce
  • Angiospermes
    Thésion des Alpes
    Thesium alpinum L., 1753
    3 observations
    Dernière observation en 2018 Fiche espèce
  • Angiospermes
    Thym faux pouliot
    Thymus pulegioides L., 1753
    3 observations
    Dernière observation en 2018 Fiche espèce
  • Angiospermes
    Torilide des champs
    Torilis arvensis (Huds.) Link, 1821
    3 observations
    Dernière observation en 2019 Fiche espèce
  • Angiospermes
    Trèfle douteux
    Trifolium dubium Sibth., 1794
    3 observations
    Dernière observation en 2025 Fiche espèce
  • Angiospermes
    Tourette glabre
    Turritis glabra L., 1753
    3 observations
    Dernière observation en 2025 Fiche espèce
  • Angiospermes
    Orme mineur
    Ulmus minor Mill., 1768
    3 observations
    Dernière observation en 2019 Fiche espèce
  • Angiospermes
    Airelle à petits fruits
    Vaccinium microcarpum (Turcz. ex Rupr.) Schmalh., 1871
    3 observations
    Dernière observation en 2025 Fiche espèce
  • Angiospermes
    Verveine officinale
    Verbena officinalis L., 1753
    3 observations
    Dernière observation en 2023 Fiche espèce
  • Angiospermes
    Pervenche mineure
    Vinca minor L., 1753
    3 observations
    Dernière observation en 2019 Fiche espèce
  • Angiospermes
    Violette blanche
    Viola alba Besser, 1809
    3 observations
    Dernière observation en 2019 Fiche espèce
  • Angiospermes
    Violette des champs
    Viola arvensis Murray, 1770
    3 observations
    Dernière observation en 2018 Fiche espèce
  • Angiospermes
    Violette de Reichenbach
    Viola reichenbachiana Jord. ex Boreau, 1857
    3 observations
    Dernière observation en 2019 Fiche espèce
  • Angiospermes
    Vulpie queue-d'écureuil
    Vulpia bromoides (L.) Gray, 1821
    3 observations
    Dernière observation en 2025 Fiche espèce
  • Angiospermes
    Dactyle aggloméré
    Dactylis glomerata L., 1753 subsp. glomerata
    3 observations
    Dernière observation en 2025 Fiche espèce
  • Angiospermes
    Vulpie
    Vulpia C.C.Gmel., 1805
    3 observations
    Dernière observation en 2019 Fiche espèce
  • Insectes
    -
    Limarus zenkeri (Germar, 1813)
    3 observations
    Dernière observation en 2016 Fiche espèce
  • Insectes
    -
    Volinus sticticus (Panzer, 1798)
    3 observations
    Dernière observation en 2017 Fiche espèce
  • Insectes
    -
    Harpalus rufipalpis Sturm, 1818
    3 observations
    Dernière observation en 2016 Fiche espèce
  • Insectes
    -
    Porotachys bisulcatus (Nicolai, 1822)
    3 observations
    Dernière observation en 2017 Fiche espèce
  • Insectes
    -
    Paromalus flavicornis (Herbst, 1791)
    3 observations
    Dernière observation en 2017 Fiche espèce
  • Insectes
    -
    Synchita variegata Hellwig, 1792
    3 observations
    Dernière observation en 2017 Fiche espèce
  • Insectes
    Anthribe longicorne
    Platystomos albinus (Linnaeus, 1758)
    3 observations
    Dernière observation en 2016 Fiche espèce
  • Insectes
    -
    Placonotus testaceus (Fabricius, 1787)
    3 observations
    Dernière observation en 2017 Fiche espèce
  • Insectes
    Lyce rugueux
    Platycis minutus (Fabricius, 1787)
    3 observations
    Dernière observation en 2010 Fiche espèce
  • Insectes
    -
    Trixagus carinifrons (Bonvouloir, 1859)
    3 observations
    Dernière observation en 2010 Fiche espèce
  • Insectes
    -
    Ipidia binotata Reitter, 1875
    3 observations
    Dernière observation en 2017 Fiche espèce
  • Insectes
    -
    Andrena subopaca Nylander, 1848
    3 observations
    Dernière observation en 2017 Fiche espèce
  • Insectes
    Abeille domestique
    Apis mellifera Linnaeus, 1758
    3 observations
    Dernière observation en 2017 Fiche espèce
  • Insectes
    -
    Ampedus brunnicornis Germar, 1844
    3 observations
    Dernière observation en 2010 Fiche espèce
  • Insectes
    -
    Liotrichus affinis (Paykull, 1800)
    3 observations
    Dernière observation en 2010 Fiche espèce
  • Insectes
    -
    Paraphotistus impressus (Fabricius, 1792)
    3 observations
    Dernière observation en 2016 Fiche espèce
  • Insectes
    -
    Ips typographus (Linnaeus, 1758)
    3 observations
    Dernière observation en 2010 Fiche espèce
  • Insectes
    -
    Polygraphus poligraphus (Linnaeus, 1758)
    3 observations
    Dernière observation en 2017 Fiche espèce
  • Insectes
    Ramoneur (Le)
    Odezia atrata (Linnaeus, 1758)
    3 observations
    Dernière observation en 2021 Fiche espèce
  • Mousses
    -
    Hedwigia stellata Hedenäs
    3 observations
    Dernière observation en 2015 Fiche espèce
  • Mousses
    -
    Brachytheciastrum velutinum (Hedw.) Ignatov & Huttunen, 2002
    3 observations
    Dernière observation en 2025 Fiche espèce
  • Mousses
    -
    Andreaea rupestris Hedw., 1801 var. rupestris
    3 observations
    Dernière observation en 2014 Fiche espèce
  • Insectes
    -
    Ephippiger diurnus diurnus Dufour, 1841
    3 observations
    Dernière observation en 2023 Fiche espèce
  • Angiospermes
    Fétuque paniculée
    Patzkea paniculata (L.) G.H.Loos, 2010
    3 observations
    Dernière observation en 2020 Fiche espèce
  • Angiospermes
    Sétaire verte
    Setaria italica subsp. viridis (L.) Thell., 1912
    3 observations
    Dernière observation en 2023 Fiche espèce
  • Mousses
    -
    Sarmentypnum exannulatum (Schimp.) Hedenäs, 2006
    3 observations
    Dernière observation en 2025 Fiche espèce
  • Mousses
    -
    Nogopterium gracile (Hedw.) Crosby & W.R.Buck, 2011
    3 observations
    Dernière observation en 2022 Fiche espèce
  • Mousses
    -
    Philonotis capillaris Lindb., 1867
    3 observations
    Dernière observation en 2023 Fiche espèce
  • Insectes
    -
    Diplocoelus fagi (Chevrolat, 1837)
    3 observations
    Dernière observation en 2016 Fiche espèce
  • Mousses
    -
    Lewinskya speciosa (Nees) F.Lara, Garilleti & Goffinet, 2016
    3 observations
    Dernière observation en 2020 Fiche espèce
  • Reptiles
    Couleuvre helvétique
    Natrix helvetica (Lacepède, 1789)
    3 observations
    Dernière observation en 2024 Fiche espèce
  • Oiseaux
    Tarin des aulnes
    Spinus spinus (Linnaeus, 1758)
    3 observations
    Dernière observation en 2015 Fiche espèce
  • Insectes
    Criquet mélodieux
    Gomphocerippus biguttulus (Linnaeus, 1758)
    3 observations
    Dernière observation en 2018 Fiche espèce
  • Pteridophytes
    Doradille du Forez
    Asplenium foreziense Le Grand ex Magnier, 1884
    3 observations
    Dernière observation en 2019 Fiche espèce
  • Pteridophytes
    Dryoptéride de Borrer
    Dryopteris borreri (Newman) Kinahan, 1856
    3 observations
    Dernière observation en 2019 Fiche espèce
  • Angiospermes
    Ornithogale des montagnes
    Ornithogalum kochii subsp. monticola (Jord. & Fourr.) Peruzzi, 2006
    3 observations
    Dernière observation en 2025 Fiche espèce
  • Oiseaux
    Bécasse des bois
    Scolopax rusticola Linnaeus, 1758
    2 observations
    Dernière observation en 2017 Fiche espèce
  • Oiseaux
    Vautour moine
    Aegypius monachus (Linnaeus, 1766)
    2 observations
    Dernière observation en 2016 Fiche espèce
  • Oiseaux
    Faisan de Colchide
    Phasianus colchicus Linnaeus, 1758
    2 observations
    Dernière observation en 2017 Fiche espèce
  • Oiseaux
    Hibou moyen-duc
    Asio otus (Linnaeus, 1758)
    2 observations
    Dernière observation en 2024 Fiche espèce
  • Oiseaux
    Guêpier d'Europe
    Merops apiaster Linnaeus, 1758
    2 observations
    Dernière observation en 2022 Fiche espèce
  • Oiseaux
    Huppe fasciée
    Upupa epops Linnaeus, 1758
    2 observations
    Dernière observation en 2022 Fiche espèce
  • Mousses
    -
    Pogonatum aloides (Hedw.) P.Beauv., 1805
    2 observations
    Dernière observation en 2015 Fiche espèce
  • Mousses
    -
    Polytrichum commune Hedw., 1801
    2 observations
    Dernière observation en 2021 Fiche espèce
  • Oiseaux
    Cassenoix moucheté
    Nucifraga caryocatactes (Linnaeus, 1758)
    2 observations
    Dernière observation en 2017 Fiche espèce
  • Oiseaux
    Bruant ortolan
    Emberiza hortulana Linnaeus, 1758
    2 observations
    Dernière observation en 2021 Fiche espèce
  • Mousses
    -
    Pohlia annotina (Hedw.) Lindb., 1879
    2 observations
    Dernière observation en 2022 Fiche espèce
  • Mousses
    -
    Aulacomnium androgynum (Hedw.) Schwägr., 1827
    2 observations
    Dernière observation en 2015 Fiche espèce
  • Mousses
    -
    Philonotis fontana (Hedw.) Brid., 1827
    2 observations
    Dernière observation en 2025 Fiche espèce
  • Mousses
    -
    Ulota crispa (Hedw.) Brid., 1819
    2 observations
    Dernière observation en 2016 Fiche espèce
  • Mousses
    -
    Climacium dendroides (Hedw.) F.Weber & D.Mohr, 1804
    2 observations
    Dernière observation en 2025 Fiche espèce
  • Mousses
    -
    Thamnobryum alopecurum (Hedw.) Gangulee
    2 observations
    Dernière observation en 2015 Fiche espèce
  • Mousses
    -
    Thuidium tamariscinum (Hedw.) Schimp., 1852
    2 observations
    Dernière observation en 2015 Fiche espèce
  • Mousses
    -
    Racomitrium elongatum Ehrh. ex Frisvoll, 1983
    2 observations
    Dernière observation en 2021 Fiche espèce
  • Mousses
    -
    Blindia acuta (Hedw.) Bruch & Schimp., 1846
    2 observations
    Dernière observation en 2015 Fiche espèce
  • Mousses
    -
    Brachythecium albicans (Hedw.) Schimp., 1853
    2 observations
    Dernière observation en 2025 Fiche espèce
  • Mousses
    -
    Rhynchostegium riparioides (Hedw.) Cardot, 1913
    2 observations
    Dernière observation en 2015 Fiche espèce
  • Mousses
    -
    Pseudoscleropodium purum (Hedw.) M.Fleisch., 1923
    2 observations
    Dernière observation en 2025 Fiche espèce
  • Mousses
    -
    Plagiothecium curvifolium Schlieph. ex Limpr., 1897
    2 observations
    Dernière observation en 2015 Fiche espèce
  • Mousses
    -
    Plagiothecium nemorale (Mitt.) A.Jaeger, 1878
    2 observations
    Dernière observation en 2015 Fiche espèce
  • Mousses
    -
    Plagiothecium succulentum (Wilson) Lindb., 1865
    2 observations
    Dernière observation en 2015 Fiche espèce
  • Mousses
    -
    Ctenidium molluscum (Hedw.) Mitt., 1869
    2 observations
    Dernière observation en 2015 Fiche espèce
  • Hepatiques et Anthocerotes
    -
    Lophozia ventricosa (Dicks.) Dumort., 1835
    2 observations
    Dernière observation en 2015 Fiche espèce
  • Hepatiques et Anthocerotes
    -
    Lophocolea minor Nees, 1836
    2 observations
    Dernière observation en 2016 Fiche espèce
  • Hepatiques et Anthocerotes
    -
    Diplophyllum obtusifolium (Hook.) Dumort., 1835
    2 observations
    Dernière observation en 2015 Fiche espèce
  • Hepatiques et Anthocerotes
    -
    Cephaloziella hampeana (Nees) Schiffn. ex Loeske, 1903
    2 observations
    Dernière observation en 2015 Fiche espèce
  • Hepatiques et Anthocerotes
    -
    Nowellia curvifolia (Dicks.) Mitt., 1870
    2 observations
    Dernière observation en 2016 Fiche espèce
  • Hepatiques et Anthocerotes
    -
    Calypogeia fissa (L.) Raddi, 1818
    2 observations
    Dernière observation en 2012 Fiche espèce
  • Hepatiques et Anthocerotes
    -
    Blepharostoma trichophyllum (L.) Dumort., 1835
    2 observations
    Dernière observation en 2015 Fiche espèce
  • Hepatiques et Anthocerotes
    -
    Porella cordaeana (Huebener) Moore, 1876
    2 observations
    Dernière observation en 2015 Fiche espèce
  • Mousses
    -
    Sphagnum cuspidatum Ehrh. ex Hoffm., 1796
    2 observations
    Dernière observation en 2013 Fiche espèce
  • Mousses
    -
    Sphagnum fallax (H.Klinggr.) H.Klinggr., 1880
    2 observations
    Dernière observation en 2025 Fiche espèce
  • Mousses
    -
    Sphagnum magellanicum Brid., 1798
    2 observations
    Dernière observation en 2025 Fiche espèce
  • Mousses
    -
    Sphagnum rubellum Wilson, 1855
    2 observations
    Dernière observation en 2025 Fiche espèce
  • Mousses
    -
    Sphagnum squarrosum Crome, 1803
    2 observations
    Dernière observation en 2016 Fiche espèce
  • Mousses
    -
    Andreaea rothii F.Weber & D.Mohr, 1807
    2 observations
    Dernière observation en 2016 Fiche espèce
  • Mousses
    -
    Andreaea rupestris Hedw., 1801
    2 observations
    Dernière observation en 2022 Fiche espèce
  • Insectes
    -
    Leistus spinibarbis (Fabricius, 1775)
    2 observations
    Dernière observation en 2016 Fiche espèce
  • Insectes
    -
    Pterostichus cristatus femoratus (Dejean, 1828)
    2 observations
    Dernière observation en 2008 Fiche espèce
  • Insectes
    Coccinelle à 7 points
    Coccinella septempunctata Linnaeus, 1758
    2 observations
    Dernière observation en 2021 Fiche espèce
  • Insectes
    Clyte théologien
    Anaglyptus mysticus (Linnaeus, 1758)
    2 observations
    Dernière observation en 2016 Fiche espèce
  • Insectes
    Allécule dentée
    Pseudocistela ceramboides (Linnaeus, 1758)
    2 observations
    Dernière observation en 2017 Fiche espèce
  • Insectes
    Encyclopédie
    Tetratoma fungorum Fabricius, 1790
    2 observations
    Dernière observation en 2016 Fiche espèce
  • Insectes
    -
    Conopalpus brevicollis Kraatz, 1855
    2 observations
    Dernière observation en 2015 Fiche espèce
  • Insectes
    Lepture à écusson doré
    Stictoleptura scutellata (Fabricius, 1781)
    2 observations
    Dernière observation en 2017 Fiche espèce
  • Insectes
    Grand charançon du pin
    Hylobius abietis (Linnaeus, 1758)
    2 observations
    Dernière observation en 2010 Fiche espèce
  • Insectes
    -
    Dasysyrphus albostriatus (Fallén, 1817)
    2 observations
    Dernière observation en 2017 Fiche espèce
  • Insectes
    -
    Syrphus vitripennis Meigen, 1822
    2 observations
    Dernière observation en 2017 Fiche espèce
  • Insectes
    -
    Platycheirus albimanus (Fabricius, 1781)
    2 observations
    Dernière observation en 2020 Fiche espèce
  • Insectes
    Eristale gluante
    Eristalis tenax (Linnaeus, 1758)
    2 observations
    Dernière observation en 2020 Fiche espèce
  • Autres
    Amanite citrine
    Amanita citrina Pers., 1797
    2 observations
    Dernière observation en 2024 Fiche espèce
  • Autres
    Tramète rougissante
    Daedaleopsis confragosa (Bolton) J.Schröt., 1888
    2 observations
    Dernière observation en 2018 Fiche espèce
  • Autres
    Lenzite tricolore
    Daedaleopsis tricolor (Bull.) Bondartsev & Singer, 1941
    2 observations
    Dernière observation en 2022 Fiche espèce
  • Autres
    Polypore incrusté
    Inonotus obliquus (Fr.) Pilát, 1942
    2 observations
    Dernière observation en 2021 Fiche espèce
  • Autres
    Polypore balsamique
    Ischnoderma benzoinum (Wahlenb.) P.Karst., 1881
    2 observations
    Dernière observation en 2022 Fiche espèce
  • Insectes
    Bourdon des prés
    Bombus pratorum (Linnaeus, 1761)
    2 observations
    Dernière observation en 2017 Fiche espèce
  • Insectes
    -
    Halictus rubicundus (Christ, 1791)
    2 observations
    Dernière observation en 2017 Fiche espèce
  • Insectes
    Céphale (Le)
    Coenonympha arcania (Linnaeus, 1761)
    2 observations
    Dernière observation en 2020 Fiche espèce
  • Insectes
    Demi-Deuil (Le)
    Melanargia galathea (Linnaeus, 1758)
    2 observations
    Dernière observation en 2020 Fiche espèce
  • Insectes
    Vanesse des Chardons (La)
    Vanessa cardui (Linnaeus, 1758)
    2 observations
    Dernière observation en 2020 Fiche espèce
  • Insectes
    Tabac d'Espagne (Le)
    Argynnis paphia (Linnaeus, 1758)
    2 observations
    Dernière observation en 2024 Fiche espèce
  • Insectes
    Petit Nacré (Le)
    Issoria lathonia (Linnaeus, 1758)
    2 observations
    Dernière observation en 2020 Fiche espèce
  • Insectes
    Piéride du Chou (La)
    Pieris brassicae (Linnaeus, 1758)
    2 observations
    Dernière observation en 2024 Fiche espèce
  • Insectes
    Flambé (Le)
    Iphiclides podalirius (Linnaeus, 1758)
    2 observations
    Dernière observation en 2024 Fiche espèce
  • Insectes
    Bombyx de la Ronce (Le)
    Macrothylacia rubi (Linnaeus, 1758)
    2 observations
    Dernière observation en 2024 Fiche espèce
  • Lichens
    -
    Acrocordia gemmata (Ach.) A.Massal., 1854
    2 observations
    Dernière observation en 2016 Fiche espèce
  • Lichens
    -
    Chaenotheca brunneola (Ach.) Müll.Arg., 1862
    2 observations
    Dernière observation en 2016 Fiche espèce
  • Lichens
    -
    Pannaria conoplea (Ach.) Bory, 1828
    2 observations
    Dernière observation en 2021 Fiche espèce
  • Lichens
    -
    Micarea prasina Fr., 1825
    2 observations
    Dernière observation en 2016 Fiche espèce
  • Lichens
    -
    Cladonia gracilis (L.) Willd., 1787 subsp. gracilis
    2 observations
    Dernière observation en 2016 Fiche espèce
  • Lichens
    -
    Cladonia fimbriata (L.) Fr., 1831
    2 observations
    Dernière observation en 2016 Fiche espèce
  • Lichens
    -
    Umbilicaria pustulata (L.) Hoffm., 1791
    2 observations
    Dernière observation en 2019 Fiche espèce
  • Lichens
    -
    Pertusaria coccodes (Ach.) Nyl., 1857
    2 observations
    Dernière observation en 2016 Fiche espèce
  • Lichens
    -
    Lecanora subrugosa Nyl., 1875
    2 observations
    Dernière observation en 2016 Fiche espèce
  • Lichens
    -
    Parmelina tiliacea (Hoffm.) Hale, 1974
    2 observations
    Dernière observation en 2016 Fiche espèce
  • Mammiferes
    Pipistrelle commune
    Pipistrellus pipistrellus (Schreber, 1774)
    2 observations
    Dernière observation en 1988 Fiche espèce
  • Mammiferes
    Chamois des Alpes
    Rupicapra rupicapra (Linnaeus, 1758)
    2 observations
    Dernière observation en 1999 Fiche espèce
  • Mammiferes
    Mulot sylvestre
    Apodemus sylvaticus (Linnaeus, 1758)
    2 observations
    Dernière observation en 2019 Fiche espèce
  • Mammiferes
    Loir gris
    Glis glis (Linnaeus, 1766)
    2 observations
    Dernière observation en 2019 Fiche espèce
  • Insectes
    Leste fiancé
    Lestes sponsa (Hansemann, 1823)
    2 observations
    Dernière observation en 2024 Fiche espèce
  • Insectes
    Sympétrum noir (Le)
    Sympetrum danae (Sulzer, 1776)
    2 observations
    Dernière observation en 1997 Fiche espèce
  • Insectes
    Aeschne bleue (L')
    Aeshna cyanea (O.F. Müller, 1764)
    2 observations
    Dernière observation en 2025 Fiche espèce
  • Insectes
    Barbitiste des Pyrénées
    Isophya pyrenaea (Audinet-Serville, 1838)
    2 observations
    Dernière observation en 2018 Fiche espèce
  • Insectes
    Grillon champêtre
    Gryllus campestris Linnaeus, 1758
    2 observations
    Dernière observation en 2025 Fiche espèce
  • Insectes
    Criquet verdelet
    Omocestus viridulus (Linnaeus, 1758)
    2 observations
    Dernière observation en 2016 Fiche espèce
  • Insectes
    Criquet de la Palène
    Stenobothrus lineatus (Panzer, 1796)
    2 observations
    Dernière observation en 2018 Fiche espèce
  • Insectes
    Criquet des mouillères
    Euchorthippus declivus (Brisout de Barneville, 1848)
    2 observations
    Dernière observation en 2023 Fiche espèce
  • Insectes
    OEdipode stridulante
    Psophus stridulus (Linnaeus, 1758)
    2 observations
    Dernière observation en 2016 Fiche espèce
  • Reptiles
    Orvet fragile (L')
    Anguis fragilis Linnaeus, 1758
    2 observations
    Dernière observation en 2022 Fiche espèce
  • Reptiles
    Lézard des murailles (Le)
    Podarcis muralis (Laurenti, 1768)
    2 observations
    Dernière observation en 2016 Fiche espèce
  • Mammiferes
    Pipistrelle de Kuhl
    Pipistrellus kuhlii (Natterer in Kuhl, 1817)
    2 observations
    Dernière observation en 1987 Fiche espèce
  • Angiospermes
    Adénocarpe plié
    Adenocarpus complicatus (L.) J.Gay, 1836
    2 observations
    Dernière observation en 2025 Fiche espèce
  • Angiospermes
    Bugle de Genève
    Ajuga genevensis L., 1753
    2 observations
    Dernière observation en 2025 Fiche espèce
  • Angiospermes
    Alchémille vert jaune
    Alchemilla xanthochlora Rothm., 1937
    2 observations
    Dernière observation en 2018 Fiche espèce
  • Angiospermes
    Ail à tête ronde
    Allium sphaerocephalon L., 1753
    2 observations
    Dernière observation en 2024 Fiche espèce
  • Angiospermes
    Vulpin des prés
    Alopecurus pratensis L., 1753
    2 observations
    Dernière observation en 2025 Fiche espèce
  • Pteridophytes
    Anogramme à feuilles minces
    Anogramma leptophylla (L.) Link, 1841
    2 observations
    Dernière observation en 2017 Fiche espèce
  • Pteridophytes
    Doradille noire
    Asplenium adiantum-nigrum L., 1753
    2 observations
    Dernière observation en 2019 Fiche espèce
  • Pteridophytes
    Doradille rue-des-murailles
    Asplenium ruta-muraria L., 1753
    2 observations
    Dernière observation en 2006 Fiche espèce
  • Angiospermes
    Astragale de Montpellier
    Astragalus monspessulanus L., 1753
    2 observations
    Dernière observation en 2017 Fiche espèce
  • Angiospermes
    Bellardiochloa panaché
    Bellardiochloa variegata (Lam.) Kerguélen, 1983
    2 observations
    Dernière observation en 2021 Fiche espèce
  • Angiospermes
    Brome érigé
    Bromopsis erecta (Huds.) Fourr., 1869
    2 observations
    Dernière observation en 2019 Fiche espèce
  • Angiospermes
    Brome mou
    Bromus hordeaceus L., 1753
    2 observations
    Dernière observation en 2019 Fiche espèce
  • Angiospermes
    Bryone dioïque
    Bryonia dioica Jacq., 1774
    2 observations
    Dernière observation en 2019 Fiche espèce
  • Angiospermes
    Calamagrostide roseau
    Calamagrostis arundinacea (L.) Roth, 1788
    2 observations
    Dernière observation en 2014 Fiche espèce
  • Angiospermes
    Laîche glauque
    Carex flacca Schreb., 1771
    2 observations
    Dernière observation en 2018 Fiche espèce
  • Angiospermes
    Laîche patte-de-lièvre
    Carex leporina L., 1753
    2 observations
    Dernière observation en 2018 Fiche espèce
  • Angiospermes
    Carline commune
    Carlina vulgaris L., 1753
    2 observations
    Dernière observation en 2019 Fiche espèce
  • Angiospermes
    Céraiste à pétales courts
    Cerastium brachypetalum Pers., 1805
    2 observations
    Dernière observation en 2025 Fiche espèce
  • Angiospermes
    Céraiste très rameux
    Cerastium ramosissimum Boiss., 1838
    2 observations
    Dernière observation en 2018 Fiche espèce
  • Angiospermes
    Cerfeuil doré
    Chaerophyllum aureum L., 1762
    2 observations
    Dernière observation en 2019 Fiche espèce
  • Angiospermes
    Chondrille à tige de jonc
    Chondrilla juncea L., 1753
    2 observations
    Dernière observation en 2023 Fiche espèce
  • Angiospermes
    Clématite des haies
    Clematis vitalba L., 1753
    2 observations
    Dernière observation en 2019 Fiche espèce
  • Angiospermes
    Colchique d'automne
    Colchicum autumnale L., 1753
    2 observations
    Dernière observation en 2019 Fiche espèce
  • Angiospermes
    Liseron des champs
    Convolvulus arvensis L., 1753
    2 observations
    Dernière observation en 2019 Fiche espèce
  • Angiospermes
    Danthonie retombante
    Danthonia decumbens (L.) DC., 1805
    2 observations
    Dernière observation en 2025 Fiche espèce
  • Angiospermes
    Œillet piquant
    Dianthus pungens L., 1771
    2 observations
    Dernière observation en 2014 Fiche espèce
  • Angiospermes
    Digitale jaune
    Digitalis lutea L., 1753
    2 observations
    Dernière observation en 2017 Fiche espèce
  • Angiospermes
    Doronic d'Autriche
    Doronicum austriacum Jacq., 1774
    2 observations
    Dernière observation en 2008 Fiche espèce
  • Pteridophytes
    Dryoptéride des Chartreux
    Dryopteris carthusiana (Vill.) H.P.Fuchs, 1959
    2 observations
    Dernière observation en 2014 Fiche espèce
  • Pteridophytes
    Prêle des champs
    Equisetum arvense L., 1753
    2 observations
    Dernière observation en 2019 Fiche espèce
  • Angiospermes
    Érigéron du Canada
    Erigeron canadensis L., 1753
    2 observations
    Dernière observation en 2023 Fiche espèce
  • Angiospermes
    Érodium à feuilles de ciguë
    Erodium cicutarium (L.) L'Hér., 1789
    2 observations
    Dernière observation en 2019 Fiche espèce
  • Angiospermes
    Panicaut champêtre
    Eryngium campestre L., 1753
    2 observations
    Dernière observation en 2019 Fiche espèce
  • Angiospermes
    Fétuque de Saint-Yves
    Festuca yvesii Sennen & Pau, 1917
    2 observations
    Dernière observation en 2020 Fiche espèce
  • Angiospermes
    Ficaire printanière
    Ficaria verna Huds., 1762
    2 observations
    Dernière observation en 2019 Fiche espèce
  • Angiospermes
    Gaillet luisant
    Galium lucidum All., 1773
    2 observations
    Dernière observation en 2018 Fiche espèce
  • Angiospermes
    Gaillet fluet
    Galium pusillum L., 1753
    2 observations
    Dernière observation en 2018 Fiche espèce
  • Angiospermes
    Gaillet à feuilles rondes
    Galium rotundifolium L., 1753
    2 observations
    Dernière observation en 2018 Fiche espèce
  • Angiospermes
    Genêt d'Angleterre
    Genista anglica L., 1753
    2 observations
    Dernière observation en 2025 Fiche espèce
  • Angiospermes
    Épervière amplexicaule
    Hieracium amplexicaule L., 1753
    2 observations
    Dernière observation en 2019 Fiche espèce
  • Angiospermes
    Houx commun
    Ilex aquifolium L., 1753
    2 observations
    Dernière observation en 2019 Fiche espèce
  • Angiospermes
    Jonc à fleurs aiguës
    Juncus acutiflorus Ehrh. ex Hoffm., 1791
    2 observations
    Dernière observation en 2018 Fiche espèce
  • Angiospermes
    Jonc bulbeux
    Juncus bulbosus L., 1753
    2 observations
    Dernière observation en 2025 Fiche espèce
  • Angiospermes
    Lis martagon
    Lilium martagon L., 1753
    2 observations
    Dernière observation en 2025 Fiche espèce
  • Angiospermes
    Chèvrefeuille des haies
    Lonicera xylosteum L., 1753
    2 observations
    Dernière observation en 2019 Fiche espèce
  • Pteridophytes
    Lycopodielle inondée
    Lycopodiella inundata (L.) Holub, 1964
    2 observations
    Dernière observation en 2013 Fiche espèce
  • Angiospermes
    Mélampyre des prés
    Melampyrum pratense L., 1753
    2 observations
    Dernière observation en 2015 Fiche espèce
  • Angiospermes
    Menthe aquatique
    Mentha aquatica L., 1753
    2 observations
    Dernière observation en 2019 Fiche espèce
  • Angiospermes
    Mercuriale vivace
    Mercurialis perennis L., 1753
    2 observations
    Dernière observation en 2019 Fiche espèce
  • Angiospermes
    Narcisse faux narcisse
    Narcissus pseudonarcissus L., 1753
    2 observations
    Dernière observation en 2021 Fiche espèce
  • Angiospermes
    Orchis pourpre
    Orchis purpurea Huds., 1762
    2 observations
    Dernière observation en 2019 Fiche espèce
  • Angiospermes
    Origan commun
    Origanum vulgare L., 1753
    2 observations
    Dernière observation en 2019 Fiche espèce
  • Angiospermes
    Parnassie des marais
    Parnassia palustris L., 1753
    2 observations
    Dernière observation en 2025 Fiche espèce
  • Angiospermes
    Boucage saxifrage
    Pimpinella saxifraga L., 1753
    2 observations
    Dernière observation en 2018 Fiche espèce
  • Angiospermes
    Plantain argenté
    Plantago argentea Chaix, 1785
    2 observations
    Dernière observation en 2018 Fiche espèce
  • Angiospermes
    Plantain subulé
    Plantago subulata L., 1753
    2 observations
    Dernière observation en 1970 Fiche espèce
  • Angiospermes
    Pâturin comprimé
    Poa compressa L., 1753
    2 observations
    Dernière observation en 2018 Fiche espèce
  • Angiospermes
    Pâturin des prés
    Poa pratensis L., 1753
    2 observations
    Dernière observation en 2025 Fiche espèce
  • Angiospermes
    Sceau-de-Salomon odorant
    Polygonatum odoratum (Mill.) Druce, 1906
    2 observations
    Dernière observation en 2020 Fiche espèce
  • Angiospermes
    Potentille dorée
    Potentilla aurea L., 1756
    2 observations
    Dernière observation en 2021 Fiche espèce
  • Angiospermes
    Potentille des hêtraies
    Potentilla fagineicola Lamotte, 1877
    2 observations
    Dernière observation en 2025 Fiche espèce
  • Angiospermes
    Potentille printanière
    Potentilla verna L., 1753
    2 observations
    Dernière observation en 2018 Fiche espèce
  • Angiospermes
    Prunier amandier
    Prunus dulcis (Mill.) D.A.Webb, 1967
    2 observations
    Dernière observation en 2025 Fiche espèce
  • Angiospermes
    Renoncule tête-d'or
    Ranunculus auricomus s. l.
    2 observations
    Dernière observation en 2019 Fiche espèce
  • Angiospermes
    Renoncule à feuilles de platane
    Ranunculus platanifolius L., 1767
    2 observations
    Dernière observation en 2014 Fiche espèce
  • Angiospermes
    Réséda de Jacquin
    Reseda jacquinii Rchb., 1824
    2 observations
    Dernière observation en 2025 Fiche espèce
  • Angiospermes
    Groseillier rouge
    Ribes rubrum L., 1753
    2 observations
    Dernière observation en 2019 Fiche espèce
  • Angiospermes
    Rosier de Pouzin
    Rosa pouzinii Tratt., 1823
    2 observations
    Dernière observation en 2017 Fiche espèce
  • Angiospermes
    Sagine couchée
    Sagina procumbens L., 1753
    2 observations
    Dernière observation en 2019 Fiche espèce
  • Angiospermes
    Saule fragile
    Salix x fragilis L., 1753
    2 observations
    Dernière observation en 2019 Fiche espèce
  • Angiospermes
    Saule pourpre
    Salix purpurea L., 1753
    2 observations
    Dernière observation en 2019 Fiche espèce
  • Angiospermes
    Saule rampant
    Salix repens L., 1753
    2 observations
    Dernière observation en 2025 Fiche espèce
  • Angiospermes
    Saponaire officinale
    Saponaria officinalis L., 1753
    2 observations
    Dernière observation en 2019 Fiche espèce
  • Angiospermes
    Scléranthe annuel
    Scleranthus annuus L., 1753
    2 observations
    Dernière observation en 2018 Fiche espèce
  • Angiospermes
    Scorsonère humble
    Scorzonera humilis L., 1753
    2 observations
    Dernière observation en 2024 Fiche espèce
  • Angiospermes
    Joubarbe des toits
    Sempervivum tectorum L., 1753
    2 observations
    Dernière observation en 2015 Fiche espèce
  • Angiospermes
    Serratule des teinturiers
    Serratula tinctoria L., 1753
    2 observations
    Dernière observation en 2020 Fiche espèce
  • Angiospermes
    Serratule des teinturiers
    Serratula tinctoria L., 1753
    2 observations
    Dernière observation en 2020 Fiche espèce
  • Angiospermes
    Faux sésame pourpré
    Sesamoides purpurascens (L.) G.López, 1986
    2 observations
    Dernière observation en 2020 Fiche espèce
  • Angiospermes
    Shérardie des champs
    Sherardia arvensis L., 1753
    2 observations
    Dernière observation en 2025 Fiche espèce
  • Angiospermes
    Silène dioïque
    Silene dioica (L.) Clairv., 1811
    2 observations
    Dernière observation en 2015 Fiche espèce
  • Angiospermes
    Silène à feuilles larges
    Silene latifolia Poir., 1789
    2 observations
    Dernière observation en 2019 Fiche espèce
  • Angiospermes
    Laiteron potager
    Sonchus oleraceus L., 1753
    2 observations
    Dernière observation en 2019 Fiche espèce
  • Angiospermes
    Thym serpolet
    Thymus serpyllum L., 1753
    2 observations
    Dernière observation en 1970 Fiche espèce
  • Angiospermes
    Tilleul à grandes feuilles
    Tilia platyphyllos Scop., 1771
    2 observations
    Dernière observation en 2019 Fiche espèce
  • Angiospermes
    Tordyle élevé
    Tordylium maximum L., 1753
    2 observations
    Dernière observation en 2019 Fiche espèce
  • Angiospermes
    Trèfle champêtre
    Trifolium campestre Schreb., 1804
    2 observations
    Dernière observation en 2025 Fiche espèce
  • Angiospermes
    Trèfle noircissant
    Trifolium nigrescens Viv., 1808
    2 observations
    Dernière observation en 2025 Fiche espèce
  • Angiospermes
    Valériane officinale
    Valeriana officinalis L., 1753
    2 observations
    Dernière observation en 2019 Fiche espèce
  • Angiospermes
    Véronique beccabonga
    Veronica beccabunga L., 1753
    2 observations
    Dernière observation en 2019 Fiche espèce
  • Angiospermes
    Véronique à feuilles de serpolet
    Veronica serpyllifolia L., 1753
    2 observations
    Dernière observation en 2017 Fiche espèce
  • Angiospermes
    Véronique printanière
    Veronica verna L., 1753
    2 observations
    Dernière observation en 2018 Fiche espèce
  • Angiospermes
    Violette jaune
    Viola lutea Huds., 1762
    2 observations
    Dernière observation en 2020 Fiche espèce
  • Angiospermes
    Épilobe de Lamy
    Epilobium tetragonum subsp. lamyi (F.W.Schultz) Nyman, 1879
    2 observations
    Dernière observation en 2019 Fiche espèce
  • Angiospermes
    Tabouret verdoyant
    Noccaea caerulescens subsp. virens (Jord.) Kerguélen, 1993
    2 observations
    Dernière observation en 2020 Fiche espèce
  • Angiospermes
    Pâturin des prés
    Poa pratensis L., 1753 subsp. pratensis
    2 observations
    Dernière observation en 2019 Fiche espèce
  • Mammiferes
    -
    Apodemus Kaup, 1829
    2 observations
    Dernière observation en 2017 Fiche espèce
  • Hepatiques et Anthocerotes
    -
    Cephaloziella (Spruce) Schiffn., 1893
    2 observations
    Dernière observation en 2016 Fiche espèce
  • Autres
    -
    Clavaria Fr.
    2 observations
    Dernière observation en 2021 Fiche espèce
  • Angiospermes
    Épilobe
    Epilobium L., 1753
    2 observations
    Dernière observation en 2018 Fiche espèce
  • Angiospermes
    Pommier
    Malus Mill., 1754
    2 observations
    Dernière observation en 2018 Fiche espèce
  • Mousses
    -
    Plagiothecium Schimp., 1851
    2 observations
    Dernière observation en 2016 Fiche espèce
  • Hepatiques et Anthocerotes
    -
    Porella L., 1753
    2 observations
    Dernière observation en 2019 Fiche espèce
  • Amphibiens
    Grenouille
    Rana Linnaeus, 1758
    2 observations
    Dernière observation en 2018 Fiche espèce
  • Mousses
    -
    Schistidium Bruch & Schimp., 1845
    2 observations
    Dernière observation en 2015 Fiche espèce
  • Lichens
    -
    Usnea Dill. ex Adans., 1763
    2 observations
    Dernière observation en 2016 Fiche espèce
  • Mammiferes
    Murin de Daubenton
    Myotis daubentonii (Kuhl, 1817)
    2 observations
    Dernière observation en 1988 Fiche espèce
  • Insectes
    -
    Nimbus contaminatus (Herbst, 1783)
    2 observations
    Dernière observation en 2017 Fiche espèce
  • Insectes
    -
    Eristalis similis (Fallén, 1817)
    2 observations
    Dernière observation en 2024 Fiche espèce
  • Insectes
    -
    Manica rubida (Latreille, 1802)
    2 observations
    Dernière observation en 2025 Fiche espèce
  • Insectes
    -
    Xyletinus fibyensis Lundblad, 1949
    2 observations
    Dernière observation en 2017 Fiche espèce
  • Insectes
    Capricorne brun de forme ovale
    Pogonocherus ovatus (Goeze, 1777)
    2 observations
    Dernière observation en 2010 Fiche espèce
  • Insectes
    Capricorne à étuis dentelés
    Pogonocherus hispidus (Linnaeus, 1758)
    2 observations
    Dernière observation en 2017 Fiche espèce
  • Insectes
    -
    Gnathoncus buyssoni Auzat, 1917
    2 observations
    Dernière observation en 2008 Fiche espèce
  • Insectes
    -
    Wanachia triguttata (Gyllenhal, 1810)
    2 observations
    Dernière observation en 2015 Fiche espèce
  • Insectes
    Sage des forêts
    Ischnomera sanguinicollis (Fabricius, 1787)
    2 observations
    Dernière observation en 2009 Fiche espèce
  • Insectes
    -
    Vincenzellus ruficollis (Panzer, 1794)
    2 observations
    Dernière observation en 2016 Fiche espèce
  • Insectes
    -
    Silvanoprus fagi (Guérin-Méneville, 1844)
    2 observations
    Dernière observation en 2016 Fiche espèce
  • Insectes
    -
    Silvanus bidentatus (Fabricius, 1792)
    2 observations
    Dernière observation en 2010 Fiche espèce
  • Insectes
    -
    Sphindus dubius (Gyllenhal, 1808)
    2 observations
    Dernière observation en 2017 Fiche espèce
  • Insectes
    -
    Aspidiphorus lareyniei Jacquelin du Val, 1859
    2 observations
    Dernière observation en 2017 Fiche espèce
  • Insectes
    -
    Mycetoma suturale (Panzer, 1797)
    2 observations
    Dernière observation en 2017 Fiche espèce
  • Insectes
    -
    Cis dentatus Mellié, 1848
    2 observations
    Dernière observation en 2010 Fiche espèce
  • Insectes
    -
    Symbiotes latus L. Redtenbacher, 1847
    2 observations
    Dernière observation en 2017 Fiche espèce
  • Insectes
    -
    Hylis cariniceps (Reitter, 1902)
    2 observations
    Dernière observation en 2017 Fiche espèce
  • Insectes
    Lyce de Stendhal
    Pyropterus nigroruber (De Geer, 1774)
    2 observations
    Dernière observation en 2017 Fiche espèce
  • Insectes
    Taupin à antenne en masse
    Trixagus dermestoides (Linnaeus, 1767)
    2 observations
    Dernière observation en 2016 Fiche espèce
  • Insectes
    -
    Carpophilus marginellus Motschulsky, 1858
    2 observations
    Dernière observation en 2017 Fiche espèce
  • Insectes
    -
    Pityophagus laevior Abeille de Perrin, 1872
    2 observations
    Dernière observation en 2010 Fiche espèce
  • Insectes
    -
    Heriades truncorum (Linnaeus, 1758)
    2 observations
    Dernière observation en 2017 Fiche espèce
  • Insectes
    -
    Osmia leaiana (Kirby, 1802)
    2 observations
    Dernière observation en 2017 Fiche espèce
  • Insectes
    -
    Ampedus quercicola (Buysson, 1887)
    2 observations
    Dernière observation en 2017 Fiche espèce
  • Insectes
    -
    Anostirus sulphuripennis (Germar, 1843)
    2 observations
    Dernière observation en 2015 Fiche espèce
  • Insectes
    Taupin chauve-souris
    Stenagostus rhombeus (Olivier, 1790)
    2 observations
    Dernière observation en 2015 Fiche espèce
  • Insectes
    -
    Pityokteines spinidens (Reitter, 1895)
    2 observations
    Dernière observation en 2017 Fiche espèce
  • Insectes
    -
    Scolytus rugulosus (P.W.J. Müller, 1818)
    2 observations
    Dernière observation en 2017 Fiche espèce
  • Insectes
    Ecaille marbrée (L')
    Callimorpha dominula (Linnaeus, 1758)
    2 observations
    Dernière observation en 2020 Fiche espèce
  • Insectes
    -
    Cryphalus saltuarius Weise, 1891
    2 observations
    Dernière observation en 2017 Fiche espèce
  • Insectes
    -
    Mycetochara humeralis (Fabricius, 1787)
    2 observations
    Dernière observation en 2017 Fiche espèce
  • Mousses
    -
    Kindbergia praelonga (Hedw.) Ochyra, 1982
    2 observations
    Dernière observation en 2015 Fiche espèce
  • Mousses
    -
    Syntrichia ruraliformis (Besch.) Mans., 1904
    2 observations
    Dernière observation en 2015 Fiche espèce
  • Insectes
    Oedipode turquoise
    Oedipoda caerulescens caerulescens (Linnaeus, 1758)
    2 observations
    Dernière observation en 2023 Fiche espèce
  • Insectes
    Criquet des chaumes
    Dociostaurus genei (Ocskay, 1832)
    2 observations
    Dernière observation en 2017 Fiche espèce
  • Angiospermes
    Fusain d'Europe
    Euonymus europaeus L., 1753
    2 observations
    Dernière observation en 2019 Fiche espèce
  • Lichens
    -
    Scoliciosporum umbrinum var. corticolum (Anzi) Clauzade & Cl.Roux, 1982
    2 observations
    Dernière observation en 2016 Fiche espèce
  • Lichens
    -
    Coenogonium pineti (Ach.) Lücking & Lumbsch, 2004
    2 observations
    Dernière observation en 2016 Fiche espèce
  • Reptiles
    Lézard catalan (Le)
    Podarcis liolepis liolepis (Boulenger, 1905)
    2 observations
    Dernière observation en 1998 Fiche espèce
  • Angiospermes
    Hélictochloa des prés
    Helictochloa pratensis (L.) Romero Zarco, 2011
    2 observations
    Dernière observation en 2025 Fiche espèce
  • Angiospermes
    Schédonore roseau
    Schedonorus arundinaceus (Schreb.) Dumort., 1824
    2 observations
    Dernière observation en 2019 Fiche espèce
  • Mousses
    -
    Ptychostomum pseudotriquetrum (Hedw.) J.R.Spence & H.P.Ramsay ex Holyoak & N.Pedersen, 2007
    2 observations
    Dernière observation en 2015 Fiche espèce
  • Mousses
    -
    Polytrichum commune Hedw., 1801 var. commune
    2 observations
    Dernière observation en 2015 Fiche espèce
  • Angiospermes
    Primevère vraie
    Primula veris L., 1753 var. veris
    2 observations
    Dernière observation en 2025 Fiche espèce
  • Oiseaux
    Fauvette passerinette
    Curruca cantillans (Pallas, 1764)
    2 observations
    Dernière observation en 2015 Fiche espèce
  • Mousses
    -
    Lewinskya rupestris (Schleich. ex Schwägr.) F.Lara, Garilleti & Goffinet, 2016
    2 observations
    Dernière observation en 2016 Fiche espèce
  • Angiospermes
    Inule conyze
    Inula conyzae (Greiss.) DC., 1836
    2 observations
    Dernière observation en 2019 Fiche espèce
  • Lichens
    -
    Scytinium lichenoides (L.) Otálora, P.M.Jørg. & Wedin, 2013
    2 observations
    Dernière observation en 2016 Fiche espèce
  • Mousses
    -
    Hedwigia emodica Hampe ex Müll.Hal., 1878
    2 observations
    Dernière observation en 2016 Fiche espèce
  • Mousses
    -
    Arctoa starkei (F.Weber & D.Mohr) Loeske, 1910
    2 observations
    Dernière observation en 2021 Fiche espèce
  • Angiospermes
    Brunelle à grandes fleurs
    Prunella grandiflora (L.) Turra, 1764
    2 observations
    Dernière observation en 2025 Fiche espèce
  • Lichens
    -
    Glaucomaria leptyrodes (G.B.F.Nilsson) S.Y.Kondr., Lőkös & Farkas, 2019
    2 observations
    Dernière observation en 2016 Fiche espèce
  • Lichens
    -
    Glaucomaria subcarpinea (Szatala) S.Y.Kondr., Lőkös & Farkas, 2019
    2 observations
    Dernière observation en 2016 Fiche espèce
  • Angiospermes
    Jonc trifide
    Oreojuncus trifidus (L.) Záv.Drábk. & Kirschner, 2013
    2 observations
    Dernière observation en 2018 Fiche espèce
  • Amphibiens
    Crapaud commun (Le)
    Bufo bufo (Linnaeus, 1758)
    1 observation
    Dernière observation en 1996 Fiche espèce
  • Arachnides
    -
    Xerolycosa nemoralis (Westring, 1861)
    1 observation
    Dernière observation en 1992 Fiche espèce
  • Arachnides
    -
    Zelotes subterraneus (C.L. Koch, 1833)
    1 observation
    Dernière observation en 1992 Fiche espèce
  • Arachnides
    Théridion ovoïde
    Enoplognatha ovata (Clerck, 1758)
    1 observation
    Dernière observation en 1992 Fiche espèce
  • Arachnides
    -
    Labulla thoracica (Wider, 1834)
    1 observation
    Dernière observation en 1992 Fiche espèce
  • Arachnides
    Épeires concombres
    Araniella cucurbitina (Clerck, 1758)
    1 observation
    Dernière observation en 1992 Fiche espèce
  • Arachnides
    Épeire conique
    Cyclosa conica (Pallas, 1772)
    1 observation
    Dernière observation en 1992 Fiche espèce
  • Arachnides
    Misumène variable
    Misumena vatia (Clerck, 1758)
    1 observation
    Dernière observation en 1992 Fiche espèce
  • Arachnides
    Thomise tricolore
    Diaea dorsata (Fabricius, 1777)
    1 observation
    Dernière observation en 1992 Fiche espèce
  • Arachnides
    -
    Xysticus audax (Schrank, 1803)
    1 observation
    Dernière observation en 1992 Fiche espèce
  • Arachnides
    -
    Xysticus gallicus Simon, 1875
    1 observation
    Dernière observation en 1992 Fiche espèce
  • Arachnides
    -
    Xysticus luctuosus (Blackwall, 1836)
    1 observation
    Dernière observation en 1992 Fiche espèce
  • Arachnides
    -
    Philodromus aureolus (Clerck, 1758)
    1 observation
    Dernière observation en 1992 Fiche espèce
  • Arachnides
    Philodrome tigré
    Philodromus margaritatus (Clerck, 1758)
    1 observation
    Dernière observation en 1992 Fiche espèce
  • Arachnides
    Philodrome oblong
    Tibellus oblongus (Walckenaer, 1802)
    1 observation
    Dernière observation en 1992 Fiche espèce
  • Arachnides
    Micrommate émeraude
    Micrommata virescens (Clerck, 1758)
    1 observation
    Dernière observation en 1992 Fiche espèce
  • Arachnides
    -
    Clubiona caerulescens L. Koch, 1867
    1 observation
    Dernière observation en 1992 Fiche espèce
  • Arachnides
    -
    Coelotes atropos (Walckenaer, 1830)
    1 observation
    Dernière observation en 1992 Fiche espèce
  • Arachnides
    Pisaure admirable
    Pisaura mirabilis (Clerck, 1758)
    1 observation
    Dernière observation en 2024 Fiche espèce
  • Arachnides
    -
    Pardosa lugubris (Walckenaer, 1802)
    1 observation
    Dernière observation en 1992 Fiche espèce
  • Oiseaux
    Grand Cormoran
    Phalacrocorax carbo (Linnaeus, 1758)
    1 observation
    Dernière observation en 1998 Fiche espèce
  • Oiseaux
    Aigle botté
    Hieraaetus pennatus (Gmelin, 1788)
    1 observation
    Dernière observation en 2024 Fiche espèce
  • Oiseaux
    Faucon pèlerin
    Falco peregrinus Tunstall, 1771
    1 observation
    Dernière observation en 2015 Fiche espèce
  • Oiseaux
    Perdrix grise
    Perdix perdix (Linnaeus, 1758)
    1 observation
    Dernière observation en 1998 Fiche espèce
  • Oiseaux
    Caille des blés
    Coturnix coturnix (Linnaeus, 1758)
    1 observation
    Dernière observation en 2022 Fiche espèce
  • Oiseaux
    Tourterelle turque
    Streptopelia decaocto (Frivaldszky, 1838)
    1 observation
    Dernière observation en 2025 Fiche espèce
  • Oiseaux
    Engoulevent d'Europe
    Caprimulgus europaeus Linnaeus, 1758
    1 observation
    Dernière observation en 2025 Fiche espèce
  • Oiseaux
    Rollier d'Europe
    Coracias garrulus Linnaeus, 1758
    1 observation
    Dernière observation en 2025 Fiche espèce
  • Mousses
    -
    Fissidens bryoides Hedw., 1801
    1 observation
    Dernière observation en 2015 Fiche espèce
  • Mousses
    -
    Fissidens dubius P.Beauv., 1805
    1 observation
    Dernière observation en 2011 Fiche espèce
  • Oiseaux
    Accenteur alpin
    Prunella collaris (Scopoli, 1769)
    1 observation
    Dernière observation en 2015 Fiche espèce
  • Oiseaux
    Rougequeue noir
    Phoenicurus ochruros (S.G. Gmelin, 1774)
    1 observation
    Dernière observation en 2025 Fiche espèce
  • Oiseaux
    Grive litorne
    Turdus pilaris Linnaeus, 1758
    1 observation
    Dernière observation en 2017 Fiche espèce
  • Oiseaux
    Pouillot fitis
    Phylloscopus trochilus (Linnaeus, 1758)
    1 observation
    Dernière observation en 1978 Fiche espèce
  • Oiseaux
    Gobemouche noir
    Ficedula hypoleuca (Pallas, 1764)
    1 observation
    Dernière observation en 1978 Fiche espèce
  • Mousses
    -
    Fissidens taxifolius Hedw., 1801
    1 observation
    Dernière observation en 2017 Fiche espèce
  • Oiseaux
    Pie bavarde
    Pica pica (Linnaeus, 1758)
    1 observation
    Dernière observation en 2017 Fiche espèce
  • Oiseaux
    Étourneau sansonnet
    Sturnus vulgaris Linnaeus, 1758
    1 observation
    Dernière observation en 2015 Fiche espèce
  • Oiseaux
    Moineau domestique
    Passer domesticus (Linnaeus, 1758)
    1 observation
    Dernière observation en 2025 Fiche espèce
  • Oiseaux
    Chardonneret élégant
    Carduelis carduelis (Linnaeus, 1758)
    1 observation
    Dernière observation en 2025 Fiche espèce
  • Oiseaux
    Bruant des neiges
    Plectrophenax nivalis (Linnaeus, 1758)
    1 observation
    Dernière observation en 2020 Fiche espèce
  • Mousses
    -
    Dicranum bonjeanii De Not., 1837
    1 observation
    Dernière observation en 2014 Fiche espèce
  • Mousses
    -
    Ceratodon purpureus (Hedw.) Brid., 1826
    1 observation
    Dernière observation en 2015 Fiche espèce
  • Mousses
    -
    Pleuridium acuminatum Lindb., 1863
    1 observation
    Dernière observation en 2015 Fiche espèce
  • Mousses
    -
    Encalypta ciliata Hedw., 1801
    1 observation
    Dernière observation en 2014 Fiche espèce
  • Mousses
    -
    Encalypta streptocarpa Hedw., 1801
    1 observation
    Dernière observation en 2013 Fiche espèce
  • Mousses
    -
    Encalypta vulgaris Hedw., 1801
    1 observation
    Dernière observation en 2021 Fiche espèce
  • Mousses
    -
    Pohlia nutans (Hedw.) Lindb., 1879
    1 observation
    Dernière observation en 2013 Fiche espèce
  • Mousses
    -
    Pohlia proligera (Kindb.) Lindb. ex Broth.
    1 observation
    Dernière observation en 2018 Fiche espèce
  • Mousses
    -
    Mnium stellare Hedw., 1801
    1 observation
    Dernière observation en 2015 Fiche espèce
  • Mousses
    -
    Philonotis seriata Mitt., 1859
    1 observation
    Dernière observation en 2018 Fiche espèce
  • Mousses
    -
    Philonotis tomentella Molendo, 1864
    1 observation
    Dernière observation en 2018 Fiche espèce
  • Mousses
    -
    Orthotrichum cupulatum Hoffm. ex Brid., 1801
    1 observation
    Dernière observation en 2013 Fiche espèce
  • Mousses
    -
    Orthotrichum pumilum Sw. ex anon.
    1 observation
    Dernière observation en 2016 Fiche espèce
  • Mousses
    -
    Orthotrichum stellatum Brid., 1826
    1 observation
    Dernière observation en 2015 Fiche espèce
  • Mousses
    -
    Ulota bruchii Hornsch. ex Brid., 1827
    1 observation
    Dernière observation en 2015 Fiche espèce
  • Mousses
    -
    Fontinalis antipyretica Hedw., 1801
    1 observation
    Dernière observation en 2014 Fiche espèce
  • Mousses
    -
    Homalia trichomanoides (Hedw.) Brid.
    1 observation
    Dernière observation en 2015 Fiche espèce
  • Mousses
    -
    Leptodon smithii (Dicks. ex Hedw.) F.Weber & D.Mohr, 1803
    1 observation
    Dernière observation en 2006 Fiche espèce
  • Mousses
    -
    Habrodon perpusillus (De Not.) Lindb., 1863
    1 observation
    Dernière observation en 2015 Fiche espèce
  • Mousses
    -
    Heterocladium heteropterum (Brid.) Schimp., 1852
    1 observation
    Dernière observation en 2015 Fiche espèce
  • Mousses
    -
    Tortula subulata Hedw., 1801
    1 observation
    Dernière observation en 2015 Fiche espèce
  • Mousses
    -
    Didymodon insulanus (De Not.) M.O.Hill, 1981
    1 observation
    Dernière observation en 2021 Fiche espèce
  • Mousses
    -
    Cinclidotus fontinaloides (Hedw.) P.Beauv., 1805
    1 observation
    Dernière observation en 2015 Fiche espèce
  • Mousses
    -
    Schistidium rivulare (Brid.) Podp., 1911
    1 observation
    Dernière observation en 2015 Fiche espèce
  • Mousses
    -
    Calliergonella cuspidata (Hedw.) Loeske, 1911
    1 observation
    Dernière observation en 2014 Fiche espèce
  • Mousses
    -
    Campylium stellatum (Hedw.) Lange & C.E.O.Jensen
    1 observation
    Dernière observation en 2014 Fiche espèce
  • Mousses
    -
    Grimmia decipiens (Schultz) Lindb., 1861
    1 observation
    Dernière observation en 2014 Fiche espèce
  • Mousses
    -
    Grimmia incurva Schwägr., 1811
    1 observation
    Dernière observation en 2018 Fiche espèce
  • Mousses
    -
    Grimmia laevigata (Brid.) Brid., 1826
    1 observation
    Dernière observation en 2023 Fiche espèce
  • Mousses
    -
    Racomitrium fasciculare (Hedw.) Brid., 1819
    1 observation
    Dernière observation en 2016 Fiche espèce
  • Mousses
    -
    Racomitrium sudeticum (Funck) Bruch & Schimp., 1845
    1 observation
    Dernière observation en 2015 Fiche espèce
  • Mousses
    -
    Cirriphyllum crassinervium (Taylor ex Wilson) Loeske & M.Fleisch., 1907
    1 observation
    Dernière observation en 2015 Fiche espèce
  • Mousses
    -
    Homalothecium lutescens (Hedw.) H.Rob., 1962
    1 observation
    Dernière observation en 2021 Fiche espèce
  • Mousses
    -
    Plagiothecium cavifolium (Brid.) Z.Iwats., 1970
    1 observation
    Dernière observation en 2015 Fiche espèce
  • Mousses
    -
    Hypnum cupressiforme Hedw., 1801
    1 observation
    Dernière observation en 2014 Fiche espèce
  • Mousses
    -
    Hypnum jutlandicum Holmen & E.Warncke, 1969
    1 observation
    Dernière observation en 2015 Fiche espèce
  • Mousses
    -
    Platygyrium repens (Brid.) Schimp., 1851
    1 observation
    Dernière observation en 2018 Fiche espèce
  • Hepatiques et Anthocerotes
    -
    Riccia sorocarpa Bisch., 1835
    1 observation
    Dernière observation en 2023 Fiche espèce
  • Hepatiques et Anthocerotes
    -
    Riccia warnstorfii Limpr. ex Warnst., 1899
    1 observation
    Dernière observation en 2023 Fiche espèce
  • Hepatiques et Anthocerotes
    -
    Metzgeria conjugata Lindb., 1875
    1 observation
    Dernière observation en 2013 Fiche espèce
  • Hepatiques et Anthocerotes
    -
    Riccardia palmata (Hedw.) Carruth., 1865
    1 observation
    Dernière observation en 2016 Fiche espèce
  • Hepatiques et Anthocerotes
    -
    Pellia epiphylla (L.) Corda, 1829
    1 observation
    Dernière observation en 2016 Fiche espèce
  • Hepatiques et Anthocerotes
    -
    Solenostoma gracillimum (Sm.) R.M.Schust., 1969
    1 observation
    Dernière observation en 2012 Fiche espèce
  • Hepatiques et Anthocerotes
    -
    Nardia scalaris Gray, 1821
    1 observation
    Dernière observation en 2018 Fiche espèce
  • Hepatiques et Anthocerotes
    -
    Chiloscyphus pallescens (Ehrh. ex Hoffm.) Dumort., 1831
    1 observation
    Dernière observation en 2014 Fiche espèce
  • Hepatiques et Anthocerotes
    -
    Scapania compacta (Roth) Dumort., 1835
    1 observation
    Dernière observation en 2022 Fiche espèce
  • Hepatiques et Anthocerotes
    -
    Scapania paludicola Loeske & Müll.Frib., 1915
    1 observation
    Dernière observation en 2014 Fiche espèce
  • Hepatiques et Anthocerotes
    -
    Scapania umbrosa (Schrad.) Dumort., 1835
    1 observation
    Dernière observation en 2014 Fiche espèce
  • Hepatiques et Anthocerotes
    -
    Cephaloziella rubella (Nees) Warnst., 1902
    1 observation
    Dernière observation en 2025 Fiche espèce
  • Hepatiques et Anthocerotes
    -
    Cephaloziella turneri (Hook.) Müll.Frib., 1913
    1 observation
    Dernière observation en 2017 Fiche espèce
  • Hepatiques et Anthocerotes
    -
    Cephalozia bicuspidata (L.) Dumort., 1835
    1 observation
    Dernière observation en 2006 Fiche espèce
  • Hepatiques et Anthocerotes
    -
    Bazzania flaccida (Dumort.) Grolle, 1972
    1 observation
    Dernière observation en 2016 Fiche espèce
  • Hepatiques et Anthocerotes
    -
    Calypogeia azurea Stotler & Crotz, 1983
    1 observation
    Dernière observation en 2006 Fiche espèce
  • Hepatiques et Anthocerotes
    -
    Calypogeia suecica (Arnell & J.Perss.) Müll.Frib., 1904
    1 observation
    Dernière observation en 2014 Fiche espèce
  • Hepatiques et Anthocerotes
    -
    Radula complanata (L.) Dumort., 1831
    1 observation
    Dernière observation en 2016 Fiche espèce
  • Mousses
    -
    Sphagnum angustifolium (C.E.O.Jensen ex Russow) C.E.O.Jensen
    1 observation
    Dernière observation en 2013 Fiche espèce
  • Mousses
    -
    Sphagnum centrale C.E.O.Jensen, 1896
    1 observation
    Dernière observation en 2014 Fiche espèce
  • Mousses
    -
    Sphagnum compactum Lam. & DC., 1805
    1 observation
    Dernière observation en 2013 Fiche espèce
  • Mousses
    -
    Sphagnum flexuosum Dozy & Molk., 1851
    1 observation
    Dernière observation en 2025 Fiche espèce
  • Mousses
    -
    Sphagnum fuscum (Schimp.) H.Klinggr., 1872
    1 observation
    Dernière observation en 2013 Fiche espèce
  • Mousses
    -
    Sphagnum tenellum (Brid.) Pers. ex Brid., 1818
    1 observation
    Dernière observation en 2013 Fiche espèce
  • Mousses
    -
    Andreaea alpestris (Thed.) Schimp., 1855
    1 observation
    Dernière observation en 2021 Fiche espèce
  • Insectes
    -
    Trichotichnus laevicollis (Duftschmid, 1812)
    1 observation
    Dernière observation en 2015 Fiche espèce
  • Insectes
    Cychre cristalisé
    Cychrus attenuatus (Fabricius, 1792)
    1 observation
    Dernière observation en 2008 Fiche espèce
  • Insectes
    -
    Trechus quadristriatus (Schrank, 1781)
    1 observation
    Dernière observation en 2015 Fiche espèce
  • Insectes
    -
    Carpophilus hemipterus (Linnaeus, 1758)
    1 observation
    Dernière observation en 2017 Fiche espèce
  • Insectes
    Amare bronzée
    Amara aenea (De Geer, 1774)
    1 observation
    Dernière observation en 2015 Fiche espèce
  • Insectes
    -
    Amara familiaris (Duftschmid, 1812)
    1 observation
    Dernière observation en 2017 Fiche espèce
  • Insectes
    -
    Bradycellus harpalinus (Audinet-Serville, 1821)
    1 observation
    Dernière observation en 2016 Fiche espèce
  • Insectes
    -
    Bradycellus verbasci (Duftschmid, 1812)
    1 observation
    Dernière observation en 2017 Fiche espèce
  • Insectes
    Gyrin
    Gyrinus natator (Linnaeus, 1758)
    1 observation
    Dernière observation en 2016 Fiche espèce
  • Insectes
    Onthophage ovatus
    Onthophagus ovatus (Linnaeus, 1767)
    1 observation
    Dernière observation en 2015 Fiche espèce
  • Insectes
    -
    Onthophagus similis (Scriba, 1790)
    1 observation
    Dernière observation en 2017 Fiche espèce
  • Insectes
    Cétoine dorée (la)
    Cetonia aurata (Linnaeus, 1758)
    1 observation
    Dernière observation en 2016 Fiche espèce
  • Insectes
    Cétoine noire (la)
    Netocia morio (Fabricius, 1781)
    1 observation
    Dernière observation en 2016 Fiche espèce
  • Insectes
    -
    Poecilonota variolosa (Paykull, 1799)
    1 observation
    Dernière observation en 2015 Fiche espèce
  • Insectes
    Bupreste hongrois
    Anthaxia hungarica (Scopoli, 1772)
    1 observation
    Dernière observation en 2025 Fiche espèce
  • Insectes
    -
    Anthaxia sepulchralis (Fabricius, 1801)
    1 observation
    Dernière observation en 2015 Fiche espèce
  • Insectes
    Taupin noir à pattes fauves
    Cardiophorus rufipes (Goeze, 1777)
    1 observation
    Dernière observation en 2015 Fiche espèce
  • Insectes
    Taupin artiste
    Denticollis rubens Piller & Mitterpacher, 1783
    1 observation
    Dernière observation en 2009 Fiche espèce
  • Insectes
    Aiguille marbrée
    Agapanthia villosoviridescens (De Geer, 1775)
    1 observation
    Dernière observation en 2021 Fiche espèce
  • Insectes
    -
    Dryophilus pusillus (Gyllenhal, 1808)
    1 observation
    Dernière observation en 2017 Fiche espèce
  • Insectes
    -
    Conopalpus testaceus (Olivier, 1790)
    1 observation
    Dernière observation en 2015 Fiche espèce
  • Insectes
    Rhagie nez-de-clown
    Dinoptera collaris (Linnaeus, 1758)
    1 observation
    Dernière observation en 2017 Fiche espèce
  • Insectes
    -
    Cortodera femorata (Fabricius, 1787)
    1 observation
    Dernière observation en 2008 Fiche espèce
  • Insectes
    Lepture à poils durs
    Stenurella melanura (Linnaeus, 1758)
    1 observation
    Dernière observation en 2015 Fiche espèce
  • Insectes
    Lepture trapue
    Pachytodes cerambyciformis (Schrank, 1781)
    1 observation
    Dernière observation en 2010 Fiche espèce
  • Insectes
    -
    Tetropium castaneum (Linnaeus, 1758)
    1 observation
    Dernière observation en 2010 Fiche espèce
  • Insectes
    Calleux chauffagiste
    Phymatodes testaceus (Linnaeus, 1758)
    1 observation
    Dernière observation en 2009 Fiche espèce
  • Insectes
    -
    Clytus lama Mulsant, 1847
    1 observation
    Dernière observation en 2016 Fiche espèce
  • Insectes
    Grand crache-sang
    Timarcha tenebricosa (Fabricius, 1775)
    1 observation
    Dernière observation en 2022 Fiche espèce
  • Insectes
    -
    Hylastinus obscurus (Marsham, 1802)
    1 observation
    Dernière observation en 2010 Fiche espèce
  • Insectes
    -
    Hylastes angustatus (Herbst, 1793)
    1 observation
    Dernière observation en 2016 Fiche espèce
  • Insectes
    -
    Orthotomicus erosus (Wollaston, 1857)
    1 observation
    Dernière observation en 2016 Fiche espèce
  • Insectes
    -
    Dasysyrphus tricinctus (Fallén, 1817)
    1 observation
    Dernière observation en 2015 Fiche espèce
  • Insectes
    Syrphe du groseillier
    Syrphus ribesii (Linnaeus, 1758)
    1 observation
    Dernière observation en 2017 Fiche espèce
  • Insectes
    -
    Chrysotoxum intermedium Meigen, 1822
    1 observation
    Dernière observation en 2015 Fiche espèce
  • Insectes
    -
    Melanostoma mellinum (Linnaeus, 1758)
    1 observation
    Dernière observation en 2016 Fiche espèce
  • Insectes
    -
    Platycheirus manicatus (Meigen, 1822)
    1 observation
    Dernière observation en 2020 Fiche espèce
  • Insectes
    -
    Xylota tarda Meigen, 1822
    1 observation
    Dernière observation en 2016 Fiche espèce
  • Insectes
    -
    Eristalis horticola (De Geer, 1776)
    1 observation
    Dernière observation en 2015 Fiche espèce
  • Insectes
    -
    Merodon aeneus Meigen, 1822
    1 observation
    Dernière observation en 2020 Fiche espèce
  • Insectes
    Mouche des narcisses
    Merodon equestris (Fabricius, 1794)
    1 observation
    Dernière observation en 2020 Fiche espèce
  • Insectes
    -
    Xanthandrus comtus (Harris, 1780)
    1 observation
    Dernière observation en 2017 Fiche espèce
  • Insectes
    -
    Brachyopa pilosa Collin, 1939
    1 observation
    Dernière observation en 2015 Fiche espèce
  • Insectes
    -
    Ferdinandea cuprea (Scopoli, 1763)
    1 observation
    Dernière observation en 2017 Fiche espèce
  • Insectes
    -
    Sericomyia silentis (Harris, 1778)
    1 observation
    Dernière observation en 2015 Fiche espèce
  • Autres
    Clitocybe nébuleux
    Clitocybe nebularis (Batsch) P.Kumm., 1871
    1 observation
    Dernière observation en 2020 Fiche espèce
  • Autres
    Strophaire vert-de-gris
    Stropharia aeruginosa (Curtis) Quél., 1872
    1 observation
    Dernière observation en 2019 Fiche espèce
  • Autres
    Pleurote du chêne
    Pleurotus dryinus (Pers.) P.Kumm., 1871
    1 observation
    Dernière observation en 2022 Fiche espèce
  • Autres
    Hypholome en touffes
    Hypholoma fasciculare (Huds.) P.Kumm., 1871
    1 observation
    Dernière observation en 2018 Fiche espèce
  • Autres
    Satyre puant
    Phallus impudicus L., 1753
    1 observation
    Dernière observation en 2024 Fiche espèce
  • Autres
    Calocère visqueuse
    Calocera viscosa (Pers.) Fr., 1821
    1 observation
    Dernière observation en 2019 Fiche espèce
  • Autres
    Lenzite du chêne
    Daedalea quercina (L.) Pers., 1801
    1 observation
    Dernière observation en 2018 Fiche espèce
  • Autres
    Exidie glanduleuse
    Exidia glandulosa (Bull.) Fr., 1822
    1 observation
    Dernière observation en 2018 Fiche espèce
  • Autres
    Ganoderme plat
    Ganoderma applanatum (Pers.) Pat., 1887
    1 observation
    Dernière observation en 2022 Fiche espèce
  • Autres
    Ganoderme luisant
    Ganoderma lucidum (Curtis) P.Karst., 1881
    1 observation
    Dernière observation en 2020 Fiche espèce
  • Autres
    Lenzite des clôtures
    Gloeophyllum sepiarium (Wulfen) P.Karst., 1882
    1 observation
    Dernière observation en 2021 Fiche espèce
  • Autres
    Polypore du hêtre
    Inonotus nodulosus (Fr.) P.Karst., 1882
    1 observation
    Dernière observation en 2021 Fiche espèce
  • Autres
    Polypore soufré
    Laetiporus sulphureus (Bull.) Murrill, 1920
    1 observation
    Dernière observation en 2016 Fiche espèce
  • Autres
    Bulgarie salissante
    Bulgaria inquinans (Pers.) Fr., 1822
    1 observation
    Dernière observation en 2016 Fiche espèce
  • Autres
    -
    Cudonia confusa Bres., 1892
    1 observation
    Dernière observation en 2021 Fiche espèce
  • Insectes
    Corée marginée
    Coreus marginatus (Linnaeus, 1758)
    1 observation
    Dernière observation en 2021 Fiche espèce
  • Insectes
    Fourmi des prés
    Formica pratensis Retzius, 1783
    1 observation
    Dernière observation en 2025 Fiche espèce
  • Insectes
    Fourmi rousse des bois
    Formica rufa Linnaeus, 1761
    1 observation
    Dernière observation en 2017 Fiche espèce
  • Insectes
    -
    Formica sanguinea Latreille, 1798
    1 observation
    Dernière observation en 2021 Fiche espèce
  • Insectes
    Bourdon des forêts
    Bombus lucorum (Linnaeus, 1761)
    1 observation
    Dernière observation en 2017 Fiche espèce
  • Insectes
    Abeille charpentière
    Xylocopa violacea (Linnaeus, 1758)
    1 observation
    Dernière observation en 2025 Fiche espèce
  • Insectes
    Hespérie de l'Alcée (L')
    Carcharodus alceae (Esper, 1780)
    1 observation
    Dernière observation en 2024 Fiche espèce
  • Insectes
    Sylvandre (Le)
    Hipparchia fagi (Scopoli, 1763)
    1 observation
    Dernière observation en 2017 Fiche espèce
  • Insectes
    Moiré blanc-fascié (Le)
    Erebia ligea (Linnaeus, 1758)
    1 observation
    Dernière observation en 2020 Fiche espèce
  • Insectes
    Moiré des Luzules (Le)
    Erebia oeme (Hübner, 1804)
    1 observation
    Dernière observation en 2017 Fiche espèce
  • Insectes
    Némusien (Le)
    Lasiommata maera (Linnaeus, 1758)
    1 observation
    Dernière observation en 2020 Fiche espèce
  • Insectes
    Fadet commun (Le)
    Coenonympha pamphilus (Linnaeus, 1758)
    1 observation
    Dernière observation en 2020 Fiche espèce
  • Insectes
    Vulcain (Le)
    Vanessa atalanta (Linnaeus, 1758)
    1 observation
    Dernière observation en 2020 Fiche espèce
  • Insectes
    Gamma (Le)
    Polygonia c-album (Linnaeus, 1758)
    1 observation
    Dernière observation en 2020 Fiche espèce
  • Insectes
    Moyen Nacré (Le)
    Fabriciana adippe (Denis & Schiffermüller, 1775)
    1 observation
    Dernière observation en 2020 Fiche espèce
  • Insectes
    Azuré bleu-céleste (L')
    Lysandra bellargus (Rottemburg, 1775)
    1 observation
    Dernière observation en 2020 Fiche espèce
  • Insectes
    Azuré de la Bugrane (L')
    Polyommatus icarus (Rottemburg, 1775)
    1 observation
    Dernière observation en 2024 Fiche espèce
  • Insectes
    Thécla de la Ronce (La)
    Callophrys rubi (Linnaeus, 1758)
    1 observation
    Dernière observation en 2021 Fiche espèce
  • Lichens
    -
    Porina aenea (Körb.) Zahlbr., 1922
    1 observation
    Dernière observation en 2016 Fiche espèce
  • Lichens
    -
    Chaenotheca trichialis (Ach.) Hellb., 1870
    1 observation
    Dernière observation en 2016 Fiche espèce
  • Lichens
    -
    Chaenotheca stemonea (Ach.) Müll.Arg., 1862
    1 observation
    Dernière observation en 2016 Fiche espèce
  • Lichens
    -
    Sphaerophorus fragilis (L.) Pers., 1794
    1 observation
    Dernière observation en 2020 Fiche espèce
  • Lichens
    -
    Opegrapha niveoatra (Borrer) J.R.Laundon, 1963
    1 observation
    Dernière observation en 2016 Fiche espèce
  • Lichens
    -
    Diploschistes scruposus (Schreb.) Norman, 1852 subsp. scruposus
    1 observation
    Dernière observation en 2016 Fiche espèce
  • Lichens
    -
    Cladonia furcata (Huds.) Schrad., 1794
    1 observation
    Dernière observation en 2016 Fiche espèce
  • Lichens
    -
    Bryoria fuscescens (Gyeln.) Brodo & D.Hawksw., 1977
    1 observation
    Dernière observation en 2016 Fiche espèce
  • Lichens
    -
    Polychidium muscicola (Sw.) Gray, 1821
    1 observation
    Dernière observation en 2016 Fiche espèce
  • Lichens
    -
    Collema furfuraceum (Schaer.) Du Rietz, 1929
    1 observation
    Dernière observation en 2016 Fiche espèce
  • Lichens
    -
    Peltigera degenii Gyeln., 1927
    1 observation
    Dernière observation en 2016 Fiche espèce
  • Lichens
    -
    Peltigera hymenina (Ach.) Delise, 1830
    1 observation
    Dernière observation en 2016 Fiche espèce
  • Lichens
    -
    Peltigera rufescens (Weiss) Humb., 1793
    1 observation
    Dernière observation en 2016 Fiche espèce
  • Lichens
    -
    Nephroma bellum (Spreng.) Tuck., 1841
    1 observation
    Dernière observation en 2016 Fiche espèce
  • Lichens
    -
    Biatora vernalis (L.) Fr., 1822
    1 observation
    Dernière observation en 2016 Fiche espèce
  • Lichens
    -
    Catillaria nigroclavata (Nyl.) J.Steiner, 1898
    1 observation
    Dernière observation en 2016 Fiche espèce
  • Lichens
    -
    Bacidia rosella (Pers.) De Not., 1846
    1 observation
    Dernière observation en 2016 Fiche espèce
  • Lichens
    -
    Baeomyces rufus (Huds.) Rebent., 1804
    1 observation
    Dernière observation en 2016 Fiche espèce
  • Lichens
    -
    Cladonia ciliata var. tenuis (Flörke) Ahti, 1977
    1 observation
    Dernière observation en 2016 Fiche espèce
  • Lichens
    -
    Cladonia arbuscula (Wallr.) Flot., 1839
    1 observation
    Dernière observation en 2016 Fiche espèce
  • Lichens
    -
    Cladonia portentosa (Dufour) Coem., 1865
    1 observation
    Dernière observation en 2016 Fiche espèce
  • Lichens
    -
    Cladonia macilenta Hoffm., 1796
    1 observation
    Dernière observation en 2016 Fiche espèce
  • Lichens
    -
    Cladonia squamosa (Scop.) Hoffm., 1796 var. squamosa
    1 observation
    Dernière observation en 2016 Fiche espèce
  • Lichens
    -
    Cladonia chlorophaea (Flörke ex Sommerf.) Spreng., 1827
    1 observation
    Dernière observation en 2016 Fiche espèce
  • Lichens
    -
    Cladonia foliacea (Huds.) Willd., 1787
    1 observation
    Dernière observation en 2016 Fiche espèce
  • Lichens
    -
    Umbilicaria polyphylla (L.) Baumg., 1790
    1 observation
    Dernière observation en 2016 Fiche espèce
  • Lichens
    -
    Strangospora pinicola (A.Massal.) Körb., 1860
    1 observation
    Dernière observation en 2016 Fiche espèce
  • Lichens
    -
    Pertusaria flavida (DC.) J.R.Laundon, 1963
    1 observation
    Dernière observation en 2016 Fiche espèce
  • Lichens
    -
    Ochrolechia turneri (Sm.) Zopf, 1896
    1 observation
    Dernière observation en 2016 Fiche espèce
  • Lichens
    -
    Ochrolechia subviridis (Høeg) Erichsen, 1930
    1 observation
    Dernière observation en 2016 Fiche espèce
  • Lichens
    -
    Lecanora pulicaris (Pers.) Ach., 1814
    1 observation
    Dernière observation en 2016 Fiche espèce
  • Lichens
    -
    Lecania koerberiana J.Lahm, 1859
    1 observation
    Dernière observation en 2016 Fiche espèce
  • Lichens
    -
    Candelariella reflexa (Nyl.) Lettau, 1912
    1 observation
    Dernière observation en 2016 Fiche espèce
  • Lichens
    -
    Ramalina fraxinea (L.) Ach., 1810
    1 observation
    Dernière observation en 2016 Fiche espèce
  • Lichens
    -
    Chrysothrix candelaris (L.) J.R.Laundon, 1981
    1 observation
    Dernière observation en 2016 Fiche espèce
  • Lichens
    -
    Rinodina exigua (Ach.) Gray, 1821
    1 observation
    Dernière observation en 2016 Fiche espèce
  • Lichens
    -
    Physcia stellaris (L.) Nyl., 1857 subsp. stellaris
    1 observation
    Dernière observation en 2016 Fiche espèce
  • Lichens
    -
    Physcia leptalea (Ach.) DC., 1805
    1 observation
    Dernière observation en 2016 Fiche espèce
  • Lichens
    -
    Physcia tenella (Scop.) DC., 1805
    1 observation
    Dernière observation en 2016 Fiche espèce
  • Lichens
    -
    Physcia adscendens H.Olivier, 1882
    1 observation
    Dernière observation en 2016 Fiche espèce
  • Lichens
    -
    Phaeophyscia endophoenicea (Harm.) Moberg, 1977
    1 observation
    Dernière observation en 2016 Fiche espèce
  • Lichens
    -
    Physconia venusta (Ach.) Poelt, 1966
    1 observation
    Dernière observation en 2022 Fiche espèce
  • Mammiferes
    Hérisson d'Europe
    Erinaceus europaeus Linnaeus, 1758
    1 observation
    Dernière observation en 2021 Fiche espèce
  • Mammiferes
    Musaraigne carrelet
    Sorex araneus Linnaeus, 1758
    1 observation
    Dernière observation en 2016 Fiche espèce
  • Mammiferes
    Grand rhinolophe
    Rhinolophus ferrumequinum (Schreber, 1774)
    1 observation
    Dernière observation en 2016 Fiche espèce
  • Mammiferes
    Noctule de Leisler
    Nyctalus leisleri (Kuhl, 1817)
    1 observation
    Dernière observation en 1988 Fiche espèce
  • Mammiferes
    Renard roux
    Vulpes vulpes vulpes (Linnaeus, 1758)
    1 observation
    Dernière observation en 1999 Fiche espèce
  • Mammiferes
    Martre des pins
    Martes martes (Linnaeus, 1758)
    1 observation
    Dernière observation en 2025 Fiche espèce
  • Mammiferes
    Campagnol agreste
    Microtus agrestis (Linnaeus, 1761)
    1 observation
    Dernière observation en 2019 Fiche espèce
  • Gasteropodes
    Grande loche
    Arion ater rufus (Linnaeus, 1758)
    1 observation
    Dernière observation en 2021 Fiche espèce
  • Insectes
    Agrion jouvencelle
    Coenagrion puella (Linnaeus, 1758)
    1 observation
    Dernière observation en 2025 Fiche espèce
  • Insectes
    Leste des bois
    Lestes dryas Kirby, 1890
    1 observation
    Dernière observation en 2024 Fiche espèce
  • Insectes
    Gomphe à forceps (Le)
    Onychogomphus forcipatus (Linnaeus, 1758)
    1 observation
    Dernière observation en 2025 Fiche espèce
  • Insectes
    Gomphe à crochets (Le)
    Onychogomphus uncatus (Charpentier, 1840)
    1 observation
    Dernière observation en 1998 Fiche espèce
  • Insectes
    Cordulie arctique (La)
    Somatochlora arctica (Zetterstedt, 1840)
    1 observation
    Dernière observation en 2024 Fiche espèce
  • Insectes
    Aeschne des joncs
    Aeshna juncea (Linnaeus, 1758)
    1 observation
    Dernière observation en 2024 Fiche espèce
  • Insectes
    Mante religieuse
    Mantis religiosa (Linnaeus, 1758)
    1 observation
    Dernière observation en 2020 Fiche espèce
  • Insectes
    Grillon des bois
    Nemobius sylvestris (Bosc, 1792)
    1 observation
    Dernière observation en 2020 Fiche espèce
  • Insectes
    Criquet des clairières
    Chrysochraon dispar (Germar, 1834)
    1 observation
    Dernière observation en 2025 Fiche espèce
  • Insectes
    OEdipode rouge
    Oedipoda germanica (Latreille, 1804)
    1 observation
    Dernière observation en 2023 Fiche espèce
  • Insectes
    Caloptène italien
    Calliptamus italicus (Linnaeus, 1758)
    1 observation
    Dernière observation en 2017 Fiche espèce
  • Insectes
    Caloptène ochracé
    Calliptamus barbarus (O.G. Costa, 1836)
    1 observation
    Dernière observation en 2017 Fiche espèce
  • Insectes
    Caloptène ochracé
    Calliptamus barbarus barbarus (O.G. Costa, 1836)
    1 observation
    Dernière observation en 2015 Fiche espèce
  • Poissons
    Truite de mer
    Salmo trutta Linnaeus, 1758
    1 observation
    Dernière observation en 2021 Fiche espèce
  • Poissons
    Truite de mer
    Salmo trutta Linnaeus, 1758
    1 observation
    Dernière observation en 2021 Fiche espèce
  • Reptiles
    Lézard des souches
    Lacerta agilis Linnaeus, 1758
    1 observation
    Dernière observation en 2024 Fiche espèce
  • Reptiles
    Coronelle lisse (La)
    Coronella austriaca Laurenti, 1768
    1 observation
    Dernière observation en 1998 Fiche espèce
  • Reptiles
    Couleuvre de Montpellier (La)
    Malpolon monspessulanus (Hermann, 1804)
    1 observation
    Dernière observation en 2019 Fiche espèce
  • Angiospermes
    Érable plane
    Acer platanoides L., 1753
    1 observation
    Dernière observation en 2019 Fiche espèce
  • Angiospermes
    Marronnier d'Inde
    Aesculus hippocastanum L., 1753
    1 observation
    Dernière observation en 2019 Fiche espèce
  • Angiospermes
    Petite cigüe
    Aethusa cynapium L., 1753
    1 observation
    Dernière observation en 2019 Fiche espèce
  • Angiospermes
    Aigremoine eupatoire
    Agrimonia eupatoria L., 1753
    1 observation
    Dernière observation en 2017 Fiche espèce
  • Angiospermes
    Agrostide des rochers
    Agrostis rupestris All., 1785
    1 observation
    Dernière observation en 2020 Fiche espèce
  • Angiospermes
    Bugle pyramidale
    Ajuga pyramidalis L., 1753
    1 observation
    Dernière observation en 2024 Fiche espèce
  • Angiospermes
    Alchémille à dents conniventes
    Alchemilla connivens Buser, 1894
    1 observation
    Dernière observation en 1977 Fiche espèce
  • Angiospermes
    Alchémille en éventail
    Alchemilla flabellata Buser, 1891
    1 observation
    Dernière observation en 2017 Fiche espèce
  • Angiospermes
    Alchémille glabre
    Alchemilla glabra Neygenf., 1821
    1 observation
    Dernière observation en 2017 Fiche espèce
  • Angiospermes
    Alchémille glauque
    Alchemilla glaucescens Wallr., 1840
    1 observation
    Dernière observation en 2018 Fiche espèce
  • Angiospermes
    Amarante hybride
    Amaranthus hybridus L., 1753
    1 observation
    Dernière observation en 2019 Fiche espèce
  • Angiospermes
    Amarante réfléchie
    Amaranthus retroflexus L., 1753
    1 observation
    Dernière observation en 2019 Fiche espèce
  • Angiospermes
    Anacamptide bouffon
    Anacamptis morio (L.) R.M.Bateman, Pridgeon & M.W.Chase, 1997
    1 observation
    Dernière observation en 2025 Fiche espèce
  • Angiospermes
    Anémone sylvestre
    Anemone sylvestris L., 1753
    1 observation
    Dernière observation en 2020 Fiche espèce
  • Angiospermes
    Angélique sylvestre
    Angelica sylvestris L., 1753
    1 observation
    Dernière observation en 2003 Fiche espèce
  • Angiospermes
    Anthémide des champs
    Anthemis arvensis L., 1753
    1 observation
    Dernière observation en 2018 Fiche espèce
  • Angiospermes
    Anthyllide vulnéraire
    Anthyllis vulneraria L., 1753
    1 observation
    Dernière observation en 1998 Fiche espèce
  • Angiospermes
    Aphane australe
    Aphanes australis Rydb., 1908
    1 observation
    Dernière observation en 2014 Fiche espèce
  • Angiospermes
    Arabette poilue
    Arabis hirsuta (L.) Scop., 1772
    1 observation
    Dernière observation en 2019 Fiche espèce
  • Angiospermes
    Sabline à feuilles de serpolet
    Arenaria serpyllifolia L., 1753
    1 observation
    Dernière observation en 2019 Fiche espèce
  • Angiospermes
    Armoise absinthe
    Artemisia absinthium L., 1753
    1 observation
    Dernière observation en 2018 Fiche espèce
  • Angiospermes
    Asphodèle blanc
    Asphodelus albus Mill., 1768
    1 observation
    Dernière observation en 2022 Fiche espèce
  • Pteridophytes
    Doradille des ânes
    Asplenium onopteris L., 1753
    1 observation
    Dernière observation en 2018 Fiche espèce
  • Angiospermes
    Avoine pubescente
    Avenula pubescens (Huds.) Dumort., 1868
    1 observation
    Dernière observation en 2025 Fiche espèce
  • Angiospermes
    Barbarée printanière
    Barbarea verna (Mill.) Asch., 1864
    1 observation
    Dernière observation en 2019 Fiche espèce
  • Angiospermes
    Bothriochloa fausse canne à sucre
    Bothriochloa saccharoides (Sw.) Rydb., 1931
    1 observation
    Dernière observation en 2023 Fiche espèce
  • Angiospermes
    Buplèvre très élevé
    Bupleurum praealtum L., 1756
    1 observation
    Dernière observation en 2024 Fiche espèce
  • Angiospermes
    Campanule agglomérée
    Campanula glomerata L., 1753
    1 observation
    Dernière observation en 2018 Fiche espèce
  • Angiospermes
    Campanule agglomérée
    Campanula glomerata L., 1753
    1 observation
    Dernière observation en 2018 Fiche espèce
  • Angiospermes
    Campanule étalée
    Campanula patula L., 1753
    1 observation
    Dernière observation en 2024 Fiche espèce
  • Angiospermes
    Capselle bourse-à-pasteur
    Capsella bursa-pastoris (L.) Medik., 1792
    1 observation
    Dernière observation en 2019 Fiche espèce
  • Angiospermes
    Cardamine amère
    Cardamine amara L., 1753
    1 observation
    Dernière observation en 2023 Fiche espèce
  • Angiospermes
    Laîche écartée
    Carex divulsa Stokes, 1787
    1 observation
    Dernière observation en 2015 Fiche espèce
  • Angiospermes
    Laîche jaune
    Carex flava L., 1753
    1 observation
    Dernière observation en 2018 Fiche espèce
  • Angiospermes
    Laîche rostrée
    Carex rostrata Stokes, 1787
    1 observation
    Dernière observation en 2014 Fiche espèce
  • Gymnospermes
    Cèdre de l'Himalaya
    Cedrus deodara (Roxb. ex D.Don) G.Don, 1830
    1 observation
    Dernière observation en 2018 Fiche espèce
  • Angiospermes
    Centaurée pectinée
    Centaurea pectinata L., 1763
    1 observation
    Dernière observation en 2017 Fiche espèce
  • Angiospermes
    Érythrée petite-centaurée
    Centaurium erythraea Rafn, 1800
    1 observation
    Dernière observation en 2019 Fiche espèce
  • Angiospermes
    Céraiste aggloméré
    Cerastium glomeratum Thuill., 1799
    1 observation
    Dernière observation en 2019 Fiche espèce
  • Angiospermes
    Céraiste à cinq étami étamines
    Cerastium semidecandrum L., 1753
    1 observation
    Dernière observation en 2025 Fiche espèce
  • Angiospermes
    Cerfeuil hérissé
    Chaerophyllum hirsutum L., 1753
    1 observation
    Dernière observation en 2019 Fiche espèce
  • Angiospermes
    Chicorée sauvage
    Cichorium intybus L., 1753
    1 observation
    Dernière observation en 2020 Fiche espèce
  • Angiospermes
    Circée de Paris
    Circaea lutetiana L., 1753
    1 observation
    Dernière observation en 2019 Fiche espèce
  • Angiospermes
    Cirse des champs
    Cirsium arvense (L.) Scop., 1772
    1 observation
    Dernière observation en 2024 Fiche espèce
  • Angiospermes
    Ciste à feuilles de sauge
    Cistus salviifolius L., 1753
    1 observation
    Dernière observation en 2018 Fiche espèce
  • Angiospermes
    Ciste en ombelle
    Cistus umbellatus L., 1753
    1 observation
    Dernière observation en 2018 Fiche espèce
  • Angiospermes
    Clématite flammette
    Clematis flammula L., 1753
    1 observation
    Dernière observation en 2019 Fiche espèce
  • Angiospermes
    Comaret des marais
    Comarum palustre L., 1753
    1 observation
    Dernière observation en 2025 Fiche espèce
  • Angiospermes
    Muguet de mai
    Convallaria majalis L., 1753
    1 observation
    Dernière observation en 2002 Fiche espèce
  • Angiospermes
    Liseron des haies
    Convolvulus sepium L., 1753
    1 observation
    Dernière observation en 2019 Fiche espèce
  • Angiospermes
    Coronille naine
    Coronilla minima L., 1756
    1 observation
    Dernière observation en 1998 Fiche espèce
  • Angiospermes
    Crépide à feuilles de vergerette
    Crepis conyzifolia (Gouan) A.Kern., 1872
    1 observation
    Dernière observation en 2020 Fiche espèce
  • Angiospermes
    Crépide fétide
    Crepis foetida L., 1753
    1 observation
    Dernière observation en 2023 Fiche espèce
  • Angiospermes
    Crépide molle
    Crepis mollis (Jacq.) Asch., 1864
    1 observation
    Dernière observation en 2021 Fiche espèce
  • Pteridophytes
    Cryptogramme crépue
    Cryptogramma crispa (L.) R.Br. ex Hook., 1842
    1 observation
    Dernière observation en 2018 Fiche espèce
  • Angiospermes
    Bleuet des montagnes
    Cyanus montanus (L.) Hill, 1768
    1 observation
    Dernière observation en 2018 Fiche espèce
  • Angiospermes
    Bleuet des moissons
    Cyanus segetum Hill, 1762
    1 observation
    Dernière observation en 2018 Fiche espèce
  • Angiospermes
    Œillet de Séguier
    Dianthus seguieri Vill., 1779
    1 observation
    Dernière observation en 2014 Fiche espèce
  • Angiospermes
    Digitaire sanguine
    Digitaria sanguinalis (L.) Scop., 1771
    1 observation
    Dernière observation en 2019 Fiche espèce
  • Angiospermes
    Drave printanière
    Draba verna L., 1753
    1 observation
    Dernière observation en 2020 Fiche espèce
  • Pteridophytes
    Dryoptéride écailleuse
    Dryopteris affinis s. l.
    1 observation
    Dernière observation en 2019 Fiche espèce
  • Pteridophytes
    Dryoptéride d'Ardèche
    Dryopteris ardechensis Fraser-Jenk., 1981
    1 observation
    Dernière observation en 2017 Fiche espèce
  • Angiospermes
    Épilobe des collines
    Epilobium collinum C.C.Gmel., 1826
    1 observation
    Dernière observation en 2018 Fiche espèce
  • Angiospermes
    Érigéron annuel
    Erigeron annuus (L.) Desf., 1804
    1 observation
    Dernière observation en 2019 Fiche espèce
  • Angiospermes
    Érigéron de Sumatra
    Erigeron sumatrensis Retz., 1810
    1 observation
    Dernière observation en 2023 Fiche espèce
  • Angiospermes
    Roquette cultivée
    Eruca vesicaria (L.) Cav., 1802
    1 observation
    Dernière observation en 1970 Fiche espèce
  • Angiospermes
    Roquette cultivée
    Eruca vesicaria (L.) Cav., 1802
    1 observation
    Dernière observation en 1970 Fiche espèce
  • Angiospermes
    Euphorbe réveil matin
    Euphorbia helioscopia L., 1753
    1 observation
    Dernière observation en 2019 Fiche espèce
  • Angiospermes
    Euphorbe maculée
    Euphorbia maculata L., 1753
    1 observation
    Dernière observation en 2019 Fiche espèce
  • Angiospermes
    Fétuque filiforme
    Festuca filiformis Pourr., 1788
    1 observation
    Dernière observation en 2020 Fiche espèce
  • Angiospermes
    Fétuque ovine
    Festuca ovina L., 1753
    1 observation
    Dernière observation en 2018 Fiche espèce
  • Angiospermes
    Gaillet nain
    Galium pumilum Murray, 1770
    1 observation
    Dernière observation en 2025 Fiche espèce
  • Angiospermes
    Gaillet des forêts
    Galium sylvaticum L., 1762
    1 observation
    Dernière observation en 1970 Fiche espèce
  • Angiospermes
    Gaillet des fanges
    Galium uliginosum L., 1753
    1 observation
    Dernière observation en 2018 Fiche espèce
  • Angiospermes
    Gentiane croisette
    Gentiana cruciata L., 1753
    1 observation
    Dernière observation en 2017 Fiche espèce
  • Angiospermes
    Gentianelle des champs
    Gentianella campestris (L.) Börner, 1912
    1 observation
    Dernière observation en 2013 Fiche espèce
  • Angiospermes
    Géranium découpé
    Geranium dissectum L., 1755
    1 observation
    Dernière observation en 2018 Fiche espèce
  • Angiospermes
    Géranium des prés
    Geranium pratense L., 1753
    1 observation
    Dernière observation en 2024 Fiche espèce
  • Angiospermes
    Goodyère rampante
    Goodyera repens (L.) R.Br., 1813
    1 observation
    Dernière observation en 2015 Fiche espèce
  • Angiospermes
    Gymnadénie moucheron
    Gymnadenia conopsea (L.) R.Br., 1813
    1 observation
    Dernière observation en 2025 Fiche espèce
  • Pteridophytes
    Gymnocarpium de Robert
    Gymnocarpium robertianum (Hoffm.) Newman, 1851
    1 observation
    Dernière observation en 2021 Fiche espèce
  • Angiospermes
    Berce sphondyle
    Heracleum sphondylium L., 1753
    1 observation
    Dernière observation en 1970 Fiche espèce
  • Angiospermes
    Épervière en ombelle
    Hieracium umbellatum L., 1753
    1 observation
    Dernière observation en 2019 Fiche espèce
  • Angiospermes
    Hippocrépide faux baguenaudier
    Hippocrepis emerus (L.) Lassen, 1989
    1 observation
    Dernière observation en 1998 Fiche espèce
  • Angiospermes
    Orge sauvage
    Hordeum murinum L., 1753
    1 observation
    Dernière observation en 2019 Fiche espèce
  • Angiospermes
    Millepertuis des montagnes
    Hypericum montanum L., 1755
    1 observation
    Dernière observation en 1970 Fiche espèce
  • Angiospermes
    Millepertuis à quatre ailes
    Hypericum tetrapterum Fr., 1823
    1 observation
    Dernière observation en 2015 Fiche espèce
  • Angiospermes
    Jonc articulé des Alpes
    Juncus alpinoarticulatus Chaix, 1785
    1 observation
    Dernière observation en 2018 Fiche espèce
  • Angiospermes
    Jonc des crapauds
    Juncus bufonius L., 1753
    1 observation
    Dernière observation en 2018 Fiche espèce
  • Angiospermes
    Jonc en tête
    Juncus capitatus Weigel, 1772
    1 observation
    Dernière observation en 2018 Fiche espèce
  • Angiospermes
    Jonc comprimé
    Juncus compressus Jacq., 1762
    1 observation
    Dernière observation en 2019 Fiche espèce
  • Angiospermes
    Jonc ténu
    Juncus tenuis Willd., 1799
    1 observation
    Dernière observation en 2015 Fiche espèce
  • Angiospermes
    Koelérie du Valais
    Koeleria vallesiana (Honck.) Gaudin, 1808
    1 observation
    Dernière observation en 2019 Fiche espèce
  • Angiospermes
    Laitue scariole
    Lactuca serriola L., 1756
    1 observation
    Dernière observation en 2023 Fiche espèce
  • Angiospermes
    Lamier blanc
    Lamium album L., 1753
    1 observation
    Dernière observation en 2021 Fiche espèce
  • Angiospermes
    Lamier pourpre
    Lamium purpureum L., 1753
    1 observation
    Dernière observation en 2019 Fiche espèce
  • Angiospermes
    Gesse sphérique
    Lathyrus sphaericus Retz., 1783
    1 observation
    Dernière observation en 2025 Fiche espèce
  • Angiospermes
    Gesse sylvestre
    Lathyrus sylvestris L., 1753
    1 observation
    Dernière observation en 2015 Fiche espèce
  • Angiospermes
    Passerage champêtre
    Lepidium campestre (L.) W.T.Aiton, 1812
    1 observation
    Dernière observation en 2019 Fiche espèce
  • Angiospermes
    Passerage drave
    Lepidium draba L., 1753
    1 observation
    Dernière observation en 2019 Fiche espèce
  • Angiospermes
    Marguerite d'Irkutsk
    Leucanthemum ircutianum DC., 1838
    1 observation
    Dernière observation en 2025 Fiche espèce
  • Angiospermes
    Lunaire annuelle
    Lunaria annua L., 1753
    1 observation
    Dernière observation en 2019 Fiche espèce
  • Angiospermes
    Luzule ramassée
    Luzula congesta (Thuill.) Lej., 1811
    1 observation
    Dernière observation en 2014 Fiche espèce
  • Angiospermes
    Lysimaque commune
    Lysimachia vulgaris L., 1753
    1 observation
    Dernière observation en 2019 Fiche espèce
  • Angiospermes
    Maïanthème à deux feuilles
    Maianthemum bifolium (L.) F.W.Schmidt, 1794
    1 observation
    Dernière observation en 2020 Fiche espèce
  • Angiospermes
    Mauve sylvestre
    Malva sylvestris L., 1753
    1 observation
    Dernière observation en 2019 Fiche espèce
  • Angiospermes
    Luzerne lupuline
    Medicago lupulina L., 1753
    1 observation
    Dernière observation en 2019 Fiche espèce
  • Angiospermes
    Mélitte à feuilles de mélisse
    Melittis melissophyllum L., 1753
    1 observation
    Dernière observation en 2019 Fiche espèce
  • Angiospermes
    Ményanthe trifolié
    Menyanthes trifoliata L., 1753
    1 observation
    Dernière observation en 2025 Fiche espèce
  • Angiospermes
    Petit-tabouret perfolié
    Microthlaspi perfoliatum (L.) F.K.Mey., 1973
    1 observation
    Dernière observation en 2015 Fiche espèce
  • Angiospermes
    Moenchie dressée
    Moenchia erecta (L.) G.Gaertn., B.Mey. & Scherb., 1799
    1 observation
    Dernière observation en 1970 Fiche espèce
  • Angiospermes
    Myosotis des champs
    Myosotis arvensis (L.) Hill, 1764
    1 observation
    Dernière observation en 2019 Fiche espèce
  • Angiospermes
    Myosotis des champs
    Myosotis arvensis (L.) Hill, 1764
    1 observation
    Dernière observation en 2019 Fiche espèce
  • Angiospermes
    Rorippe cresson-d'eau
    Nasturtium officinale W.T.Aiton, 1812
    1 observation
    Dernière observation en 1970 Fiche espèce
  • Angiospermes
    Tabouret bleuâtre
    Noccaea caerulescens (J.Presl & C.Presl) F.K.Mey., 1973
    1 observation
    Dernière observation en 2025 Fiche espèce
  • Angiospermes
    Sainfoin à feuilles de vesce
    Onobrychis viciifolia Scop., 1772
    1 observation
    Dernière observation en 1998 Fiche espèce
  • Angiospermes
    Bugrane épineuse
    Ononis spinosa L., 1753
    1 observation
    Dernière observation en 2018 Fiche espèce
  • Angiospermes
    Paronyque à feuilles de renouée
    Paronychia polygonifolia (Vill.) DC., 1805
    1 observation
    Dernière observation en 1970 Fiche espèce
  • Angiospermes
    Persicaire douce
    Persicaria dubia (Stein ex A.Braun) Fourr., 1869
    1 observation
    Dernière observation en 2019 Fiche espèce
  • Angiospermes
    Persicaire poivre-d'eau
    Persicaria hydropiper (L.) Delarbre, 1800
    1 observation
    Dernière observation en 2019 Fiche espèce
  • Angiospermes
    Persicaire à feuilles de patience
    Persicaria lapathifolia (L.) Delarbre, 1800
    1 observation
    Dernière observation en 2019 Fiche espèce
  • Angiospermes
    Alpiste roseau
    Phalaris arundinacea L., 1753
    1 observation
    Dernière observation en 2019 Fiche espèce
  • Gymnospermes
    Pin à crochets
    Pinus uncinata Ramond ex DC., 1805
    1 observation
    Dernière observation en 2014 Fiche espèce
  • Angiospermes
    Plantain de Bellardi
    Plantago bellardii All., 1785
    1 observation
    Dernière observation en 2016 Fiche espèce
  • Angiospermes
    Plantain de Bellardi
    Plantago bellardii All., 1785
    1 observation
    Dernière observation en 2016 Fiche espèce
  • Angiospermes
    Plantain moyen
    Plantago media L., 1753
    1 observation
    Dernière observation en 1998 Fiche espèce
  • Angiospermes
    Platane à feuilles d'érable
    Platanus x hispanica Mill. ex Münchh., 1770
    1 observation
    Dernière observation en 2019 Fiche espèce
  • Angiospermes
    Polygale à feuilles de serpolet
    Polygala serpyllifolia Hose, 1797
    1 observation
    Dernière observation en 2018 Fiche espèce
  • Angiospermes
    Potentille à sept feuilles
    Potentilla heptaphylla L., 1755
    1 observation
    Dernière observation en 2018 Fiche espèce
  • Angiospermes
    Potentille droite
    Potentilla recta L., 1753
    1 observation
    Dernière observation en 2025 Fiche espèce
  • Angiospermes
    Potentille rampante
    Potentilla reptans L., 1753
    1 observation
    Dernière observation en 2018 Fiche espèce
  • Angiospermes
    Primevère élevée
    Primula elatior (L.) Hill, 1765
    1 observation
    Dernière observation en 2018 Fiche espèce
  • Angiospermes
    Prunier domestique
    Prunus domestica L., 1753
    1 observation
    Dernière observation en 2018 Fiche espèce
  • Angiospermes
    Chêne vert
    Quercus ilex L., 1753
    1 observation
    Dernière observation en 2015 Fiche espèce
  • Angiospermes
    Renoncule des marais
    Ranunculus paludosus Poir., 1789
    1 observation
    Dernière observation en 2019 Fiche espèce
  • Angiospermes
    Rhinanthe crête-de-coq
    Rhinanthus alectorolophus (Scop.) Pollich, 1777
    1 observation
    Dernière observation en 2023 Fiche espèce
  • Angiospermes
    Rorippe des Pyrénées
    Rorippa pyrenaica (All.) Rchb., 1838
    1 observation
    Dernière observation en 2019 Fiche espèce
  • Angiospermes
    Rosier agreste
    Rosa agrestis Savi, 1798
    1 observation
    Dernière observation en 2017 Fiche espèce
  • Angiospermes
    Rosier mou
    Rosa mollis Sm., 1812
    1 observation
    Dernière observation en 2017 Fiche espèce
  • Angiospermes
    Ronce ligneuse
    Rubus fruticosus L., 1753
    1 observation
    Dernière observation en 2025 Fiche espèce
  • Angiospermes
    Patience à bouclier
    Rumex scutatus L., 1753
    1 observation
    Dernière observation en 1998 Fiche espèce
  • Angiospermes
    Sauge des prés
    Salvia pratensis L., 1753
    1 observation
    Dernière observation en 2019 Fiche espèce
  • Angiospermes
    Sanguisorbe officinale
    Sanguisorba officinalis L., 1753
    1 observation
    Dernière observation en 2025 Fiche espèce
  • Angiospermes
    Saponaire faux basilic
    Saponaria ocymoides L., 1753
    1 observation
    Dernière observation en 2017 Fiche espèce
  • Angiospermes
    Liondent d'automne
    Scorzoneroides autumnalis (L.) Moench, 1794
    1 observation
    Dernière observation en 2019 Fiche espèce
  • Angiospermes
    Orpin alpestre
    Sedum alpestre Vill., 1779
    1 observation
    Dernière observation en 2020 Fiche espèce
  • Angiospermes
    Sétaire verticillée
    Setaria verticillata (L.) P.Beauv., 1812
    1 observation
    Dernière observation en 2019 Fiche espèce
  • Angiospermes
    Morelle douce-amère
    Solanum dulcamara L., 1753
    1 observation
    Dernière observation en 2019 Fiche espèce
  • Angiospermes
    Morelle noire
    Solanum nigrum L., 1753
    1 observation
    Dernière observation en 2019 Fiche espèce
  • Angiospermes
    Tête d'or
    Solidago canadensis L., 1753
    1 observation
    Dernière observation en 2019 Fiche espèce
  • Angiospermes
    Spergulaire rouge
    Spergularia rubra (L.) J.Presl & C.Presl, 1819
    1 observation
    Dernière observation en 2018 Fiche espèce
  • Angiospermes
    Consoude tubéreuse
    Symphytum tuberosum L., 1753
    1 observation
    Dernière observation en 2019 Fiche espèce
  • Angiospermes
    Tanaisie matricaire
    Tanacetum parthenium (L.) Sch.Bip., 1844
    1 observation
    Dernière observation en 2019 Fiche espèce
  • Angiospermes
    Pissenlit dent-de-lion
    Taraxacum campylodes G.E.Haglund, 1948
    1 observation
    Dernière observation en 2017 Fiche espèce
  • Angiospermes
    Pissenlit à fruits rouges
    Taraxacum erythrospermum Andrz. ex Besser, 1821
    1 observation
    Dernière observation en 2018 Fiche espèce
  • Gymnospermes
    If à baies
    Taxus baccata L., 1753
    1 observation
    Dernière observation en 2018 Fiche espèce
  • Angiospermes
    Thésion des Pyrénées
    Thesium pyrenaicum Pourr., 1788
    1 observation
    Dernière observation en 2020 Fiche espèce
  • Angiospermes
    Tussilage pas-d'âne
    Tussilago farfara L., 1753
    1 observation
    Dernière observation en 2019 Fiche espèce
  • Angiospermes
    Orme glabre
    Ulmus glabra Huds., 1762
    1 observation
    Dernière observation en 2019 Fiche espèce
  • Angiospermes
    Valérianelle à fruits laineux
    Valerianella eriocarpa Desv., 1809
    1 observation
    Dernière observation en 2025 Fiche espèce
  • Angiospermes
    Valérianelle potagère
    Valerianella locusta (L.) Laterr., 1821
    1 observation
    Dernière observation en 2019 Fiche espèce
  • Angiospermes
    Molène de Boerhaave
    Verbascum boerhavii L., 1767
    1 observation
    Dernière observation en 2017 Fiche espèce
  • Angiospermes
    Véronique trifoliée
    Veronica triphyllos L., 1753
    1 observation
    Dernière observation en 2014 Fiche espèce
  • Angiospermes
    Vesce faux sainfoin
    Vicia onobrychioides L., 1753
    1 observation
    Dernière observation en 1998 Fiche espèce
  • Angiospermes
    Violette odorante
    Viola odorata L., 1753
    1 observation
    Dernière observation en 2017 Fiche espèce
  • Angiospermes
    Vulpie queue-de-rat
    Vulpia myuros (L.) C.C.Gmel., 1805
    1 observation
    Dernière observation en 2018 Fiche espèce
  • Angiospermes
    Anthémide des rochers
    Anthemis cretica subsp. saxatilis (DC. ex Willd.) R.Fern., 1975
    1 observation
    Dernière observation en 2018 Fiche espèce
  • Pteridophytes
    Doradille fausse capillaire
    Asplenium trichomanes subsp. quadrivalens D.E.Mey., 1962
    1 observation
    Dernière observation en 2016 Fiche espèce
  • Angiospermes
    Lin à feuilles étroites
    Linum usitatissimum subsp. angustifolium (Huds.) Thell., 1912
    1 observation
    Dernière observation en 2025 Fiche espèce
  • Angiospermes
    Bugrane étalée
    Ononis spinosa subsp. procurrens (Wallr.) Briq., 1913
    1 observation
    Dernière observation en 2019 Fiche espèce
  • Gymnospermes
    Pin laricio
    Pinus nigra subsp. laricio Palib. ex Maire, 1928
    1 observation
    Dernière observation en 2017 Fiche espèce
  • Angiospermes
    Poirier sauvage
    Pyrus communis subsp. pyraster (L.) Ehrh., 1780
    1 observation
    Dernière observation en 2019 Fiche espèce
  • Angiospermes
    Scléranthe annuel
    Scleranthus annuus L., 1753 subsp. annuus
    1 observation
    Dernière observation en 2016 Fiche espèce
  • Angiospermes
    Joubarbe des toits
    Sempervivum tectorum L., 1753 subsp. tectorum
    1 observation
    Dernière observation en 2023 Fiche espèce
  • Angiospermes
    Séneçon ovale
    Senecio ovatus (G.Gaertn., B.Mey. & Scherb.) Willd., 1803 subsp. ovatus
    1 observation
    Dernière observation en 2005 Fiche espèce
  • Angiospermes
    Sétaire dense
    Setaria italica subsp. pycnocoma (Steud.) de Wet, 1981
    1 observation
    Dernière observation en 2023 Fiche espèce
  • Angiospermes
    Silène maritime
    Silene vulgaris subsp. maritima (With.) Á.Löve & D.Löve, 1961
    1 observation
    Dernière observation en 2020 Fiche espèce
  • Angiospermes
    Sorbier des oiseleurs
    Sorbus aucuparia L., 1753 subsp. aucuparia
    1 observation
    Dernière observation en 2024 Fiche espèce
  • Angiospermes
    Thym de Druce
    Thymus praecox subsp. britannicus (Ronniger) Holub, 1973
    1 observation
    Dernière observation en 2017 Fiche espèce
  • Angiospermes
    Tulipe australe
    Tulipa sylvestris subsp. australis (Link) Pamp., 1914
    1 observation
    Dernière observation en 2002 Fiche espèce
  • Angiospermes
    Violette jaune
    Viola lutea Huds., 1762 subsp. lutea
    1 observation
    Dernière observation en 2015 Fiche espèce
  • Angiospermes
    Pâturin bulbeux vivipare
    Poa bulbosa var. vivipara Koeler, 1802
    1 observation
    Dernière observation en 2025 Fiche espèce
  • Angiospermes
    Spirée à feuilles obovales
    Spiraea hypericifolia subsp. obovata (Waldst. & Kit. ex Willd.) H.Huber, 1964
    1 observation
    Dernière observation en 2019 Fiche espèce
  • Gasteropodes
    Bulime boueux
    Merdigera obscura (O.F. Müller, 1774)
    1 observation
    Dernière observation en 2020 Fiche espèce
  • Angiospermes
    Agrostide
    Agrostis L., 1753
    1 observation
    Dernière observation en 2018 Fiche espèce
  • Angiospermes
    Alchémille
    Alchemilla L., 1753
    1 observation
    Dernière observation en 1970 Fiche espèce
  • Mousses
    -
    Bryum Hedw., 1801
    1 observation
    Dernière observation en 2013 Fiche espèce
  • Lichens
    -
    Cladonia P.Browne, 1756
    1 observation
    Dernière observation en 2014 Fiche espèce
  • Angiospermes
    Corydale
    Corydalis DC., 1805
    1 observation
    Dernière observation en 2023 Fiche espèce
  • Angiospermes
    Épipactide
    Epipactis Zinn, 1757
    1 observation
    Dernière observation en 2016 Fiche espèce
  • Angiospermes
    Érigéron
    Erigeron L., 1753
    1 observation
    Dernière observation en 2019 Fiche espèce
  • Angiospermes
    Euphraise
    Euphrasia L., 1753
    1 observation
    Dernière observation en 2020 Fiche espèce
  • Mousses
    -
    Hedwigia P. Beauv.
    1 observation
    Dernière observation en 2014 Fiche espèce
  • Angiospermes
    Iris
    Iris L., 1753
    1 observation
    Dernière observation en 2019 Fiche espèce
  • Mousses
    -
    Isopterygium Mitt., 1869
    1 observation
    Dernière observation en 2019 Fiche espèce
  • Mousses
    -
    Neckera Hedw., 1801
    1 observation
    Dernière observation en 2019 Fiche espèce
  • Angiospermes
    Onagre
    Oenothera L., 1753
    1 observation
    Dernière observation en 2019 Fiche espèce
  • Insectes
    -
    Orthetrum Selys, 1848
    1 observation
    Dernière observation en 2023 Fiche espèce
  • Mousses
    -
    Pohlia Hedw., 1801
    1 observation
    Dernière observation en 2011 Fiche espèce
  • Angiospermes
    Renouée
    Polygonum L., 1753
    1 observation
    Dernière observation en 2019 Fiche espèce
  • Angiospermes
    Saule
    Salix L., 1753
    1 observation
    Dernière observation en 2025 Fiche espèce
  • Angiospermes
    Sanguisorbe
    Sanguisorba L., 1753
    1 observation
    Dernière observation en 2014 Fiche espèce
  • Lichens
    -
    Sticta (Schreb.) Ach., 1803
    1 observation
    Dernière observation en 2014 Fiche espèce
  • Hepatiques et Anthocerotes
    -
    Tritomaria Schiffn. ex Loeske, 1909
    1 observation
    Dernière observation en 2016 Fiche espèce
  • Mousses
    -
    Ulota D.Mohr, 1806
    1 observation
    Dernière observation en 2016 Fiche espèce
  • Angiospermes
    Violette
    Viola L., 1753
    1 observation
    Dernière observation en 2018 Fiche espèce
  • Oiseaux
    Goéland leucophée
    Larus michahellis Naumann, 1840
    1 observation
    Dernière observation en 2016 Fiche espèce
  • Insectes
    Cordulégastre annelé (Le)
    Cordulegaster boltonii (Donovan, 1807)
    1 observation
    Dernière observation en 2025 Fiche espèce
  • Insectes
    Criquet pansu
    Pezotettix giornae (Rossi, 1794)
    1 observation
    Dernière observation en 2024 Fiche espèce
  • Insectes
    Bousier irisé
    Trypocopris pyrenaeus (Charpentier, 1825)
    1 observation
    Dernière observation en 2008 Fiche espèce
  • Insectes
    -
    Eupeodes luniger (Meigen, 1822)
    1 observation
    Dernière observation en 2016 Fiche espèce
  • Insectes
    -
    Parasyrphus lineolus (Zetterstedt, 1843)
    1 observation
    Dernière observation en 2016 Fiche espèce
  • Insectes
    -
    Scaeva dignota (Rondani, 1857)
    1 observation
    Dernière observation en 2015 Fiche espèce
  • Insectes
    Sylvaine (La)
    Ochlodes sylvanus (Esper, 1777)
    1 observation
    Dernière observation en 2024 Fiche espèce
  • Insectes
    Hespérie du Dactyle (L')
    Thymelicus lineola (Ochsenheimer, 1808)
    1 observation
    Dernière observation en 2017 Fiche espèce
  • Insectes
    Cuivré fuligineux (Le)
    Lycaena tityrus (Poda, 1761)
    1 observation
    Dernière observation en 2024 Fiche espèce
  • Insectes
    Tristan (Le)
    Aphantopus hyperantus (Linnaeus, 1758)
    1 observation
    Dernière observation en 2017 Fiche espèce
  • Insectes
    -
    Ernobius abietis (Fabricius, 1792)
    1 observation
    Dernière observation en 2008 Fiche espèce
  • Insectes
    -
    Ernobius angusticollis (Ratzeburg, 1837)
    1 observation
    Dernière observation en 2016 Fiche espèce
  • Insectes
    -
    Ernobius kiesenwetteri Schilsky, 1898
    1 observation
    Dernière observation en 2016 Fiche espèce
  • Insectes
    -
    Stagetus franzi Español, 1969
    1 observation
    Dernière observation en 2017 Fiche espèce
  • Insectes
    -
    Stagetus pilulus (Aubé, 1861)
    1 observation
    Dernière observation en 2017 Fiche espèce
  • Insectes
    -
    Eurythyrea micans (Fabricius, 1792)
    1 observation
    Dernière observation en 2023 Fiche espèce
  • Insectes
    Ver des framboises (larve)
    Byturus tomentosus (De Geer, 1774)
    1 observation
    Dernière observation en 2015 Fiche espèce
  • Insectes
    -
    Paradromius linearis (Olivier, 1795)
    1 observation
    Dernière observation en 2015 Fiche espèce
  • Insectes
    Capricorne nébuleux
    Leiopus nebulosus (Linnaeus, 1758)
    1 observation
    Dernière observation en 2017 Fiche espèce
  • Insectes
    -
    Acanthocinus reticulatus (Razoumowsky, 1789)
    1 observation
    Dernière observation en 2008 Fiche espèce
  • Insectes
    -
    Obrium cantharinum (Linnaeus, 1767)
    1 observation
    Dernière observation en 2016 Fiche espèce
  • Insectes
    -
    Cerylon deplanatum Gyllenhal, 1827
    1 observation
    Dernière observation en 2016 Fiche espèce
  • Insectes
    -
    Paromalus parallelepipedus (Herbst, 1791)
    1 observation
    Dernière observation en 2008 Fiche espèce
  • Insectes
    Hister du peuplier
    Hololepta plana (Sulzer, 1776)
    1 observation
    Dernière observation en 2017 Fiche espèce
  • Insectes
    -
    Brachypterus urticae (Fabricius, 1792)
    1 observation
    Dernière observation en 2015 Fiche espèce
  • Insectes
    -
    Orchesia micans (Panzer, 1793)
    1 observation
    Dernière observation en 2009 Fiche espèce
  • Insectes
    -
    Orchesia undulata Kraatz, 1853
    1 observation
    Dernière observation en 2009 Fiche espèce
  • Insectes
    -
    Melandrya caraboides (Linnaeus, 1761)
    1 observation
    Dernière observation en 2016 Fiche espèce
  • Insectes
    -
    Oedemera pthysica (Scopoli, 1763)
    1 observation
    Dernière observation en 2015 Fiche espèce
  • Insectes
    -
    Cinetus rufipes Sichel, 1859
    1 observation
    Dernière observation en 2016 Fiche espèce
  • Arachnides
    -
    Araniella alpica (L. Koch, 1869)
    1 observation
    Dernière observation en 1992 Fiche espèce
  • Arachnides
    -
    Zygiella montana (C.L. Koch, 1834)
    1 observation
    Dernière observation en 1992 Fiche espèce
  • Arachnides
    -
    Neriene emphana (Walckenaer, 1841)
    1 observation
    Dernière observation en 1992 Fiche espèce
  • Arachnides
    -
    Pityohyphantes phrygianus (C.L. Koch, 1836)
    1 observation
    Dernière observation en 1992 Fiche espèce
  • Arachnides
    Lycose tarentuline
    Hogna radiata (Latreille, 1817)
    1 observation
    Dernière observation en 2024 Fiche espèce
  • Arachnides
    Saltique entouré
    Evarcha falcata (Clerck, 1758)
    1 observation
    Dernière observation en 1992 Fiche espèce
  • Arachnides
    -
    Heliophanus aeneus (Hahn, 1832)
    1 observation
    Dernière observation en 1992 Fiche espèce
  • Insectes
    Nécrophore noir
    Nicrophorus humator (Gleditsch, 1767)
    1 observation
    Dernière observation en 2016 Fiche espèce
  • Insectes
    Silphe à quatre points
    Dendroxena quadrimaculata (Scopoli, 1771)
    1 observation
    Dernière observation en 2016 Fiche espèce
  • Insectes
    Anthribe fiente d'oiseau
    Tropideres albirostris (Schaller, 1783)
    1 observation
    Dernière observation en 2016 Fiche espèce
  • Insectes
    Anthribe bout d'écorce
    Dissoleucas niveirostris (Fabricius, 1798)
    1 observation
    Dernière observation en 2016 Fiche espèce
  • Insectes
    Antribe minime
    Anthribus nebulosus Forster, 1770
    1 observation
    Dernière observation en 2009 Fiche espèce
  • Insectes
    -
    Cis bidentatus (Olivier, 1790)
    1 observation
    Dernière observation en 2009 Fiche espèce
  • Insectes
    -
    Cis micans (Fabricius, 1792)
    1 observation
    Dernière observation en 2008 Fiche espèce
  • Insectes
    -
    Cis quadridens Mellié, 1848
    1 observation
    Dernière observation en 2010 Fiche espèce
  • Insectes
    -
    Cis rugulosus Mellié, 1848
    1 observation
    Dernière observation en 2008 Fiche espèce
  • Insectes
    Clairon porte-croix
    Opilo mollis (Linnaeus, 1758)
    1 observation
    Dernière observation en 2017 Fiche espèce
  • Insectes
    -
    Denops albofasciatus (Charpentier, 1825)
    1 observation
    Dernière observation en 2017 Fiche espèce
  • Insectes
    -
    Antherophagus pallens (Linnaeus, 1758)
    1 observation
    Dernière observation en 2010 Fiche espèce
  • Insectes
    -
    Triplax lacordairii Crotch, 1870
    1 observation
    Dernière observation en 2016 Fiche espèce
  • Insectes
    -
    Triplax rufipes (Fabricius, 1781)
    1 observation
    Dernière observation en 2017 Fiche espèce
  • Insectes
    -
    Lathropus sepicola (P.W.J. Müller, 1821)
    1 observation
    Dernière observation en 2017 Fiche espèce
  • Insectes
    -
    Rhizophagus grandis Gyllenhal, 1827
    1 observation
    Dernière observation en 2016 Fiche espèce
  • Insectes
    -
    Monotoma longicollis (Gyllenhal, 1827)
    1 observation
    Dernière observation en 2015 Fiche espèce
  • Insectes
    -
    Monotoma picipes Herbst, 1793
    1 observation
    Dernière observation en 2009 Fiche espèce
  • Insectes
    -
    Trixagus leseigneuri Muona, 2002
    1 observation
    Dernière observation en 2017 Fiche espèce
  • Insectes
    -
    Andricus dentimitratus (Rejtö, 1887)
    1 observation
    Dernière observation en 2018 Fiche espèce
  • Insectes
    -
    Thalycra fervida (Olivier, 1790)
    1 observation
    Dernière observation en 2016 Fiche espèce
  • Insectes
    -
    Omosita discoidea (Fabricius, 1775)
    1 observation
    Dernière observation en 2016 Fiche espèce
  • Insectes
    -
    Andrena bicolor Fabricius, 1775
    1 observation
    Dernière observation en 2017 Fiche espèce
  • Insectes
    -
    Andrena fucata Smith, 1847
    1 observation
    Dernière observation en 2017 Fiche espèce
  • Insectes
    -
    Andrena haemorrhoa (Fabricius, 1781)
    1 observation
    Dernière observation en 2017 Fiche espèce
  • Insectes
    -
    Andrena trimmerana (Kirby, 1802)
    1 observation
    Dernière observation en 2017 Fiche espèce
  • Insectes
    Cératine bleutée
    Ceratina cyanea (Kirby, 1802)
    1 observation
    Dernière observation en 2017 Fiche espèce
  • Insectes
    -
    Hylaeus communis Nylander, 1852
    1 observation
    Dernière observation en 2017 Fiche espèce
  • Insectes
    -
    Lasioglossum lativentre (Schenck, 1853)
    1 observation
    Dernière observation en 2017 Fiche espèce
  • Insectes
    -
    Sphecodes ephippius (Linnaeus, 1767)
    1 observation
    Dernière observation en 2017 Fiche espèce
  • Insectes
    Taupin balte
    Ampedus balteatus (Linnaeus, 1758)
    1 observation
    Dernière observation en 2016 Fiche espèce
  • Insectes
    -
    Ampedus nigroflavus (Goeze, 1777)
    1 observation
    Dernière observation en 2015 Fiche espèce
  • Insectes
    -
    Cardiophorus anticus Erichson, 1840
    1 observation
    Dernière observation en 2016 Fiche espèce
  • Insectes
    Taupin porte-coeur ému
    Cardiophorus ruficollis (Linnaeus, 1758)
    1 observation
    Dernière observation en 2015 Fiche espèce
  • Insectes
    -
    Procraerus tibialis (Lacordaire in Boisduval & Lacordaire, 1835)
    1 observation
    Dernière observation en 2017 Fiche espèce
  • Insectes
    -
    Pityophthorus buyssoni Reitter, 1901
    1 observation
    Dernière observation en 2010 Fiche espèce
  • Insectes
    -
    Cryphalus numidicus Eichhoff, 1878
    1 observation
    Dernière observation en 2008 Fiche espèce
  • Insectes
    -
    Pityogenes bistridentatus (Eichhoff, 1878)
    1 observation
    Dernière observation en 2010 Fiche espèce
  • Insectes
    -
    Phloeotribus rhododactylus (Marsham, 1802)
    1 observation
    Dernière observation en 2016 Fiche espèce
  • Insectes
    -
    Polygraphus grandiclava C.G. Thomson, 1886
    1 observation
    Dernière observation en 2016 Fiche espèce
  • Insectes
    -
    Tomicus piniperda (Linnaeus, 1758)
    1 observation
    Dernière observation en 2008 Fiche espèce
  • Insectes
    -
    Trypodendron signatum (Fabricius, 1792)
    1 observation
    Dernière observation en 2016 Fiche espèce
  • Insectes
    Asopie de la farine
    Pyralis farinalis (Linnaeus, 1758)
    1 observation
    Dernière observation en 2024 Fiche espèce
  • Insectes
    Petit Paon de Nuit (Le)
    Saturnia pavonia (Linnaeus, 1758)
    1 observation
    Dernière observation en 2024 Fiche espèce
  • Insectes
    Doublure jaune (La)
    Euclidia glyphica (Linnaeus, 1758)
    1 observation
    Dernière observation en 2021 Fiche espèce
  • Arachnides
    -
    Pardosa blanda (C.L. Koch, 1833)
    1 observation
    Dernière observation en 1992 Fiche espèce
  • Mousses
    -
    Polytrichastrum alpinum (Hedw.) G.L.Sm., 1971
    1 observation
    Dernière observation en 2018 Fiche espèce
  • Mousses
    -
    Grimmia longirostris Hook., 1818
    1 observation
    Dernière observation en 2016 Fiche espèce
  • Mousses
    -
    Racomitrium obtusum (Brid.) Brid., 1818
    1 observation
    Dernière observation en 2021 Fiche espèce
  • Mousses
    -
    Pohlia sphagnicola (Bruch & Schimp.) Broth., 1903
    1 observation
    Dernière observation en 2013 Fiche espèce
  • Mousses
    -
    Fissidens crassipes Wilson ex Bruch & Schimp., 1849 subsp. crassipes
    1 observation
    Dernière observation en 2011 Fiche espèce
  • Mousses
    -
    Syntrichia ruralis (Hedw.) F.Weber & D.Mohr, 1803 var. ruralis
    1 observation
    Dernière observation en 2023 Fiche espèce
  • Mousses
    -
    Hypnum cupressiforme var. lacunosum Brid., 1801
    1 observation
    Dernière observation en 2014 Fiche espèce
  • Reptiles
    Lézard catalan (Le)
    Podarcis liolepis (Boulenger, 1905)
    1 observation
    Dernière observation en 2025 Fiche espèce
  • Arachnides
    Érèse coccinelle
    Eresus kollari Rossi, 1846
    1 observation
    Dernière observation en 2016 Fiche espèce
  • Insectes
    -
    Leiopus linnei Wallin, Nylander & Kvamme, 2009
    1 observation
    Dernière observation en 2015 Fiche espèce
  • Oiseaux
    Hirondelle de fenêtre
    Delichon urbicum (Linnaeus, 1758)
    1 observation
    Dernière observation en 2020 Fiche espèce
  • Autres
    Clitocybe en entonnoir
    Infundibulicybe gibba (Pers.) Harmaja, 2003
    1 observation
    Dernière observation en 2018 Fiche espèce
  • Insectes
    Mi (Le)
    Euclidia mi (Clerck, 1759)
    1 observation
    Dernière observation en 2024 Fiche espèce
  • Lichens
    -
    Amandinea punctata (Hoffm.) Coppins & Scheid., 1993
    1 observation
    Dernière observation en 2016 Fiche espèce
  • Lichens
    -
    Tephromela atra (Huds.) Hafellner, 1983 var. atra
    1 observation
    Dernière observation en 2016 Fiche espèce
  • Insectes
    Decticelle bariolée
    Roeseliana roeselii (Hagenbach, 1822)
    1 observation
    Dernière observation en 2016 Fiche espèce
  • Insectes
    Decticelle bariolée
    Roeseliana roeselii (Hagenbach, 1822)
    1 observation
    Dernière observation en 2016 Fiche espèce
  • Angiospermes
    Érigéron âcre
    Erigeron acris L., 1753
    1 observation
    Dernière observation en 2017 Fiche espèce
  • Angiospermes
    Jonc dichotome
    Juncus dichotomus Elliott, 1817
    1 observation
    Dernière observation en 2019 Fiche espèce
  • Insectes
    -
    Lapposyrphus lapponicus (Zetterstedt, 1838)
    1 observation
    Dernière observation en 2020 Fiche espèce
  • Insectes
    -
    Merodon moenium Wiedemann in Meigen, 1822
    1 observation
    Dernière observation en 2020 Fiche espèce
  • Insectes
    -
    Chrysotoxum arcuatum (Linnaeus, 1758)
    1 observation
    Dernière observation en 2020 Fiche espèce
  • Lichens
    -
    Sticta fuliginosa (Dicks.) Ach., 1803
    1 observation
    Dernière observation en 2016 Fiche espèce
  • Lichens
    -
    Schismatomma pericleum (Ach.) Branth & Rostr., 1869
    1 observation
    Dernière observation en 2016 Fiche espèce
  • Lichens
    -
    Ramalina fastigiata (Pers.) Ach., 1810
    1 observation
    Dernière observation en 2016 Fiche espèce
  • Lichens
    -
    Peltigera britannica (Gyeln.) Holt.-Hartw. & Tønsberg, 1983
    1 observation
    Dernière observation en 2016 Fiche espèce
  • Lichens
    -
    Parmotrema perlatum (Huds.) M.Choisy, 1952
    1 observation
    Dernière observation en 2016 Fiche espèce
  • Lichens
    -
    Parmelina pastillifera (Harm.) Hale, 1976
    1 observation
    Dernière observation en 2016 Fiche espèce
  • Lichens
    -
    Parmelia submontana Hale, 1987
    1 observation
    Dernière observation en 2016 Fiche espèce
  • Lichens
    -
    Alyxoria varia (Pers.) Ertz & Tehler, 2011
    1 observation
    Dernière observation en 2016 Fiche espèce
  • Lichens
    -
    Naetrocymbe punctiformis (Pers.) R.C.Harris, 1995
    1 observation
    Dernière observation en 2016 Fiche espèce
  • Autres
    -
    Mycocalicium subtile (Pers.) Szatala, 1925
    1 observation
    Dernière observation en 2016 Fiche espèce
  • Lichens
    -
    Melanohalea exasperatula (Nyl.) O.Blanco, A.Crespo, Divakar, Essl., D.Hawksw. & Lumbsch, 2004
    1 observation
    Dernière observation en 2016 Fiche espèce
  • Lichens
    -
    Megalaria laureri (Hepp ex Th.Fr.) Hafellner, 1993
    1 observation
    Dernière observation en 2016 Fiche espèce
  • Lichens
    -
    Lecanora compallens Herk & Aptroot, 1999
    1 observation
    Dernière observation en 2016 Fiche espèce
  • Lichens
    -
    Hypogymnia farinacea Zopf, 1907
    1 observation
    Dernière observation en 2016 Fiche espèce
  • Lichens
    -
    Cladonia ramulosa (With.) J.R.Laundon, 1984
    1 observation
    Dernière observation en 2016 Fiche espèce
  • Lichens
    -
    Chaenotheca brachypoda (Ach.) Tibell, 1987
    1 observation
    Dernière observation en 2016 Fiche espèce
  • Lichens
    -
    Biatora chrysantha (Zahlbr.) Printzen, 1994
    1 observation
    Dernière observation en 2016 Fiche espèce
  • Lichens
    -
    Bacidina delicata (Larbal. ex Leight.) V.Wirth & Vězda, 1994
    1 observation
    Dernière observation en 2016 Fiche espèce
  • Lichens
    -
    Arthopyrenia salicis A.Massal., 1852
    1 observation
    Dernière observation en 2016 Fiche espèce
  • Autres
    -
    Arthopyrenia persoonii A.Massal., 1855
    1 observation
    Dernière observation en 2016 Fiche espèce
  • Lichens
    -
    Dermatocarpon luridum (Dill. ex With.) J.R.Laundon, 1984
    1 observation
    Dernière observation en 2018 Fiche espèce
  • Lichens
    -
    Lecanora allophana (Ach.) Nyl., 1872
    1 observation
    Dernière observation en 2016 Fiche espèce
  • Lichens
    -
    Parmelia omphalodes (L.) Ach., 1803 subsp. omphalodes
    1 observation
    Dernière observation en 2016 Fiche espèce
  • Lichens
    -
    Cladonia cornuta (L.) Hoffm., 1791 subsp. cornuta
    1 observation
    Dernière observation en 2016 Fiche espèce
  • Autres
    -
    Arthopyrenia cinereopruinosa (Schaer.) A.Massal., 1855 var. cinereopruinosa
    1 observation
    Dernière observation en 2016 Fiche espèce
  • Lichens
    -
    Cladonia squamosa var. subsquamosa (Nyl. ex Leight.) Vain., 1881
    1 observation
    Dernière observation en 2016 Fiche espèce
  • Lichens
    -
    Lecanora chlarotera f. rugosella (Zahlbr.) Poelt, 1952
    1 observation
    Dernière observation en 2016 Fiche espèce
  • Lichens
    -
    Blastenia ferruginea (Huds.) A.Massal., 1852
    1 observation
    Dernière observation en 2016 Fiche espèce
  • Insectes
    -
    Omophlus pubescens (Linnaeus, 1767)
    1 observation
    Dernière observation en 2008 Fiche espèce
  • Angiospermes
    Mimule tacheté
    Erythranthe guttata (Fisch. ex DC.) G.L.Nesom, 2012
    1 observation
    Dernière observation en 2021 Fiche espèce
  • Angiospermes
    Lipandra polysperme
    Lipandra polysperma (L.) S.Fuentes, Uotila & Borsch, 2012
    1 observation
    Dernière observation en 2019 Fiche espèce
  • Angiospermes
    Podosperme pourpre
    Podospermum purpureum (L.) W.D.J.Koch & Ziz, 1814
    1 observation
    Dernière observation en 2004 Fiche espèce
  • Angiospermes
    Brome rameux
    Bromopsis ramosa (Huds.) Holub, 1973 subsp. ramosa
    1 observation
    Dernière observation en 2019 Fiche espèce
  • Hepatiques et Anthocerotes
    -
    Conocephalum salebrosum Szweyk., Buczk.& Odrzyk., 2005
    1 observation
    Dernière observation en 2017 Fiche espèce
  • Angiospermes
    Monotrope sucepin
    Hypopitys monotropa Crantz, 1766
    1 observation
    Dernière observation en 2003 Fiche espèce
  • Angiospermes
    Laîche modeste
    Carex demissa Hornem., 1806
    1 observation
    Dernière observation en 2018 Fiche espèce
  • Amphibiens
    Crapaud épineux (Le)
    Bufo spinosus (Daudin, 1803)
    1 observation
    Dernière observation en 2019 Fiche espèce
  • Hepatiques et Anthocerotes
    -
    Lophoziopsis excisa (Dicks.) Konstant. & Vilnet, 2010
    1 observation
    Dernière observation en 2016 Fiche espèce
  • Mousses
    -
    Ptychostomum pallens (Sw.) J.R.Spence, 2005
    1 observation
    Dernière observation en 2014 Fiche espèce
  • Mousses
    -
    Ptychostomum moravicum (Podp.) Ros & Mazimpaka, 2013
    1 observation
    Dernière observation en 2016 Fiche espèce
  • Mousses
    -
    Alleniella complanata (Hedw.) S.Olsson, Enroth & D.Quandt, 2011
    1 observation
    Dernière observation en 2015 Fiche espèce
  • Hepatiques et Anthocerotes
    -
    Marchantia quadrata Scop., 1772
    1 observation
    Dernière observation en 2011 Fiche espèce
  • Angiospermes
    Clinopode à feuilles de menthe
    Clinopodium nepeta subsp. sylvaticum (Bromf.) Peruzzi & F.Conti, 2008
    1 observation
    Dernière observation en 2015 Fiche espèce
  • Insectes
    -
    Rhizophagus fenestralis (Linnaeus, 1758)
    1 observation
    Dernière observation en 2017 Fiche espèce
  • Insectes
    -
    Cis pygmaeus (Marsham, 1802)
    1 observation
    Dernière observation en 2008 Fiche espèce
  • Insectes
    -
    Stictoleptura hybrida (Rey, 1885)
    1 observation
    Dernière observation en 2016 Fiche espèce
  • Insectes
    Ténébrion bleu
    Helops caeruleus (Linnaeus, 1758)
    1 observation
    Dernière observation en 2022 Fiche espèce
  • Arachnides
    -
    Pulchellodromus pulchellus (Lucas, 1846)
    1 observation
    Dernière observation en 1992 Fiche espèce
  • Insectes
    -
    Andrena nigroaenea (Kirby, 1802)
    1 observation
    Dernière observation en 2017 Fiche espèce
  • Insectes
    Osmie rousse
    Osmia bicornis (Linnaeus, 1758)
    1 observation
    Dernière observation en 2017 Fiche espèce
  • Insectes
    Ecaille du Plantain (L')
    Arctia plantaginis (Linnaeus, 1758)
    1 observation
    Dernière observation en 2024 Fiche espèce
  • Mousses
    -
    Chionoloma tenuirostre (Hook. & Taylor) M.Alonso, M.J.Cano & J.A.Jiménez, 2016
    1 observation
    Dernière observation en 2017 Fiche espèce
  • Autres
    -
    Fomitiporia punctata (P.Karst.) Murrill, 1947
    1 observation
    Dernière observation en 2023 Fiche espèce
  • Mousses
    -
    Flexitrichum gracile (Mitt.) Ignatov & Fedosov, 2016
    1 observation
    Dernière observation en 2021 Fiche espèce
  • Mousses
    -
    Sphagnum divinum Flatberg & K.Hassel, 2018
    1 observation
    Dernière observation en 2025 Fiche espèce
  • Mousses
    -
    Campylophyllopsis calcarea (Crundw. & Nyholm) Ochyra, 2010
    1 observation
    Dernière observation en 2013 Fiche espèce
  • Amphibiens
    Salamandre tachetée terrestre (La)
    Salamandra salamandra terrestris (Lacepède, 1788)
    1 observation
    Dernière observation en 2015 Fiche espèce
  • Angiospermes
    Ziziphora acinos
    Ziziphora acinos (L.) Melnikov, 2016
    1 observation
    Dernière observation en 2017 Fiche espèce
  • Insectes
    Criquet des adrets
    Gomphocerippus apricarius (Linnaeus, 1758)
    1 observation
    Dernière observation en 2016 Fiche espèce
  • Insectes
    Criquet des jachères
    Gomphocerippus mollis (Charpentier, 1825)
    1 observation
    Dernière observation en 2017 Fiche espèce
  • Lichens
    -
    Lepra corallina (L.) Hafellner, 2016
    1 observation
    Dernière observation en 2016 Fiche espèce
  • Autres
    Trémelle foliacée
    Phaeotremella foliacea (Pers.) Wedin, J.C.Zamora & Millanes, 2016
    1 observation
    Dernière observation en 2016 Fiche espèce
  • Angiospermes
    Épilobe de Dodone
    Chamaenerion dodonaei (Vill.) Schur, 1853
    1 observation
    Dernière observation en 2015 Fiche espèce
  • Insectes
    -
    Bombus groupe terrestris
    1 observation
    Dernière observation en 2017 Fiche espèce
100 dernières observations dans la commune de Altier
Chargement...