Commune de Soudorgues


1 257
observations

646
espèces

112
observateurs
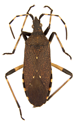
  • Insectes
    Bupreste hongrois
    Anthaxia hungarica (Scopoli, 1772)
    14 observations
    Dernière observation en 2025 Fiche espèce
  • Insectes
    Ephippigère des vignes
    Ephippiger diurnus Dufour, 1841
    12 observations
    Dernière observation en 2025 Fiche espèce
  • Insectes
    Ephippigère des vignes
    Ephippiger diurnus Dufour, 1841
    12 observations
    Dernière observation en 2025 Fiche espèce
  • Insectes
    Calosome vert
    Calosoma sycophanta (Linnaeus, 1758)
    8 observations
    Dernière observation en 2023 Fiche espèce
  • Insectes
    -
    Oxythyrea funesta (Poda, 1761)
    8 observations
    Dernière observation en 2025 Fiche espèce
  • Insectes
    Azuré de la Bugrane (L')
    Polyommatus icarus (Rottemburg, 1775)
    8 observations
    Dernière observation en 2024 Fiche espèce
  • Insectes
    Empuse commune
    Empusa pennata (Thunberg, 1815)
    8 observations
    Dernière observation en 2024 Fiche espèce
  • Angiospermes
    Ciste à feuilles de sauge
    Cistus salviifolius L., 1753
    8 observations
    Dernière observation en 2024 Fiche espèce
  • Amphibiens
    Salamandre tachetée (La)
    Salamandra salamandra (Linnaeus, 1758)
    7 observations
    Dernière observation en 2025 Fiche espèce
  • Insectes
    Cétoine dorée (la)
    Cetonia aurata (Linnaeus, 1758)
    7 observations
    Dernière observation en 2025 Fiche espèce
  • Insectes
    Coccinelle à 7 points
    Coccinella septempunctata Linnaeus, 1758
    7 observations
    Dernière observation en 2025 Fiche espèce
  • Autres
    Polypore nid d'abeilles
    Hexagonia nitida Durieu & Mont., 1856
    7 observations
    Dernière observation en 2020 Fiche espèce
  • Insectes
    Criquet égyptien
    Anacridium aegyptium (Linnaeus, 1764)
    7 observations
    Dernière observation en 2025 Fiche espèce
  • Angiospermes
    Ombilic rupestre
    Umbilicus rupestris (Salisb.) Dandy, 1948
    7 observations
    Dernière observation en 2023 Fiche espèce
  • Insectes
    Thécla du Kermès (La)
    Satyrium esculi (Hübner, 1804)
    7 observations
    Dernière observation en 2024 Fiche espèce
  • Insectes
    Lepture sauvage
    Stictoleptura fulva (De Geer, 1775)
    7 observations
    Dernière observation en 2024 Fiche espèce
  • Insectes
    Clairon des abeilles solitaires
    Trichodes alvearius (Fabricius, 1792)
    6 observations
    Dernière observation en 2025 Fiche espèce
  • Insectes
    Grand Capricorne (Le)
    Cerambyx cerdo Linnaeus, 1758
    6 observations
    Dernière observation en 2024 Fiche espèce
  • Insectes
    Citron de Provence (Le)
    Gonepteryx cleopatra (Linnaeus, 1767)
    6 observations
    Dernière observation en 2025 Fiche espèce
  • Insectes
    Phanéroptère liliacé
    Tylopsis lilifolia (Fabricius, 1793)
    6 observations
    Dernière observation en 2024 Fiche espèce
  • Insectes
    Grande Sauterelle verte
    Tettigonia viridissima (Linnaeus, 1758)
    6 observations
    Dernière observation en 2025 Fiche espèce
  • Angiospermes
    Sabline des montagnes
    Arenaria montana L., 1755
    6 observations
    Dernière observation en 2020 Fiche espèce
  • Angiospermes
    Crételle hérissée
    Cynosurus echinatus L., 1753
    6 observations
    Dernière observation en 2020 Fiche espèce
  • Angiospermes
    Bruyère cendrée
    Erica cinerea L., 1753
    6 observations
    Dernière observation en 2020 Fiche espèce
  • Angiospermes
    Orpin hirsute
    Sedum hirsutum All., 1785
    6 observations
    Dernière observation en 2022 Fiche espèce
  • Arachnides
    Thomise Napoléon
    Synema globosum (Fabricius, 1775)
    6 observations
    Dernière observation en 2025 Fiche espèce
  • Insectes
    Punaise verte ponctuée
    Nezara viridula (Linnaeus, 1758)
    6 observations
    Dernière observation en 2025 Fiche espèce
  • Insectes
    -
    Graphosoma italicum italicum (O.F. Müller, 1766)
    6 observations
    Dernière observation en 2025 Fiche espèce
  • Insectes
    Cerf-volant (mâle)
    Lucanus cervus (Linnaeus, 1758)
    5 observations
    Dernière observation en 2025 Fiche espèce
  • Insectes
    Calleux Cycliste
    Stenopterus rufus (Linnaeus, 1767)
    5 observations
    Dernière observation en 2024 Fiche espèce
  • Insectes
    -
    Clytus rhamni Germar, 1817
    5 observations
    Dernière observation en 2024 Fiche espèce
  • Reptiles
    Lézard des murailles (Le)
    Podarcis muralis (Laurenti, 1768)
    5 observations
    Dernière observation en 2021 Fiche espèce
  • Angiospermes
    Adénocarpe plié
    Adenocarpus complicatus (L.) J.Gay, 1836
    5 observations
    Dernière observation en 1997 Fiche espèce
  • Angiospermes
    Brize élevée
    Briza maxima L., 1753
    5 observations
    Dernière observation en 2020 Fiche espèce
  • Pteridophytes
    Dryoptéride fougère-mâle
    Dryopteris filix-mas (L.) Schott, 1834
    5 observations
    Dernière observation en 2020 Fiche espèce
  • Angiospermes
    Érigéron de Sumatra
    Erigeron sumatrensis Retz., 1810
    5 observations
    Dernière observation en 2020 Fiche espèce
  • Angiospermes
    Fétuque d'Auvergne
    Festuca arvernensis Auquier, Kerguélen & Markgr.-Dann., 1978
    5 observations
    Dernière observation en 2020 Fiche espèce
  • Angiospermes
    Laitue effilée
    Lactuca viminea (L.) J.Presl & C.Presl, 1819
    5 observations
    Dernière observation en 1997 Fiche espèce
  • Angiospermes
    Origan commun
    Origanum vulgare L., 1753
    5 observations
    Dernière observation en 2023 Fiche espèce
  • Angiospermes
    Osyride blanche
    Osyris alba L., 1753
    5 observations
    Dernière observation en 2020 Fiche espèce
  • Insectes
    Lepture tachetée
    Rutpela maculata (Poda, 1761)
    5 observations
    Dernière observation en 2025 Fiche espèce
  • Insectes
    Corise de la jusquiame
    Corizus hyoscyami (Linnaeus, 1758)
    5 observations
    Dernière observation en 2025 Fiche espèce
  • Insectes
    Abeille domestique
    Apis mellifera Linnaeus, 1758
    5 observations
    Dernière observation en 2025 Fiche espèce
  • Insectes
    Pyrauste de la Menthe (La)
    Pyrausta aurata (Scopoli, 1763)
    5 observations
    Dernière observation en 2024 Fiche espèce
  • Insectes
    -
    Acmaeoderella flavofasciata flavofasciata (Piller & Mitterpacher, 1783)
    5 observations
    Dernière observation en 2023 Fiche espèce
  • Amphibiens
    Triton palmé (Le)
    Lissotriton helveticus (Razoumowsky, 1789)
    5 observations
    Dernière observation en 2023 Fiche espèce
  • Angiospermes
    Laitue des murs
    Lactuca muralis (L.) Gaertn., 1791
    5 observations
    Dernière observation en 2022 Fiche espèce
  • Arachnides
    -
    Phalangium opilio Linnaeus, 1758
    4 observations
    Dernière observation en 2025 Fiche espèce
  • Arachnides
    Épeire de velours
    Agalenatea redii (Scopoli, 1763)
    4 observations
    Dernière observation en 2025 Fiche espèce
  • Arachnides
    Mangore petite-bouteille
    Mangora acalypha (Walckenaer, 1802)
    4 observations
    Dernière observation en 2024 Fiche espèce
  • Insectes
    Cétoine noire (la)
    Netocia morio (Fabricius, 1781)
    4 observations
    Dernière observation en 2024 Fiche espèce
  • Insectes
    Cycliste à bras jaunes
    Oedemera flavipes (Fabricius, 1792)
    4 observations
    Dernière observation en 2023 Fiche espèce
  • Insectes
    Punaise brune à antennes & bords panachés
    Dolycoris baccarum (Linnaeus, 1758)
    4 observations
    Dernière observation en 2025 Fiche espèce
  • Insectes
    Gendarme
    Pyrrhocoris apterus (Linnaeus, 1758)
    4 observations
    Dernière observation en 2025 Fiche espèce
  • Insectes
    Frelon d'Europe
    Vespa crabro Linnaeus, 1758
    4 observations
    Dernière observation en 2025 Fiche espèce
  • Insectes
    Abeille charpentière
    Xylocopa violacea (Linnaeus, 1758)
    4 observations
    Dernière observation en 2025 Fiche espèce
  • Insectes
    Nymphale de l'Arbousier (La)
    Charaxes jasius (Linnaeus, 1767)
    4 observations
    Dernière observation en 2024 Fiche espèce
  • Insectes
    Tabac d'Espagne (Le)
    Argynnis paphia (Linnaeus, 1758)
    4 observations
    Dernière observation en 2025 Fiche espèce
  • Insectes
    Flambé (Le)
    Iphiclides podalirius (Linnaeus, 1758)
    4 observations
    Dernière observation en 2024 Fiche espèce
  • Insectes
    Mante religieuse
    Mantis religiosa (Linnaeus, 1758)
    4 observations
    Dernière observation en 2025 Fiche espèce
  • Angiospermes
    Aulne glutineux
    Alnus glutinosa (L.) Gaertn., 1790
    4 observations
    Dernière observation en 2020 Fiche espèce
  • Angiospermes
    Asarine couchée
    Asarina procumbens Mill., 1768
    4 observations
    Dernière observation en 2020 Fiche espèce
  • Angiospermes
    Psoralée à odeur de bitume
    Bituminaria bituminosa (L.) C.H.Stirt., 1981
    4 observations
    Dernière observation en 2022 Fiche espèce
  • Angiospermes
    Ellébore fétide
    Helleborus foetidus L., 1753
    4 observations
    Dernière observation en 2024 Fiche espèce
  • Angiospermes
    Micropyre délicat
    Micropyrum tenellum (L.) Link, 1844
    4 observations
    Dernière observation en 2020 Fiche espèce
  • Angiospermes
    Phytolaque d'Amérique
    Phytolacca americana L., 1753
    4 observations
    Dernière observation en 2022 Fiche espèce
  • Angiospermes
    Brunelle laciniée
    Prunella laciniata (L.) L., 1763
    4 observations
    Dernière observation en 2020 Fiche espèce
  • Angiospermes
    Chêne vert
    Quercus ilex L., 1753
    4 observations
    Dernière observation en 2020 Fiche espèce
  • Angiospermes
    Fragon piquant
    Ruscus aculeatus L., 1753
    4 observations
    Dernière observation en 2022 Fiche espèce
  • Angiospermes
    Solidage verge-d'or
    Solidago virgaurea L., 1753
    4 observations
    Dernière observation en 2020 Fiche espèce
  • Insectes
    Criquet pansu
    Pezotettix giornae (Rossi, 1794)
    4 observations
    Dernière observation en 2023 Fiche espèce
  • Insectes
    Capnode du Pêcher
    Capnodis tenebrionis (Linnaeus, 1761)
    4 observations
    Dernière observation en 2025 Fiche espèce
  • Insectes
    -
    Exocentrus adspersus Mulsant, 1846
    4 observations
    Dernière observation en 2023 Fiche espèce
  • Insectes
    Disparate (Le)
    Lymantria dispar (Linnaeus, 1758)
    4 observations
    Dernière observation en 2025 Fiche espèce
  • Insectes
    Coccinelle asiatique (la)
    Harmonia axyridis (Pallas, 1773)
    4 observations
    Dernière observation en 2025 Fiche espèce
  • Angiospermes
    Fausse tourette tourette
    Pseudoturritis turrita (L.) Al-Shehbaz, 2005
    4 observations
    Dernière observation en 2022 Fiche espèce
  • Insectes
    Punaise diabolique
    Halyomorpha halys (Stål, 1855)
    4 observations
    Dernière observation en 2023 Fiche espèce
  • Amphibiens
    Salamandre tachetée terrestre (La)
    Salamandra salamandra terrestris (Lacepède, 1788)
    4 observations
    Dernière observation en 2025 Fiche espèce
  • Amphibiens
    Alyte accoucheur (L')
    Alytes obstetricans (Laurenti, 1768)
    3 observations
    Dernière observation en 2025 Fiche espèce
  • Arachnides
    Épeire frelon
    Argiope bruennichi (Scopoli, 1772)
    3 observations
    Dernière observation en 2025 Fiche espèce
  • Insectes
    Carabe d'Ispagnac
    Carabus hispanus Fabricius, 1787
    3 observations
    Dernière observation en 2025 Fiche espèce
  • Insectes
    Lepture de pique (femelle)
    Stenurella bifasciata (Müller, 1776)
    3 observations
    Dernière observation en 2023 Fiche espèce
  • Insectes
    Syrphe ceinturé
    Episyrphus balteatus (De Geer, 1776)
    3 observations
    Dernière observation en 2024 Fiche espèce
  • Insectes
    Eristale gluante
    Eristalis tenax (Linnaeus, 1758)
    3 observations
    Dernière observation en 2024 Fiche espèce
  • Insectes
    Myrtil (Le)
    Maniola jurtina (Linnaeus, 1758)
    3 observations
    Dernière observation en 2023 Fiche espèce
  • Lichens
    -
    Nephroma laevigatum Ach., 1814
    3 observations
    Dernière observation en 2020 Fiche espèce
  • Gasteropodes
    Escargot des jardins
    Cepaea hortensis (O.F. Müller, 1774)
    3 observations
    Dernière observation en 2025 Fiche espèce
  • Insectes
    Libellule déprimée (La)
    Libellula depressa Linnaeus, 1758
    3 observations
    Dernière observation en 2025 Fiche espèce
  • Insectes
    Antaxie cévenole
    Antaxius sorrezensis (Marquet, 1877)
    3 observations
    Dernière observation en 2025 Fiche espèce
  • Reptiles
    Orvet fragile (L')
    Anguis fragilis Linnaeus, 1758
    3 observations
    Dernière observation en 2024 Fiche espèce
  • Angiospermes
    Aïra caryophyllé
    Aira caryophyllea L., 1753
    3 observations
    Dernière observation en 1997 Fiche espèce
  • Angiospermes
    Andryale à feuilles entières
    Andryala integrifolia L., 1753
    3 observations
    Dernière observation en 2022 Fiche espèce
  • Angiospermes
    Flouve odorante
    Anthoxanthum odoratum L., 1753
    3 observations
    Dernière observation en 2020 Fiche espèce
  • Angiospermes
    Aristoloche clématite
    Aristolochia clematitis L., 1753
    3 observations
    Dernière observation en 2020 Fiche espèce
  • Angiospermes
    Armoise
    Artemisia verlotiorum Lamotte, 1877
    3 observations
    Dernière observation en 1997 Fiche espèce
  • Pteridophytes
    Fougère femelle
    Athyrium filix-femina (L.) Roth, 1799
    3 observations
    Dernière observation en 2020 Fiche espèce
  • Angiospermes
    Silène armérie
    Atocion armeria (L.) Raf., 1840
    3 observations
    Dernière observation en 2021 Fiche espèce
  • Angiospermes
    Callune commune
    Calluna vulgaris (L.) Hull, 1808
    3 observations
    Dernière observation en 2020 Fiche espèce
  • Angiospermes
    Laîche à deux épis
    Carex distachya Desf., 1799
    3 observations
    Dernière observation en 2020 Fiche espèce
  • Angiospermes
    Micocoulier de Provence
    Celtis australis L., 1753
    3 observations
    Dernière observation en 2020 Fiche espèce
  • Angiospermes
    Centaurée pectinée
    Centaurea pectinata L., 1763
    3 observations
    Dernière observation en 2021 Fiche espèce
  • Angiospermes
    Clinopode népéta
    Clinopodium nepeta (L.) Kuntze, 1891
    3 observations
    Dernière observation en 2020 Fiche espèce
  • Angiospermes
    Noisetier commun
    Corylus avellana L., 1753
    3 observations
    Dernière observation en 2020 Fiche espèce
  • Angiospermes
    Souchet long
    Cyperus longus L., 1753
    3 observations
    Dernière observation en 1997 Fiche espèce
  • Angiospermes
    Cytise à balais
    Cytisus scoparius (L.) Link, 1822
    3 observations
    Dernière observation en 2020 Fiche espèce
  • Angiospermes
    Œillet du granite
    Dianthus graniticus Jord., 1849
    3 observations
    Dernière observation en 2020 Fiche espèce
  • Angiospermes
    Eupatoire chanvrine
    Eupatorium cannabinum L., 1753
    3 observations
    Dernière observation en 1997 Fiche espèce
  • Angiospermes
    Euphorbe petit-cyprès
    Euphorbia cyparissias L., 1753
    3 observations
    Dernière observation en 2024 Fiche espèce
  • Angiospermes
    Galéopsis ladanum
    Galeopsis ladanum L., 1753
    3 observations
    Dernière observation en 1997 Fiche espèce
  • Angiospermes
    Genêt poilu
    Genista pilosa L., 1753
    3 observations
    Dernière observation en 2020 Fiche espèce
  • Angiospermes
    Lierre grimpant
    Hedera helix L., 1753
    3 observations
    Dernière observation en 2023 Fiche espèce
  • Angiospermes
    Millepertuis des montagnes
    Hypericum montanum L., 1755
    3 observations
    Dernière observation en 2020 Fiche espèce
  • Angiospermes
    Porcelle enracinée
    Hypochaeris radicata L., 1753
    3 observations
    Dernière observation en 2020 Fiche espèce
  • Angiospermes
    Jonc des crapauds
    Juncus bufonius L., 1753
    3 observations
    Dernière observation en 2020 Fiche espèce
  • Angiospermes
    Logfie minime
    Logfia minima (Sm.) Dumort., 1827
    3 observations
    Dernière observation en 2020 Fiche espèce
  • Angiospermes
    Menthe à feuilles rondes
    Mentha suaveolens Ehrh., 1792
    3 observations
    Dernière observation en 2020 Fiche espèce
  • Angiospermes
    Ornithope délicat
    Ornithopus perpusillus L., 1753
    3 observations
    Dernière observation en 1997 Fiche espèce
  • Angiospermes
    Pétrorhagie prolifère
    Petrorhagia prolifera (L.) P.W.Ball & Heywood, 1964
    3 observations
    Dernière observation en 2020 Fiche espèce
  • Angiospermes
    Orpin réfléchi
    Petrosedum rupestre (L.) P.V.Heath, 1987
    3 observations
    Dernière observation en 2020 Fiche espèce
  • Angiospermes
    Prunier épineux
    Prunus spinosa L., 1753
    3 observations
    Dernière observation en 2023 Fiche espèce
  • Angiospermes
    Renoncule âcre
    Ranunculus acris L., 1753
    3 observations
    Dernière observation en 2020 Fiche espèce
  • Angiospermes
    Saponaire faux basilic
    Saponaria ocymoides L., 1753
    3 observations
    Dernière observation en 2024 Fiche espèce
  • Angiospermes
    Saponaire officinale
    Saponaria officinalis L., 1753
    3 observations
    Dernière observation en 2020 Fiche espèce
  • Angiospermes
    Silène à feuilles larges
    Silene latifolia Poir., 1789
    3 observations
    Dernière observation en 2024 Fiche espèce
  • Angiospermes
    Morelle douce-amère
    Solanum dulcamara L., 1753
    3 observations
    Dernière observation en 2020 Fiche espèce
  • Angiospermes
    Germandrée scorodoine
    Teucrium scorodonia L., 1753
    3 observations
    Dernière observation en 2021 Fiche espèce
  • Angiospermes
    Thym luisant
    Thymus nitens Lamotte, 1881
    3 observations
    Dernière observation en 2020 Fiche espèce
  • Angiospermes
    Trèfle hérissé
    Trifolium hirtum All., 1789
    3 observations
    Dernière observation en 1997 Fiche espèce
  • Angiospermes
    Urosperme de Daléchamps
    Urospermum dalechampii (L.) Scop. ex F.W.Schmidt, 1795
    3 observations
    Dernière observation en 2024 Fiche espèce
  • Insectes
    -
    Sphaerophoria Lepeletier de Saint-Fargeau & Audinet-Serville in Latreille, 1828
    3 observations
    Dernière observation en 2023 Fiche espèce
  • Insectes
    Piéride du Navet (La)
    Pieris napi (Linnaeus, 1758)
    3 observations
    Dernière observation en 2023 Fiche espèce
  • Insectes
    Lepture de coeur
    Stictoleptura cordigera (Fuessly, 1775)
    3 observations
    Dernière observation en 2024 Fiche espèce
  • Insectes
    Mylabre à quatre points
    Mylabris quadripunctata (Linnaeus, 1767)
    3 observations
    Dernière observation en 2025 Fiche espèce
  • Insectes
    -
    Scolia hirta (Schrank, 1781)
    3 observations
    Dernière observation en 2025 Fiche espèce
  • Insectes
    -
    Adelphocoris vandalicus (Rossi, 1790)
    3 observations
    Dernière observation en 2024 Fiche espèce
  • Insectes
    -
    Spilostethus pandurus (Scopoli, 1763)
    3 observations
    Dernière observation en 2025 Fiche espèce
  • Insectes
    -
    Enoplops scapha (Fabricius, 1794)
    3 observations
    Dernière observation en 2025 Fiche espèce
  • Insectes
    Lichénée vestale (La)
    Catocala nymphaea (Esper, 1787)
    3 observations
    Dernière observation en 2025 Fiche espèce
  • Insectes
    Petite biche
    Dorcus parallelipipedus (Linnaeus, 1758)
    3 observations
    Dernière observation en 2023 Fiche espèce
  • Arachnides
    Pholque de Pluche
    Holocnemus pluchei (Scopoli, 1763)
    2 observations
    Dernière observation en 2023 Fiche espèce
  • Arachnides
    -
    Meta bourneti Simon, 1922
    2 observations
    Dernière observation en 2025 Fiche espèce
  • Oiseaux
    Rougegorge familier
    Erithacus rubecula (Linnaeus, 1758)
    2 observations
    Dernière observation en 2024 Fiche espèce
  • Insectes
    Scarabée rhinocéros européen
    Oryctes nasicornis (Linnaeus, 1758)
    2 observations
    Dernière observation en 2023 Fiche espèce
  • Insectes
    Cétoine hérissée
    Tropinota squalida (Scopoli, 1763)
    2 observations
    Dernière observation en 2025 Fiche espèce
  • Insectes
    Richard bosselé
    Chrysobothris affinis (Fabricius, 1794)
    2 observations
    Dernière observation en 2023 Fiche espèce
  • Insectes
    Lepture à écusson doré
    Stictoleptura scutellata (Fabricius, 1781)
    2 observations
    Dernière observation en 2023 Fiche espèce
  • Insectes
    Petit Capricorne (Le)
    Cerambyx scopolii Fuessly, 1775
    2 observations
    Dernière observation en 2024 Fiche espèce
  • Insectes
    Milésie faux-frelon
    Milesia crabroniformis (Fabricius, 1775)
    2 observations
    Dernière observation en 2024 Fiche espèce
  • Insectes
    -
    Stomorhina lunata (Fabricius, 1805)
    2 observations
    Dernière observation en 2024 Fiche espèce
  • Autres
    Girolle
    Cantharellus cibarius Fr., 1821
    2 observations
    Dernière observation en 2020 Fiche espèce
  • Insectes
    Corée marginée
    Coreus marginatus (Linnaeus, 1758)
    2 observations
    Dernière observation en 2025 Fiche espèce
  • Insectes
    -
    Deraeocoris ruber (Linnaeus, 1758)
    2 observations
    Dernière observation en 2023 Fiche espèce
  • Insectes
    Mouche-à-scie à trois bandes jaunes
    Macrophya montana (Scopoli, 1763)
    2 observations
    Dernière observation en 2025 Fiche espèce
  • Insectes
    -
    Camponotus vagus (Scopoli, 1763)
    2 observations
    Dernière observation en 2024 Fiche espèce
  • Insectes
    Hespérie de l'Alcée (L')
    Carcharodus alceae (Esper, 1780)
    2 observations
    Dernière observation en 2023 Fiche espèce
  • Insectes
    Tircis (Le)
    Pararge aegeria (Linnaeus, 1758)
    2 observations
    Dernière observation en 2024 Fiche espèce
  • Insectes
    Vanesse des Chardons (La)
    Vanessa cardui (Linnaeus, 1758)
    2 observations
    Dernière observation en 2025 Fiche espèce
  • Insectes
    Mélitée orangée (La)
    Melitaea didyma (Esper, 1778)
    2 observations
    Dernière observation en 2023 Fiche espèce
  • Insectes
    Cuivré commun (Le)
    Lycaena phlaeas (Linnaeus, 1761)
    2 observations
    Dernière observation en 2025 Fiche espèce
  • Insectes
    Machaon (Le)
    Papilio machaon Linnaeus, 1758
    2 observations
    Dernière observation en 2023 Fiche espèce
  • Mammiferes
    Grand rhinolophe
    Rhinolophus ferrumequinum (Schreber, 1774)
    2 observations
    Dernière observation en 2010 Fiche espèce
  • Mammiferes
    Petit rhinolophe
    Rhinolophus hipposideros (Borkhausen, 1797)
    2 observations
    Dernière observation en 2010 Fiche espèce
  • Mammiferes
    Barbastelle d'Europe
    Barbastella barbastellus (Schreber, 1774)
    2 observations
    Dernière observation en 2010 Fiche espèce
  • Mammiferes
    Sérotine commune
    Eptesicus serotinus (Schreber, 1774)
    2 observations
    Dernière observation en 2010 Fiche espèce
  • Mammiferes
    Noctule de Leisler
    Nyctalus leisleri (Kuhl, 1817)
    2 observations
    Dernière observation en 2010 Fiche espèce
  • Mammiferes
    Pipistrelle commune
    Pipistrellus pipistrellus (Schreber, 1774)
    2 observations
    Dernière observation en 2010 Fiche espèce
  • Mammiferes
    Pipistrelle pygmée
    Pipistrellus pygmaeus (Leach, 1825)
    2 observations
    Dernière observation en 2010 Fiche espèce
  • Mammiferes
    Vespère de Savi
    Hypsugo savii (Bonaparte, 1837)
    2 observations
    Dernière observation en 2010 Fiche espèce
  • Insectes
    Leste brun
    Sympecma fusca (Vander Linden, 1820)
    2 observations
    Dernière observation en 2025 Fiche espèce
  • Insectes
    Gomphe joli (Le)
    Gomphus pulchellus Selys, 1840
    2 observations
    Dernière observation en 2021 Fiche espèce
  • Insectes
    Gomphe à crochets (Le)
    Onychogomphus uncatus (Charpentier, 1840)
    2 observations
    Dernière observation en 2005 Fiche espèce
  • Insectes
    Sympétrum fascié (Le)
    Sympetrum striolatum (Charpentier, 1840)
    2 observations
    Dernière observation en 2023 Fiche espèce
  • Insectes
    Barbitiste des Pyrénées
    Isophya pyrenaea (Audinet-Serville, 1838)
    2 observations
    Dernière observation en 2023 Fiche espèce
  • Insectes
    Grillon des bastides
    Gryllomorpha dalmatina (Ocskay, 1832)
    2 observations
    Dernière observation en 2024 Fiche espèce
  • Reptiles
    Lézard à deux raies (Le)
    Lacerta bilineata Daudin, 1802
    2 observations
    Dernière observation en 2025 Fiche espèce
  • Angiospermes
    Érable de Montpellier
    Acer monspessulanum L., 1753
    2 observations
    Dernière observation en 2020 Fiche espèce
  • Angiospermes
    Aigremoine eupatoire
    Agrimonia eupatoria L., 1753
    2 observations
    Dernière observation en 2020 Fiche espèce
  • Angiospermes
    Bugle de Genève
    Ajuga genevensis L., 1753
    2 observations
    Dernière observation en 1997 Fiche espèce
  • Angiospermes
    Anarrhine à feuilles de pâquerette
    Anarrhinum bellidifolium (L.) Willd., 1800
    2 observations
    Dernière observation en 2022 Fiche espèce
  • Angiospermes
    Ancolie commune
    Aquilegia vulgaris L., 1753
    2 observations
    Dernière observation en 1997 Fiche espèce
  • Angiospermes
    Petite bardane
    Arctium minus (Hill) Bernh., 1800
    2 observations
    Dernière observation en 2020 Fiche espèce
  • Pteridophytes
    Doradille cétérac
    Asplenium ceterach L., 1753
    2 observations
    Dernière observation en 2020 Fiche espèce
  • Angiospermes
    Bouleau pleureur
    Betula pendula Roth, 1788
    2 observations
    Dernière observation en 2020 Fiche espèce
  • Angiospermes
    Brachypode des forêts
    Brachypodium sylvaticum (Huds.) P.Beauv., 1812
    2 observations
    Dernière observation en 2020 Fiche espèce
  • Angiospermes
    Bryone dioïque
    Bryonia dioica Jacq., 1774
    2 observations
    Dernière observation en 2020 Fiche espèce
  • Angiospermes
    Bunias fausse roquette
    Bunias erucago L., 1753
    2 observations
    Dernière observation en 1997 Fiche espèce
  • Angiospermes
    Campanule agglomérée
    Campanula glomerata L., 1753
    2 observations
    Dernière observation en 2020 Fiche espèce
  • Angiospermes
    Campanule agglomérée
    Campanula glomerata L., 1753
    2 observations
    Dernière observation en 2020 Fiche espèce
  • Angiospermes
    Campanule raiponce
    Campanula rapunculus L., 1753
    2 observations
    Dernière observation en 2020 Fiche espèce
  • Angiospermes
    Châtaignier cultivé
    Castanea sativa Mill., 1768
    2 observations
    Dernière observation en 2020 Fiche espèce
  • Angiospermes
    Cerfeuil enivrant
    Chaerophyllum temulum L., 1753
    2 observations
    Dernière observation en 2020 Fiche espèce
  • Angiospermes
    Circée de Paris
    Circaea lutetiana L., 1753
    2 observations
    Dernière observation en 2020 Fiche espèce
  • Angiospermes
    Clématite flammette
    Clematis flammula L., 1753
    2 observations
    Dernière observation en 2020 Fiche espèce
  • Angiospermes
    Clématite des haies
    Clematis vitalba L., 1753
    2 observations
    Dernière observation en 2020 Fiche espèce
  • Angiospermes
    Clinopode commun
    Clinopodium vulgare L., 1753
    2 observations
    Dernière observation en 1997 Fiche espèce
  • Angiospermes
    Crucianelle à feuilles étroites
    Crucianella angustifolia L., 1753
    2 observations
    Dernière observation en 2020 Fiche espèce
  • Angiospermes
    Cuscute du thym
    Cuscuta epithymum (L.) L., 1774
    2 observations
    Dernière observation en 1997 Fiche espèce
  • Pteridophytes
    Cystoptéride fragile
    Cystopteris fragilis (L.) Bernh., 1805
    2 observations
    Dernière observation en 2020 Fiche espèce
  • Angiospermes
    Cytise des montagnes de la Méditerranée
    Cytisus oromediterraneus Rivas Mart., T.E.Díaz, Fern.Prieto, Loidi & Peñas, 1984
    2 observations
    Dernière observation en 2017 Fiche espèce
  • Angiospermes
    Digitale pourpre
    Digitalis purpurea L., 1753
    2 observations
    Dernière observation en 2022 Fiche espèce
  • Angiospermes
    Potentille des rochers
    Drymocallis rupestris (L.) Soják, 1989
    2 observations
    Dernière observation en 2020 Fiche espèce
  • Angiospermes
    Vipérine commune
    Echium vulgare L., 1753
    2 observations
    Dernière observation en 1997 Fiche espèce
  • Angiospermes
    Épilobe à tige carrée
    Epilobium tetragonum L., 1753
    2 observations
    Dernière observation en 1997 Fiche espèce
  • Angiospermes
    Bruyère arborescente
    Erica arborea L., 1753
    2 observations
    Dernière observation en 2020 Fiche espèce
  • Angiospermes
    Figuier d'Europe
    Ficus carica L., 1753
    2 observations
    Dernière observation en 2020 Fiche espèce
  • Angiospermes
    Gagée de Bohême
    Gagea bohemica (Zauschn.) Schult. & Schult.f., 1829
    2 observations
    Dernière observation en 2011 Fiche espèce
  • Angiospermes
    Géranium herbe-à-Robert
    Geranium robertianum L., 1753
    2 observations
    Dernière observation en 1997 Fiche espèce
  • Angiospermes
    Benoîte des villes
    Geum urbanum L., 1753
    2 observations
    Dernière observation en 2020 Fiche espèce
  • Angiospermes
    Hélianthème nummulaire
    Helianthemum nummularium (L.) Mill., 1768
    2 observations
    Dernière observation en 1997 Fiche espèce
  • Angiospermes
    Ache nodiflore
    Helosciadium nodiflorum (L.) W.D.J.Koch, 1824
    2 observations
    Dernière observation en 2005 Fiche espèce
  • Angiospermes
    -
    Hieracium brunelliforme Arv.-Touv., 1888
    2 observations
    Dernière observation en 1997 Fiche espèce
  • Angiospermes
    Épervière de Savoie
    Hieracium sabaudum L., 1753
    2 observations
    Dernière observation en 2020 Fiche espèce
  • Angiospermes
    Millepertuis androsème
    Hypericum androsaemum L., 1753
    2 observations
    Dernière observation en 2020 Fiche espèce
  • Angiospermes
    Millepertuis perforé
    Hypericum perforatum L., 1753
    2 observations
    Dernière observation en 2020 Fiche espèce
  • Angiospermes
    Houx commun
    Ilex aquifolium L., 1753
    2 observations
    Dernière observation en 2020 Fiche espèce
  • Angiospermes
    Jasione des montagnes
    Jasione montana L., 1753
    2 observations
    Dernière observation en 2022 Fiche espèce
  • Angiospermes
    Noyer royal
    Juglans regia L., 1753
    2 observations
    Dernière observation en 2020 Fiche espèce
  • Angiospermes
    Jonc articulé
    Juncus articulatus L., 1753
    2 observations
    Dernière observation en 2020 Fiche espèce
  • Angiospermes
    Laitue vivace
    Lactuca perennis L., 1753
    2 observations
    Dernière observation en 1997 Fiche espèce
  • Angiospermes
    Laitue scariole
    Lactuca serriola L., 1756
    2 observations
    Dernière observation en 1997 Fiche espèce
  • Angiospermes
    Gesse anguleuse
    Lathyrus angulatus L., 1753
    2 observations
    Dernière observation en 1997 Fiche espèce
  • Angiospermes
    Passerage champêtre
    Lepidium campestre (L.) W.T.Aiton, 1812
    2 observations
    Dernière observation en 1997 Fiche espèce
  • Angiospermes
    Linaire rampante
    Linaria repens (L.) Mill., 1768
    2 observations
    Dernière observation en 2025 Fiche espèce
  • Angiospermes
    Lotier très étroit
    Lotus angustissimus L., 1753
    2 observations
    Dernière observation en 1997 Fiche espèce
  • Angiospermes
    Pommier sylvestre
    Malus sylvestris (L.) Mill., 1768
    2 observations
    Dernière observation en 2020 Fiche espèce
  • Angiospermes
    Mauve sylvestre
    Malva sylvestris L., 1753
    2 observations
    Dernière observation en 1997 Fiche espèce
  • Angiospermes
    Luzerne rigide
    Medicago rigidula (L.) All., 1785
    2 observations
    Dernière observation en 1997 Fiche espèce
  • Angiospermes
    Mélilot blanc
    Melilotus albus Medik., 1787
    2 observations
    Dernière observation en 1997 Fiche espèce
  • Angiospermes
    Moehringie à cinq étamines
    Moehringia pentandra J.Gay, 1832
    2 observations
    Dernière observation en 2020 Fiche espèce
  • Angiospermes
    Mûrier noir
    Morus nigra L., 1753
    2 observations
    Dernière observation en 1997 Fiche espèce
  • Angiospermes
    Ornithogale en ombelle
    Ornithogalum umbellatum L., 1753
    2 observations
    Dernière observation en 2009 Fiche espèce
  • Angiospermes
    Ornithope comprimé
    Ornithopus compressus L., 1753
    2 observations
    Dernière observation en 1997 Fiche espèce
  • Angiospermes
    Pariétaire de Judée
    Parietaria judaica L., 1756
    2 observations
    Dernière observation en 1997 Fiche espèce
  • Angiospermes
    Persicaire à feuilles de patience
    Persicaria lapathifolia (L.) Delarbre, 1800
    2 observations
    Dernière observation en 1997 Fiche espèce
  • Gymnospermes
    Pin d'Alep
    Pinus halepensis Mill., 1768
    2 observations
    Dernière observation en 1997 Fiche espèce
  • Angiospermes
    Plantain lancéolé
    Plantago lanceolata L., 1753
    2 observations
    Dernière observation en 2020 Fiche espèce
  • Pteridophytes
    Polystic à soies
    Polystichum setiferum (Forssk.) T.Moore ex Woyn., 1913
    2 observations
    Dernière observation en 2020 Fiche espèce
  • Angiospermes
    Potentille argentée
    Potentilla argentea L., 1753
    2 observations
    Dernière observation en 1997 Fiche espèce
  • Angiospermes
    Potentille droite
    Potentilla recta L., 1753
    2 observations
    Dernière observation en 1997 Fiche espèce
  • Angiospermes
    Herbe Catois
    Prunella vulgaris L., 1753
    2 observations
    Dernière observation en 2020 Fiche espèce
  • Angiospermes
    Réséda de Jacquin
    Reseda jacquinii Rchb., 1824
    2 observations
    Dernière observation en 1997 Fiche espèce
  • Angiospermes
    Rosier des chiens
    Rosa canina L., 1753
    2 observations
    Dernière observation en 2021 Fiche espèce
  • Angiospermes
    Saule pourpre
    Salix purpurea L., 1753
    2 observations
    Dernière observation en 2020 Fiche espèce
  • Angiospermes
    Séneçon livide
    Senecio lividus L., 1753
    2 observations
    Dernière observation en 2020 Fiche espèce
  • Angiospermes
    Silène d'Italie
    Silene italica (L.) Pers., 1805
    2 observations
    Dernière observation en 2020 Fiche espèce
  • Angiospermes
    Morelle noire
    Solanum nigrum L., 1753
    2 observations
    Dernière observation en 1997 Fiche espèce
  • Angiospermes
    Trèfle champêtre
    Trifolium campestre Schreb., 1804
    2 observations
    Dernière observation en 2020 Fiche espèce
  • Angiospermes
    Trèfle aggloméré
    Trifolium glomeratum L., 1753
    2 observations
    Dernière observation en 1997 Fiche espèce
  • Angiospermes
    Trèfle noircissant
    Trifolium nigrescens Viv., 1808
    2 observations
    Dernière observation en 1997 Fiche espèce
  • Angiospermes
    Trèfle des prés
    Trifolium pratense L., 1753
    2 observations
    Dernière observation en 2020 Fiche espèce
  • Angiospermes
    Trèfle rampant
    Trifolium repens L., 1753
    2 observations
    Dernière observation en 2020 Fiche espèce
  • Angiospermes
    Trèfle strié
    Trifolium striatum L., 1753
    2 observations
    Dernière observation en 2020 Fiche espèce
  • Angiospermes
    Tubéraire tachetée
    Tuberaria guttata (L.) Fourr., 1868
    2 observations
    Dernière observation en 1997 Fiche espèce
  • Angiospermes
    Molène de Chaix
    Verbascum chaixii Vill., 1779
    2 observations
    Dernière observation en 1997 Fiche espèce
  • Angiospermes
    Molène bouillon-blanc
    Verbascum thapsus L., 1753
    2 observations
    Dernière observation en 2020 Fiche espèce
  • Angiospermes
    Vigne
    Vitis vinifera L., 1753
    2 observations
    Dernière observation en 1997 Fiche espèce
  • Angiospermes
    Vulpie ciliée
    Vulpia ciliata Dumort., 1824
    2 observations
    Dernière observation en 1997 Fiche espèce
  • Angiospermes
    Crépide à feuilles de pissenlit
    Crepis vesicaria subsp. taraxacifolia (Thuill.) Thell., 1914
    2 observations
    Dernière observation en 2020 Fiche espèce
  • Angiospermes
    Hélichryse tardive
    Helichrysum italicum subsp. serotinum (Boiss.) P.Fourn., 1939
    2 observations
    Dernière observation en 1997 Fiche espèce
  • Insectes
    -
    Lygaeus Fabricius, 1794
    2 observations
    Dernière observation en 2025 Fiche espèce
  • Insectes
    Cuivré fuligineux (Le)
    Lycaena tityrus (Poda, 1761)
    2 observations
    Dernière observation en 2025 Fiche espèce
  • Arachnides
    Lycose tarentuline
    Hogna radiata (Latreille, 1817)
    2 observations
    Dernière observation en 2024 Fiche espèce
  • Myriapodes
    Scutigère véloce
    Scutigera coleoptrata (Linnaeus, 1758)
    2 observations
    Dernière observation en 2024 Fiche espèce
  • Insectes
    -
    Deraeocoris schach (Fabricius, 1781)
    2 observations
    Dernière observation en 2024 Fiche espèce
  • Insectes
    -
    Eurydema ornata (Linnaeus, 1758)
    2 observations
    Dernière observation en 2024 Fiche espèce
  • Insectes
    -
    Eurydema ventralis Kolenati, 1846
    2 observations
    Dernière observation en 2025 Fiche espèce
  • Insectes
    Ceratine commune
    Ceratina cucurbitina (Rossi, 1792)
    2 observations
    Dernière observation en 2025 Fiche espèce
  • Insectes
    -
    Adela australis (Heydenreich, 1851)
    2 observations
    Dernière observation en 2024 Fiche espèce
  • Insectes
    Collier blanc (Le)
    Acontia lucida (Hufnagel, 1766)
    2 observations
    Dernière observation en 2023 Fiche espèce
  • Insectes
    Punaise americaine du pin
    Leptoglossus occidentalis Heidemann, 1910
    2 observations
    Dernière observation en 2023 Fiche espèce
  • Insectes
    Frelon à pattes jaunes
    Vespa velutina nigrithorax du Buysson, 1905
    2 observations
    Dernière observation en 2023 Fiche espèce
  • Reptiles
    Lézard catalan (Le)
    Podarcis liolepis (Boulenger, 1905)
    2 observations
    Dernière observation en 2024 Fiche espèce
  • Insectes
    Cétoine cuivrée (La)
    Potosia cuprea (Fabricius, 1775)
    2 observations
    Dernière observation en 2025 Fiche espèce
  • Angiospermes
    Chénopode fausse-ambroisie
    Dysphania ambrosioides (L.) Mosyakin & Clemants, 2002
    2 observations
    Dernière observation en 1997 Fiche espèce
  • Insectes
    Souci (Le)
    Colias crocea (Geoffroy in Fourcroy, 1785)
    2 observations
    Dernière observation en 2023 Fiche espèce
  • Insectes
    Trichie gauloise
    Trichius gallicus Dejean, 1821
    2 observations
    Dernière observation en 2025 Fiche espèce
  • Reptiles
    Lézard catalan (Le)
    Podarcis liolepis liolepis (Boulenger, 1905)
    2 observations
    Dernière observation en 2005 Fiche espèce
  • Oiseaux
    Tarin des aulnes
    Spinus spinus (Linnaeus, 1758)
    2 observations
    Dernière observation en 2024 Fiche espèce
  • Pteridophytes
    Doradille du Forez
    Asplenium foreziense Le Grand ex Magnier, 1884
    2 observations
    Dernière observation en 1997 Fiche espèce
  • Angiospermes
    Plantain holosté
    Plantago subulata var. capitellata (Ramond ex DC.) Decne., 1852
    2 observations
    Dernière observation en 2020 Fiche espèce
  • Autres
    Polypore radié
    Mensularia radiata (Sowerby) Lázaro Ibiza, 1916
    2 observations
    Dernière observation en 2020 Fiche espèce
  • Amphibiens
    Rainette méridionale (La)
    Hyla meridionalis Böttger, 1874
    1 observation
    Dernière observation en 2006 Fiche espèce
  • Arachnides
    -
    Uroctea durandi (Latreille, 1809)
    1 observation
    Dernière observation en 2021 Fiche espèce
  • Arachnides
    Thomise replet
    Thomisus onustus Walckenaer, 1805
    1 observation
    Dernière observation en 2023 Fiche espèce
  • Arachnides
    Misumène variable
    Misumena vatia (Clerck, 1758)
    1 observation
    Dernière observation en 2023 Fiche espèce
  • Arachnides
    -
    Heriaeus hirtus (Latreille, 1819)
    1 observation
    Dernière observation en 2023 Fiche espèce
  • Arachnides
    -
    Tegenaria parietina (Fourcroy, 1785)
    1 observation
    Dernière observation en 2023 Fiche espèce
  • Arachnides
    Pisaure admirable
    Pisaura mirabilis (Clerck, 1758)
    1 observation
    Dernière observation en 2024 Fiche espèce
  • Arachnides
    -
    Alopecosa albofasciata (Brullé, 1832)
    1 observation
    Dernière observation en 2024 Fiche espèce
  • Arachnides
    -
    Icius hamatus (C.L. Koch, 1846)
    1 observation
    Dernière observation en 2023 Fiche espèce
  • Oiseaux
    Buse variable
    Buteo buteo (Linnaeus, 1758)
    1 observation
    Dernière observation en 2024 Fiche espèce
  • Oiseaux
    Sittelle torchepot
    Sitta europaea Linnaeus, 1758
    1 observation
    Dernière observation en 2021 Fiche espèce
  • Mousses
    -
    Atrichum angustatum (Brid.) Bruch & Schimp., 1844
    1 observation
    Dernière observation en 2020 Fiche espèce
  • Mousses
    -
    Polytrichum formosum Hedw., 1801
    1 observation
    Dernière observation en 2020 Fiche espèce
  • Mousses
    -
    Polytrichum piliferum Hedw., 1801
    1 observation
    Dernière observation en 2020 Fiche espèce
  • Mousses
    -
    Fissidens bryoides Hedw., 1801
    1 observation
    Dernière observation en 2020 Fiche espèce
  • Oiseaux
    Rougequeue noir
    Phoenicurus ochruros (S.G. Gmelin, 1774)
    1 observation
    Dernière observation en 2024 Fiche espèce
  • Mousses
    -
    Dicranum scoparium Hedw., 1801
    1 observation
    Dernière observation en 2020 Fiche espèce
  • Mousses
    -
    Plagiomnium affine (Blandow ex Funck) T.J.Kop., 1968
    1 observation
    Dernière observation en 2020 Fiche espèce
  • Mousses
    -
    Plagiomnium undulatum (Hedw.) T.J.Kop., 1968
    1 observation
    Dernière observation en 2020 Fiche espèce
  • Mousses
    -
    Philonotis fontana (Hedw.) Brid., 1827
    1 observation
    Dernière observation en 2020 Fiche espèce
  • Mousses
    -
    Fontinalis antipyretica Hedw., 1801
    1 observation
    Dernière observation en 2020 Fiche espèce
  • Mousses
    -
    Thamnobryum alopecurum (Hedw.) Gangulee
    1 observation
    Dernière observation en 2020 Fiche espèce
  • Mousses
    -
    Grimmia decipiens (Schultz) Lindb., 1861
    1 observation
    Dernière observation en 2020 Fiche espèce
  • Mousses
    -
    Grimmia laevigata (Brid.) Brid., 1826
    1 observation
    Dernière observation en 2020 Fiche espèce
  • Mousses
    -
    Grimmia trichophylla Grev., 1824
    1 observation
    Dernière observation en 2020 Fiche espèce
  • Mousses
    -
    Cirriphyllum crassinervium (Taylor ex Wilson) Loeske & M.Fleisch., 1907
    1 observation
    Dernière observation en 2020 Fiche espèce
  • Mousses
    -
    Rhynchostegium riparioides (Hedw.) Cardot, 1913
    1 observation
    Dernière observation en 2020 Fiche espèce
  • Mousses
    -
    Pseudoscleropodium purum (Hedw.) M.Fleisch., 1923
    1 observation
    Dernière observation en 2020 Fiche espèce
  • Mousses
    -
    Hylocomium splendens (Hedw.) Schimp., 1852
    1 observation
    Dernière observation en 2022 Fiche espèce
  • Hepatiques et Anthocerotes
    -
    Reboulia hemisphaerica (L.) Raddi, 1818
    1 observation
    Dernière observation en 2020 Fiche espèce
  • Hepatiques et Anthocerotes
    -
    Lunularia cruciata (L.) Dumort. ex Lindb., 1868
    1 observation
    Dernière observation en 2020 Fiche espèce
  • Hepatiques et Anthocerotes
    -
    Porella obtusata (Taylor) Trevis., 1877
    1 observation
    Dernière observation en 2020 Fiche espèce
  • Hepatiques et Anthocerotes
    -
    Porella platyphylla (L.) Pfeiff., 1855
    1 observation
    Dernière observation en 2020 Fiche espèce
  • Hepatiques et Anthocerotes
    -
    Frullania dilatata (L.) Dumort., 1835
    1 observation
    Dernière observation en 2020 Fiche espèce
  • Hepatiques et Anthocerotes
    -
    Frullania fragilifolia (Taylor) Gottsche, Lindenb. & Nees, 1845
    1 observation
    Dernière observation en 2020 Fiche espèce
  • Hepatiques et Anthocerotes
    -
    Frullania tamarisci (L.) Dumort., 1835
    1 observation
    Dernière observation en 2020 Fiche espèce
  • Hepatiques et Anthocerotes
    -
    Lejeunea cavifolia (Ehrh.) Lindb., 1871
    1 observation
    Dernière observation en 2020 Fiche espèce
  • Insectes
    Carabe des bois
    Carabus nemoralis O.F. Müller, 1764
    1 observation
    Dernière observation en 2023 Fiche espèce
  • Insectes
    Staphylin à élytre bleu
    Ocypus ophthalmicus (Scopoli, 1763)
    1 observation
    Dernière observation en 2023 Fiche espèce
  • Insectes
    Géotrupe des bois
    Anoplotrupes stercorosus (Hartmann in Scriba, 1791)
    1 observation
    Dernière observation en 2023 Fiche espèce
  • Insectes
    Sisyphe
    Sisyphus schaefferi (Linnaeus, 1758)
    1 observation
    Dernière observation en 2025 Fiche espèce
  • Insectes
    Copris
    Copris lunaris (Linnaeus, 1758)
    1 observation
    Dernière observation en 2010 Fiche espèce
  • Insectes
    Onthophage lémur
    Onthophagus lemur (Fabricius, 1782)
    1 observation
    Dernière observation en 2023 Fiche espèce
  • Insectes
    Cétoine punaise
    Valgus hemipterus (Linnaeus, 1758)
    1 observation
    Dernière observation en 2024 Fiche espèce
  • Insectes
    Gnorime vert
    Gnorimus nobilis (Linnaeus, 1758)
    1 observation
    Dernière observation en 2023 Fiche espèce
  • Insectes
    Latipalpe à dos plat
    Latipalpis plana (Olivier, 1790)
    1 observation
    Dernière observation en 2025 Fiche espèce
  • Insectes
    -
    Anthaxia millefolii (Fabricius, 1801)
    1 observation
    Dernière observation en 2023 Fiche espèce
  • Insectes
    Ver luisant
    Lampyris noctiluca (Linnaeus, 1758)
    1 observation
    Dernière observation en 2025 Fiche espèce
  • Insectes
    Téléphore de campagne
    Cantharis rustica Fallén, 1807
    1 observation
    Dernière observation en 2025 Fiche espèce
  • Insectes
    Clairon des abeilles solitaires
    Trichodes apiarius (Linnaeus, 1758)
    1 observation
    Dernière observation en 2024 Fiche espèce
  • Insectes
    Opâtre des sables
    Opatrum sabulosum (Linnaeus, 1758)
    1 observation
    Dernière observation en 2023 Fiche espèce
  • Insectes
    Clyte d'Eastwood
    Clytus arietis (Linnaeus, 1758)
    1 observation
    Dernière observation en 2025 Fiche espèce
  • Crustaces
    Cloporte commun (Le)
    Armadillidium vulgare (Latreille, 1804)
    1 observation
    Dernière observation en 2024 Fiche espèce
  • Insectes
    -
    Aedes geniculatus (Olivier, 1791)
    1 observation
    Dernière observation en 2023 Fiche espèce
  • Insectes
    -
    Chrysops caecutiens (Linnaeus, 1758)
    1 observation
    Dernière observation en 2023 Fiche espèce
  • Insectes
    Syrphe du poirier
    Scaeva pyrastri (Linnaeus, 1758)
    1 observation
    Dernière observation en 2024 Fiche espèce
  • Insectes
    -
    Myathropa florea (Linnaeus, 1758)
    1 observation
    Dernière observation en 2023 Fiche espèce
  • Insectes
    -
    Sphaerophoria scripta (Linnaeus, 1758)
    1 observation
    Dernière observation en 2023 Fiche espèce
  • Insectes
    -
    Syritta pipiens (Linnaeus, 1758)
    1 observation
    Dernière observation en 2025 Fiche espèce
  • Autres
    Ganoderme luisant
    Ganoderma lucidum (Curtis) P.Karst., 1881
    1 observation
    Dernière observation en 2020 Fiche espèce
  • Insectes
    -
    Eurygaster maura (Linnaeus, 1758)
    1 observation
    Dernière observation en 2023 Fiche espèce
  • Insectes
    Mouche-à-scie noire
    Macrophya annulata (Geoffroy in Fourcroy, 1785)
    1 observation
    Dernière observation en 2025 Fiche espèce
  • Insectes
    Fourmi éthiopienne
    Camponotus aethiops (Latreille, 1798)
    1 observation
    Dernière observation en 2025 Fiche espèce
  • Insectes
    -
    Pheidole pallidula (Nylander, 1849)
    1 observation
    Dernière observation en 2023 Fiche espèce
  • Insectes
    Bourdon des champs
    Bombus pascuorum (Scopoli, 1763)
    1 observation
    Dernière observation en 2023 Fiche espèce
  • Insectes
    Silène (Le)
    Brintesia circe (Fabricius, 1775)
    1 observation
    Dernière observation en 2024 Fiche espèce
  • Insectes
    Gamma (Le)
    Polygonia c-album (Linnaeus, 1758)
    1 observation
    Dernière observation en 2023 Fiche espèce
  • Insectes
    Sylvain azuré (Le)
    Limenitis reducta Staudinger, 1901
    1 observation
    Dernière observation en 2020 Fiche espèce
  • Insectes
    Petit Nacré (Le)
    Issoria lathonia (Linnaeus, 1758)
    1 observation
    Dernière observation en 2025 Fiche espèce
  • Insectes
    Marbré-de-vert (Le)
    Pontia daplidice (Linnaeus, 1758)
    1 observation
    Dernière observation en 2023 Fiche espèce
  • Insectes
    Processionnaire du Pin (La)
    Thaumetopoea pityocampa (Denis & Schiffermüller, 1775)
    1 observation
    Dernière observation en 2017 Fiche espèce
  • Insectes
    Grand Paon de nuit
    Saturnia pyri (Denis & Schiffermüller, 1775)
    1 observation
    Dernière observation en 2020 Fiche espèce
  • Insectes
    Sphinx Tête-de-Mort (Le)
    Acherontia atropos (Linnaeus, 1758)
    1 observation
    Dernière observation en 2023 Fiche espèce
  • Insectes
    Sphinx du Chêne vert (Le)
    Marumba quercus (Denis & Schiffermüller, 1775)
    1 observation
    Dernière observation en 2025 Fiche espèce
  • Insectes
    Sphinx du Tilleul (Le)
    Mimas tiliae (Linnaeus, 1758)
    1 observation
    Dernière observation en 2024 Fiche espèce
  • Insectes
    Moro-Sphinx (Le)
    Macroglossum stellatarum (Linnaeus, 1758)
    1 observation
    Dernière observation en 2024 Fiche espèce
  • Lichens
    -
    Umbilicaria pustulata (L.) Hoffm., 1791
    1 observation
    Dernière observation en 2020 Fiche espèce
  • Mammiferes
    Hérisson d'Europe
    Erinaceus europaeus Linnaeus, 1758
    1 observation
    Dernière observation en 2025 Fiche espèce
  • Mammiferes
    Murin à oreilles échancrées
    Myotis emarginatus (É. Geoffroy Saint-Hilaire, 1806)
    1 observation
    Dernière observation en 2024 Fiche espèce
  • Mammiferes
    Murin de Natterer
    Myotis nattereri (Kuhl, 1817)
    1 observation
    Dernière observation en 2010 Fiche espèce
  • Mammiferes
    Loutre d'Europe
    Lutra lutra (Linnaeus, 1758)
    1 observation
    Dernière observation en 2005 Fiche espèce
  • Insectes
    Caloptéryx occitan
    Calopteryx xanthostoma (Charpentier, 1825)
    1 observation
    Dernière observation en 2005 Fiche espèce
  • Insectes
    Agrion orangé
    Platycnemis acutipennis Selys-Longchamps, 1841
    1 observation
    Dernière observation en 2005 Fiche espèce
  • Insectes
    Agrion blanchâtre
    Platycnemis latipes Rambur, 1842
    1 observation
    Dernière observation en 2005 Fiche espèce
  • Insectes
    Leste vert
    Chalcolestes viridis (Vander Linden, 1825)
    1 observation
    Dernière observation en 2005 Fiche espèce
  • Insectes
    Gomphe à forceps (Le)
    Onychogomphus forcipatus (Linnaeus, 1758)
    1 observation
    Dernière observation en 2023 Fiche espèce
  • Insectes
    Gomphe à forceps méridional (Le)
    Onychogomphus forcipatus unguiculatus (Van der Linden, 1823)
    1 observation
    Dernière observation en 2005 Fiche espèce
  • Insectes
    Orthétrum bleuissant (L')
    Orthetrum coerulescens (Fabricius, 1798)
    1 observation
    Dernière observation en 2023 Fiche espèce
  • Insectes
    Orthétrum brun (L')
    Orthetrum brunneum (Boyer de Fonscolombe, 1837)
    1 observation
    Dernière observation en 2005 Fiche espèce
  • Insectes
    Aeschne paisible (L')
    Boyeria irene (Boyer de Fonscolombe, 1838)
    1 observation
    Dernière observation en 2005 Fiche espèce
  • Insectes
    Anax empereur (L')
    Anax imperator Leach, 1815
    1 observation
    Dernière observation en 2005 Fiche espèce
  • Insectes
    Phanéroptère méridional
    Phaneroptera nana Fieber, 1853
    1 observation
    Dernière observation en 2023 Fiche espèce
  • Insectes
    Decticelle échassière
    Sepiana sepium (Yersin, 1854)
    1 observation
    Dernière observation en 2023 Fiche espèce
  • Insectes
    Decticelle cendrée
    Pholidoptera griseoaptera (De Geer, 1773)
    1 observation
    Dernière observation en 2024 Fiche espèce
  • Insectes
    Mante décolorée
    Ameles decolor (Charpentier, 1825)
    1 observation
    Dernière observation en 2023 Fiche espèce
  • Insectes
    Criquet noir-ébène
    Omocestus rufipes (Zetterstedt, 1821)
    1 observation
    Dernière observation en 2023 Fiche espèce
  • Insectes
    Criquet des mouillères
    Euchorthippus declivus (Brisout de Barneville, 1848)
    1 observation
    Dernière observation en 2023 Fiche espèce
  • Insectes
    OEdipode turquoise
    Oedipoda caerulescens (Linnaeus, 1758)
    1 observation
    Dernière observation en 2023 Fiche espèce
  • Reptiles
    Couleuvre de Montpellier (La)
    Malpolon monspessulanus (Hermann, 1804)
    1 observation
    Dernière observation en 1989 Fiche espèce
  • Reptiles
    Couleuvre vipérine (La)
    Natrix maura (Linnaeus, 1758)
    1 observation
    Dernière observation en 1989 Fiche espèce
  • Mammiferes
    Murin de Bechstein
    Myotis bechsteinii (Kuhl, 1817)
    1 observation
    Dernière observation en 2010 Fiche espèce
  • Mammiferes
    Pipistrelle de Kuhl
    Pipistrellus kuhlii (Natterer in Kuhl, 1817)
    1 observation
    Dernière observation en 2010 Fiche espèce
  • Mammiferes
    Minioptère de Schreibers
    Miniopterus schreibersii (Natterer in Kuhl, 1817)
    1 observation
    Dernière observation en 2010 Fiche espèce
  • Angiospermes
    Érable sycomore
    Acer pseudoplatanus L., 1753
    1 observation
    Dernière observation en 2020 Fiche espèce
  • Angiospermes
    Achillée millefeuille
    Achillea millefolium L., 1753
    1 observation
    Dernière observation en 2020 Fiche espèce
  • Angiospermes
    Égopode podagraire
    Aegopodium podagraria L., 1753
    1 observation
    Dernière observation en 1997 Fiche espèce
  • Angiospermes
    Aïra à tiges nombreuses
    Aira multiculmis Dumort., 1824
    1 observation
    Dernière observation en 2020 Fiche espèce
  • Angiospermes
    Aïra précoce
    Aira praecox L., 1753
    1 observation
    Dernière observation en 1997 Fiche espèce
  • Angiospermes
    Alliaire
    Alliaria petiolata (M.Bieb.) Cavara & Grande, 1913
    1 observation
    Dernière observation en 2020 Fiche espèce
  • Angiospermes
    Ail du Portugal
    Allium lusitanicum Lam., 1783
    1 observation
    Dernière observation en 2020 Fiche espèce
  • Angiospermes
    Ail victorial
    Allium victorialis L., 1753
    1 observation
    Dernière observation en 2010 Fiche espèce
  • Angiospermes
    Amarante couchée
    Amaranthus deflexus L., 1771
    1 observation
    Dernière observation en 1997 Fiche espèce
  • Angiospermes
    Amarante réfléchie
    Amaranthus retroflexus L., 1753
    1 observation
    Dernière observation en 1997 Fiche espèce
  • Pteridophytes
    Anogramme à feuilles minces
    Anogramma leptophylla (L.) Link, 1841
    1 observation
    Dernière observation en 2020 Fiche espèce
  • Angiospermes
    Anthrisque commun
    Anthriscus caucalis M.Bieb., 1808
    1 observation
    Dernière observation en 1997 Fiche espèce
  • Angiospermes
    Anthrisque sylvestre
    Anthriscus sylvestris (L.) Hoffm., 1814
    1 observation
    Dernière observation en 2020 Fiche espèce
  • Angiospermes
    Muflier à grandes fleurs
    Antirrhinum majus L., 1753
    1 observation
    Dernière observation en 1997 Fiche espèce
  • Angiospermes
    Alisier blanc
    Aria edulis (Willd.) M.Roem., 1847
    1 observation
    Dernière observation en 2020 Fiche espèce
  • Angiospermes
    Arnoséride naine
    Arnoseris minima (L.) Schweigg. & Körte, 1811
    1 observation
    Dernière observation en 1997 Fiche espèce
  • Angiospermes
    Armoise champêtre
    Artemisia campestris L., 1753
    1 observation
    Dernière observation en 1997 Fiche espèce
  • Pteridophytes
    Doradille noire
    Asplenium adiantum-nigrum L., 1753
    1 observation
    Dernière observation en 1997 Fiche espèce
  • Pteridophytes
    Doradille des ânes
    Asplenium onopteris L., 1753
    1 observation
    Dernière observation en 2020 Fiche espèce
  • Pteridophytes
    Doradille du Nord
    Asplenium septentrionale (L.) Hoffm., 1796
    1 observation
    Dernière observation en 2020 Fiche espèce
  • Pteridophytes
    Doradille des murailles
    Asplenium trichomanes L., 1753
    1 observation
    Dernière observation en 2023 Fiche espèce
  • Pteridophytes
    Doradille du Tessin
    Asplenium x ticinense D.E.Mey., 1961
    1 observation
    Dernière observation en 2020 Fiche espèce
  • Angiospermes
    Canche flexueuse
    Avenella flexuosa (L.) Drejer, 1838
    1 observation
    Dernière observation en 2020 Fiche espèce
  • Angiospermes
    Ballote noire
    Ballota nigra L., 1753
    1 observation
    Dernière observation en 1997 Fiche espèce
  • Angiospermes
    Barbarée printanière
    Barbarea verna (Mill.) Asch., 1864
    1 observation
    Dernière observation en 1997 Fiche espèce
  • Angiospermes
    Bothriochloa pied-de-poule
    Bothriochloa ischaemum (L.) Keng, 1936
    1 observation
    Dernière observation en 1997 Fiche espèce
  • Angiospermes
    Brachypode rupestre
    Brachypodium rupestre (Host) Roem. & Schult., 1817
    1 observation
    Dernière observation en 2020 Fiche espèce
  • Angiospermes
    Brize intermédiaire
    Briza media L., 1753
    1 observation
    Dernière observation en 1997 Fiche espèce
  • Angiospermes
    Brome intermédiaire
    Bromus intermedius Guss., 1827
    1 observation
    Dernière observation en 1997 Fiche espèce
  • Angiospermes
    Buplèvre très élevé
    Bupleurum praealtum L., 1756
    1 observation
    Dernière observation en 2020 Fiche espèce
  • Angiospermes
    Campanule érine
    Campanula erinus L., 1753
    1 observation
    Dernière observation en 1997 Fiche espèce
  • Angiospermes
    Capselle rougeâtre
    Capsella rubella Reut., 1854
    1 observation
    Dernière observation en 1997 Fiche espèce
  • Angiospermes
    Chardon à petites fleurs
    Carduus tenuiflorus Curtis, 1793
    1 observation
    Dernière observation en 1997 Fiche espèce
  • Angiospermes
    Laîche hérissée
    Carex hirta L., 1753
    1 observation
    Dernière observation en 1997 Fiche espèce
  • Angiospermes
    Carline en corymbe
    Carlina corymbosa L., 1753
    1 observation
    Dernière observation en 1997 Fiche espèce
  • Gymnospermes
    Cèdre de l'Atlas
    Cedrus atlantica (Endl.) Manetti ex Carrière, 1855
    1 observation
    Dernière observation en 2020 Fiche espèce
  • Angiospermes
    Érythrée petite-centaurée
    Centaurium erythraea Rafn, 1800
    1 observation
    Dernière observation en 1997 Fiche espèce
  • Angiospermes
    Grande chélidoine
    Chelidonium majus L., 1753
    1 observation
    Dernière observation en 2023 Fiche espèce
  • Angiospermes
    Chénopode blanc
    Chenopodium album L., 1753
    1 observation
    Dernière observation en 1997 Fiche espèce
  • Angiospermes
    Chénopode fétide
    Chenopodium vulvaria L., 1753
    1 observation
    Dernière observation en 1997 Fiche espèce
  • Angiospermes
    Chondrille à tige de jonc
    Chondrilla juncea L., 1753
    1 observation
    Dernière observation en 1997 Fiche espèce
  • Angiospermes
    Cirse des champs
    Cirsium arvense (L.) Scop., 1772
    1 observation
    Dernière observation en 1997 Fiche espèce
  • Angiospermes
    Ciste de Pouzolz
    Cistus pouzolzii Delile, 1839
    1 observation
    Dernière observation en 2005 Fiche espèce
  • Angiospermes
    Conopode dénudé
    Conopodium majus (Gouan) Loret, 1886
    1 observation
    Dernière observation en 2020 Fiche espèce
  • Angiospermes
    Liseron des monts Cantabriques
    Convolvulus cantabrica L., 1753
    1 observation
    Dernière observation en 1997 Fiche espèce
  • Angiospermes
    Corynéphore blanchissant
    Corynephorus canescens (L.) P.Beauv., 1812
    1 observation
    Dernière observation en 1997 Fiche espèce
  • Angiospermes
    anthémide très élevée
    Cota altissima (L.) J.Gay ex Guss., 1844
    1 observation
    Dernière observation en 1997 Fiche espèce
  • Angiospermes
    Aubépine à un style
    Crataegus monogyna Jacq., 1775
    1 observation
    Dernière observation en 2020 Fiche espèce
  • Angiospermes
    Cynodon dactyle
    Cynodon dactylon (L.) Pers., 1805
    1 observation
    Dernière observation en 1997 Fiche espèce
  • Angiospermes
    Cynosure crételle
    Cynosurus cristatus L., 1753
    1 observation
    Dernière observation en 1997 Fiche espèce
  • Angiospermes
    Dactyle aggloméré
    Dactylis glomerata L., 1753
    1 observation
    Dernière observation en 2020 Fiche espèce
  • Angiospermes
    Digitaire sanguine
    Digitaria sanguinalis (L.) Scop., 1771
    1 observation
    Dernière observation en 1997 Fiche espèce
  • Angiospermes
    Chiendent des chiens
    Elymus caninus (L.) L., 1755
    1 observation
    Dernière observation en 2020 Fiche espèce
  • Angiospermes
    Épilobe hérissé
    Epilobium hirsutum L., 1753
    1 observation
    Dernière observation en 1997 Fiche espèce
  • Angiospermes
    Épilobe à petites fleurs
    Epilobium parviflorum Schreb., 1771
    1 observation
    Dernière observation en 2020 Fiche espèce
  • Pteridophytes
    Prêle des champs
    Equisetum arvense L., 1753
    1 observation
    Dernière observation en 2020 Fiche espèce
  • Angiospermes
    Éragrostide de Frank
    Eragrostis frankii C.A.Mey. ex Steud., 1854
    1 observation
    Dernière observation en 1997 Fiche espèce
  • Angiospermes
    Éragrostide verdissante
    Eragrostis virescens J.Presl, 1830
    1 observation
    Dernière observation en 1997 Fiche espèce
  • Angiospermes
    Érigéron de Karwinsky
    Erigeron karvinskianus DC., 1836
    1 observation
    Dernière observation en 1997 Fiche espèce
  • Angiospermes
    Panicaut champêtre
    Eryngium campestre L., 1753
    1 observation
    Dernière observation en 1997 Fiche espèce
  • Angiospermes
    Pavot de Californie
    Eschscholzia californica Cham., 1820
    1 observation
    Dernière observation en 2021 Fiche espèce
  • Angiospermes
    Euphorbe réveil matin
    Euphorbia helioscopia L., 1753
    1 observation
    Dernière observation en 1997 Fiche espèce
  • Angiospermes
    Euphorbe maculée
    Euphorbia maculata L., 1753
    1 observation
    Dernière observation en 1997 Fiche espèce
  • Angiospermes
    Hêtre des forêts
    Fagus sylvatica L., 1753
    1 observation
    Dernière observation en 2020 Fiche espèce
  • Angiospermes
    Fallopie des haies
    Fallopia dumetorum (L.) Holub, 1971
    1 observation
    Dernière observation en 1997 Fiche espèce
  • Angiospermes
    Fétuque du Valais
    Festuca valesiaca Schleich. ex Gaudin, 1811
    1 observation
    Dernière observation en 1997 Fiche espèce
  • Angiospermes
    Ficaire printanière
    Ficaria verna Huds., 1762
    1 observation
    Dernière observation en 2020 Fiche espèce
  • Angiospermes
    Cotonnière d'Allemagne
    Filago germanica L., 1763
    1 observation
    Dernière observation en 1997 Fiche espèce
  • Angiospermes
    Fenouil commun
    Foeniculum vulgare Mill., 1768
    1 observation
    Dernière observation en 1997 Fiche espèce
  • Angiospermes
    Fraisier sauvage
    Fragaria vesca L., 1753
    1 observation
    Dernière observation en 1997 Fiche espèce
  • Angiospermes
    Frêne élevé
    Fraxinus excelsior L., 1753
    1 observation
    Dernière observation en 2020 Fiche espèce
  • Angiospermes
    Galéopsis à feuilles étroites
    Galeopsis angustifolia Ehrh. ex Hoffm., 1804
    1 observation
    Dernière observation en 2020 Fiche espèce
  • Angiospermes
    Galéopsis à feuilles étroites
    Galeopsis angustifolia Ehrh. ex Hoffm., 1804
    1 observation
    Dernière observation en 2020 Fiche espèce
  • Angiospermes
    Gaillet blanc
    Galium album Mill., 1768
    1 observation
    Dernière observation en 1997 Fiche espèce
  • Angiospermes
    Gaillet gratteron
    Galium aparine L., 1753
    1 observation
    Dernière observation en 2020 Fiche espèce
  • Angiospermes
    Gaillet de Timéroy
    Galium timeroyi Jord., 1846
    1 observation
    Dernière observation en 1997 Fiche espèce
  • Angiospermes
    Géranium colombin
    Geranium columbinum L., 1753
    1 observation
    Dernière observation en 2020 Fiche espèce
  • Angiospermes
    Géranium luisant
    Geranium lucidum L., 1753
    1 observation
    Dernière observation en 2020 Fiche espèce
  • Angiospermes
    Géranium mou
    Geranium molle L., 1753
    1 observation
    Dernière observation en 1997 Fiche espèce
  • Angiospermes
    Géranium pourpre
    Geranium purpureum Vill., 1786
    1 observation
    Dernière observation en 2020 Fiche espèce
  • Angiospermes
    Géranium à feuilles rondes
    Geranium rotundifolium L., 1753
    1 observation
    Dernière observation en 2020 Fiche espèce
  • Angiospermes
    Héliotrope d'Europe
    Heliotropium europaeum L., 1753
    1 observation
    Dernière observation en 1997 Fiche espèce
  • Angiospermes
    Berce de Sibérie
    Heracleum sibiricum L., 1753
    1 observation
    Dernière observation en 2020 Fiche espèce
  • Angiospermes
    Herniaire cendrée
    Herniaria cinerea DC., 1815
    1 observation
    Dernière observation en 1997 Fiche espèce
  • Angiospermes
    Épervière verdâtre
    Hieracium glaucinum Jord., 1848
    1 observation
    Dernière observation en 2020 Fiche espèce
  • Angiospermes
    Hippocrépide faux baguenaudier
    Hippocrepis emerus (L.) Lassen, 1989
    1 observation
    Dernière observation en 2020 Fiche espèce
  • Angiospermes
    Houlque laineuse
    Holcus lanatus L., 1753
    1 observation
    Dernière observation en 2020 Fiche espèce
  • Angiospermes
    Hylotéléphium élevé
    Hylotelephium maximum (L.) Holub, 1978
    1 observation
    Dernière observation en 1997 Fiche espèce
  • Angiospermes
    Millepertuis à quatre ailes
    Hypericum tetrapterum Fr., 1823
    1 observation
    Dernière observation en 1997 Fiche espèce
  • Angiospermes
    Porcelle glabre
    Hypochaeris glabra L., 1753
    1 observation
    Dernière observation en 1997 Fiche espèce
  • Angiospermes
    Jonc épars
    Juncus effusus L., 1753
    1 observation
    Dernière observation en 2020 Fiche espèce
  • Gymnospermes
    Genévrier commun
    Juniperus communis L., 1753
    1 observation
    Dernière observation en 2020 Fiche espèce
  • Angiospermes
    Laitue vireuse
    Lactuca virosa L., 1753
    1 observation
    Dernière observation en 2020 Fiche espèce
  • Angiospermes
    Lampsane commune
    Lapsana communis L., 1753
    1 observation
    Dernière observation en 2020 Fiche espèce
  • Angiospermes
    Gesse sphérique
    Lathyrus sphaericus Retz., 1783
    1 observation
    Dernière observation en 1997 Fiche espèce
  • Angiospermes
    Marguerite vert-glauque
    Leucanthemum subglaucum de Laramb., 1861
    1 observation
    Dernière observation en 2020 Fiche espèce
  • Angiospermes
    Radiole faux lin
    Linum radiola L., 1753
    1 observation
    Dernière observation en 2005 Fiche espèce
  • Angiospermes
    Lin à trois stigmates
    Linum trigynum L., 1753
    1 observation
    Dernière observation en 1997 Fiche espèce
  • Angiospermes
    Chèvrefeuille des bois
    Lonicera periclymenum L., 1753
    1 observation
    Dernière observation en 2020 Fiche espèce
  • Angiospermes
    Lotier corniculé
    Lotus corniculatus L., 1753
    1 observation
    Dernière observation en 1997 Fiche espèce
  • Angiospermes
    Lotier dorycnie
    Lotus dorycnium L., 1753
    1 observation
    Dernière observation en 1997 Fiche espèce
  • Angiospermes
    Lotier dorycnie
    Lotus dorycnium L., 1753
    1 observation
    Dernière observation en 1997 Fiche espèce
  • Angiospermes
    Lunaire annuelle
    Lunaria annua L., 1753
    1 observation
    Dernière observation en 2024 Fiche espèce
  • Angiospermes
    Luzule de Forster
    Luzula forsteri (Sm.) DC., 1806
    1 observation
    Dernière observation en 2020 Fiche espèce
  • Angiospermes
    Mélique ciliée
    Melica ciliata L., 1753
    1 observation
    Dernière observation en 1997 Fiche espèce
  • Angiospermes
    Mélique uniflore
    Melica uniflora Retz., 1779
    1 observation
    Dernière observation en 2020 Fiche espèce
  • Angiospermes
    Mercuriale vivace
    Mercurialis perennis L., 1753
    1 observation
    Dernière observation en 2020 Fiche espèce
  • Angiospermes
    Mûrier
    Morus alba L., 1753
    1 observation
    Dernière observation en 1997 Fiche espèce
  • Angiospermes
    Muscari chevelu
    Muscari comosum (L.) Mill., 1768
    1 observation
    Dernière observation en 2021 Fiche espèce
  • Angiospermes
    Narcisse faux narcisse
    Narcissus pseudonarcissus L., 1753
    1 observation
    Dernière observation en 2023 Fiche espèce
  • Angiospermes
    Odontite jaune
    Odontites luteus (L.) Clairv., 1811
    1 observation
    Dernière observation en 1997 Fiche espèce
  • Angiospermes
    Orchis mâle
    Orchis mascula (L.) L., 1755
    1 observation
    Dernière observation en 2019 Fiche espèce
  • Angiospermes
    Orlaya à grandes fleurs
    Orlaya grandiflora (L.) Hoffm., 1814
    1 observation
    Dernière observation en 2020 Fiche espèce
  • Angiospermes
    Orobanche à petites fleurs
    Orobanche minor Sm., 1797
    1 observation
    Dernière observation en 2020 Fiche espèce
  • Angiospermes
    Pariétaire officinale
    Parietaria officinalis L., 1753
    1 observation
    Dernière observation en 1997 Fiche espèce
  • Angiospermes
    Orpin ampléxicaule
    Petrosedum amplexicaule (DC.) Velayos, 1988
    1 observation
    Dernière observation en 2011 Fiche espèce
  • Angiospermes
    Phillyrée moyenne
    Phillyrea media L., 1759
    1 observation
    Dernière observation en 1997 Fiche espèce
  • Angiospermes
    Raiponce en épi
    Phyteuma spicatum L., 1753
    1 observation
    Dernière observation en 2020 Fiche espèce
  • Angiospermes
    Pilloselle officinale
    Pilosella officinarum F.W.Schultz & Sch.Bip., 1862
    1 observation
    Dernière observation en 1997 Fiche espèce
  • Gymnospermes
    Pin maritime
    Pinus pinaster Aiton, 1789
    1 observation
    Dernière observation en 1997 Fiche espèce
  • Angiospermes
    Plantain élevé
    Plantago major L., 1753
    1 observation
    Dernière observation en 1997 Fiche espèce
  • Angiospermes
    Pâturin comprimé
    Poa compressa L., 1753
    1 observation
    Dernière observation en 2020 Fiche espèce
  • Angiospermes
    Pâturin des bois
    Poa nemoralis L., 1753
    1 observation
    Dernière observation en 2020 Fiche espèce
  • Angiospermes
    Polycarpon à quatre feuilles
    Polycarpon tetraphyllum (L.) L., 1759
    1 observation
    Dernière observation en 1997 Fiche espèce
  • Angiospermes
    Renouée des oiseaux
    Polygonum aviculare L., 1753
    1 observation
    Dernière observation en 1997 Fiche espèce
  • Pteridophytes
    Polypode intermédiaire
    Polypodium interjectum Shivas, 1961
    1 observation
    Dernière observation en 2020 Fiche espèce
  • Pteridophytes
    Polypode commun
    Polypodium vulgare L., 1753
    1 observation
    Dernière observation en 1997 Fiche espèce
  • Angiospermes
    Peuplier blanc
    Populus alba L., 1753
    1 observation
    Dernière observation en 2020 Fiche espèce
  • Angiospermes
    Peuplier noir
    Populus nigra L., 1753
    1 observation
    Dernière observation en 2020 Fiche espèce
  • Angiospermes
    Pourpier potager
    Portulaca oleracea L., 1753
    1 observation
    Dernière observation en 1997 Fiche espèce
  • Angiospermes
    Potérium sanguisorbe
    Poterium sanguisorba L., 1753
    1 observation
    Dernière observation en 2020 Fiche espèce
  • Angiospermes
    Prunier merisier
    Prunus avium (L.) L., 1755
    1 observation
    Dernière observation en 2020 Fiche espèce
  • Gymnospermes
    Douglas de Menzies
    Pseudotsuga menziesii (Mirb.) Franco, 1950
    1 observation
    Dernière observation en 2020 Fiche espèce
  • Pteridophytes
    Ptéridion aigle
    Pteridium aquilinum (L.) Kuhn, 1879
    1 observation
    Dernière observation en 2020 Fiche espèce
  • Angiospermes
    Pulicaire dysentérique
    Pulicaria dysenterica (L.) Bernh., 1800
    1 observation
    Dernière observation en 1997 Fiche espèce
  • Angiospermes
    Poirier épineux
    Pyrus spinosa Forssk., 1775
    1 observation
    Dernière observation en 2020 Fiche espèce
  • Angiospermes
    Chêne pubescent
    Quercus pubescens Willd., 1796
    1 observation
    Dernière observation en 2020 Fiche espèce
  • Angiospermes
    Renoncule rampante
    Ranunculus repens L., 1753
    1 observation
    Dernière observation en 1997 Fiche espèce
  • Angiospermes
    Robinier faux-acacia
    Robinia pseudoacacia L., 1753
    1 observation
    Dernière observation en 2020 Fiche espèce
  • Angiospermes
    Rosier des champs
    Rosa arvensis Huds., 1762
    1 observation
    Dernière observation en 2020 Fiche espèce
  • Angiospermes
    Ronce à feuilles d'Orme
    Rubus ulmifolius Schott, 1818
    1 observation
    Dernière observation en 2020 Fiche espèce
  • Angiospermes
    Patience oseille
    Rumex acetosa L., 1753
    1 observation
    Dernière observation en 1997 Fiche espèce
  • Angiospermes
    Rumex crépu
    Rumex crispus L., 1753
    1 observation
    Dernière observation en 2020 Fiche espèce
  • Angiospermes
    Patience élégante
    Rumex pulcher L., 1753
    1 observation
    Dernière observation en 1997 Fiche espèce
  • Angiospermes
    Sagine couchée
    Sagina procumbens L., 1753
    1 observation
    Dernière observation en 2020 Fiche espèce
  • Angiospermes
    Sauge glutineuse
    Salvia glutinosa L., 1753
    1 observation
    Dernière observation en 1997 Fiche espèce
  • Angiospermes
    Sureau noir
    Sambucus nigra L., 1753
    1 observation
    Dernière observation en 1997 Fiche espèce
  • Angiospermes
    Saxifrage de Fragoso
    Saxifraga fragosoi Sennen, 1929
    1 observation
    Dernière observation en 2020 Fiche espèce
  • Angiospermes
    Joubarbe des toits
    Sempervivum tectorum L., 1753
    1 observation
    Dernière observation en 1997 Fiche espèce
  • Angiospermes
    Silène penché
    Silene nutans L., 1753
    1 observation
    Dernière observation en 2020 Fiche espèce
  • Angiospermes
    Silène saxifrage
    Silene saxifraga L., 1753
    1 observation
    Dernière observation en 2020 Fiche espèce
  • Angiospermes
    Sisymbre officinal
    Sisymbrium officinale (L.) Scop., 1772
    1 observation
    Dernière observation en 1997 Fiche espèce
  • Angiospermes
    Spergulaire rouge
    Spergularia rubra (L.) J.Presl & C.Presl, 1819
    1 observation
    Dernière observation en 1997 Fiche espèce
  • Angiospermes
    Spiranthe d'été
    Spiranthes aestivalis (Poir.) Rich., 1817
    1 observation
    Dernière observation en 2005 Fiche espèce
  • Angiospermes
    Stellaire alsine
    Stellaria alsine Grimm, 1767
    1 observation
    Dernière observation en 2005 Fiche espèce
  • Angiospermes
    Téniathérum tête-de-méduse
    Taeniatherum caput-medusae (L.) Nevski, 1934
    1 observation
    Dernière observation en 1997 Fiche espèce
  • Angiospermes
    Tanaisie matricaire
    Tanacetum parthenium (L.) Sch.Bip., 1844
    1 observation
    Dernière observation en 1997 Fiche espèce
  • Angiospermes
    Téesdalie à tiges nues
    Teesdalia nudicaulis (L.) W.T.Aiton, 1812
    1 observation
    Dernière observation en 1997 Fiche espèce
  • Angiospermes
    Germandrée petit-chêne
    Teucrium chamaedrys L., 1753
    1 observation
    Dernière observation en 1997 Fiche espèce
  • Angiospermes
    Tolpide barbue
    Tolpis barbata (L.) Gaertn., 1791
    1 observation
    Dernière observation en 1997 Fiche espèce
  • Angiospermes
    Tordyle élevé
    Tordylium maximum L., 1753
    1 observation
    Dernière observation en 1997 Fiche espèce
  • Angiospermes
    Torilide des champs
    Torilis arvensis (Huds.) Link, 1821
    1 observation
    Dernière observation en 2020 Fiche espèce
  • Angiospermes
    Salsifis à feuilles de poireau
    Tragopogon porrifolius L., 1753
    1 observation
    Dernière observation en 1997 Fiche espèce
  • Angiospermes
    Tribule terrestre
    Tribulus terrestris L., 1753
    1 observation
    Dernière observation en 1997 Fiche espèce
  • Angiospermes
    Trèfle des champs
    Trifolium arvense L., 1753
    1 observation
    Dernière observation en 2020 Fiche espèce
  • Angiospermes
    Trèfle incarnat
    Trifolium incarnatum L., 1753
    1 observation
    Dernière observation en 1997 Fiche espèce
  • Angiospermes
    Tulipe sylvestre
    Tulipa sylvestris L., 1753
    1 observation
    Dernière observation en 2025 Fiche espèce
  • Angiospermes
    Ortie dioïque
    Urtica dioica L., 1753
    1 observation
    Dernière observation en 2020 Fiche espèce
  • Angiospermes
    Verveine officinale
    Verbena officinalis L., 1753
    1 observation
    Dernière observation en 1997 Fiche espèce
  • Angiospermes
    Véronique officinale
    Veronica officinalis L., 1753
    1 observation
    Dernière observation en 2020 Fiche espèce
  • Angiospermes
    Vesce cracca
    Vicia cracca L., 1753
    1 observation
    Dernière observation en 2020 Fiche espèce
  • Angiospermes
    Vesce fausse gesse
    Vicia lathyroides L., 1753
    1 observation
    Dernière observation en 1997 Fiche espèce
  • Angiospermes
    Violette blanche
    Viola alba Besser, 1809
    1 observation
    Dernière observation en 2020 Fiche espèce
  • Angiospermes
    Violette de Rivinus
    Viola riviniana Rchb., 1823
    1 observation
    Dernière observation en 2020 Fiche espèce
  • Angiospermes
    Aspérule pourpre
    Asperula purpurea (L.) Ehrend., 1974 subsp. purpurea
    1 observation
    Dernière observation en 1997 Fiche espèce
  • Pteridophytes
    Doradille des murailles
    Asplenium trichomanes L., 1753 subsp. trichomanes
    1 observation
    Dernière observation en 2020 Fiche espèce
  • Angiospermes
    Coincye à fleurs de giroflée
    Coincya monensis subsp. cheiranthos (Vill.) Aedo, Leadlay & Muñoz Garm., 1993
    1 observation
    Dernière observation en 1997 Fiche espèce
  • Angiospermes
    Fétuque de Westphalie
    Festuca ovina subsp. guestfalica (Boenn. ex Rchb.) K.Richt., 1890
    1 observation
    Dernière observation en 2020 Fiche espèce
  • Angiospermes
    Jonc articulé
    Juncus articulatus L., 1753 subsp. articulatus
    1 observation
    Dernière observation en 1997 Fiche espèce
  • Angiospermes
    Montie naine
    Montia fontana subsp. minor (C.C.Gmel.) Schübl. & G.Martens, 1834
    1 observation
    Dernière observation en 2005 Fiche espèce
  • Angiospermes
    Joubarbe des toits
    Sempervivum tectorum L., 1753 subsp. tectorum
    1 observation
    Dernière observation en 1997 Fiche espèce
  • Angiospermes
    Trèfle de Molineri
    Trifolium incarnatum var. molinerii (Balb. ex Hornem.) DC., 1815
    1 observation
    Dernière observation en 2020 Fiche espèce
  • Insectes
    Écaille chinée (L')
    Euplagia quadripunctaria (Poda, 1761)
    1 observation
    Dernière observation en 2025 Fiche espèce
  • Insectes
    -
    Notonecta Linnaeus, 1758
    1 observation
    Dernière observation en 2023 Fiche espèce
  • Arachnides
    -
    Philodromus Walckenaer, 1826
    1 observation
    Dernière observation en 2023 Fiche espèce
  • Mammiferes
    -
    Plecotus É. Geoffroy Saint-Hilaire, 1818
    1 observation
    Dernière observation en 2010 Fiche espèce
  • Insectes
    Cordulégastre annelé (Le)
    Cordulegaster boltonii (Donovan, 1807)
    1 observation
    Dernière observation en 2023 Fiche espèce
  • Gasteropodes
    Escargot petit-gris
    Cornu aspersum (O.F. Müller, 1774)
    1 observation
    Dernière observation en 2023 Fiche espèce
  • Mammiferes
    Murin de Daubenton
    Myotis daubentonii (Kuhl, 1817)
    1 observation
    Dernière observation en 2010 Fiche espèce
  • Insectes
    -
    Pogonosoma maroccanum (Fabricius, 1794)
    1 observation
    Dernière observation en 2024 Fiche espèce
  • Insectes
    -
    Eristalinus taeniops (Wiedemann, 1818)
    1 observation
    Dernière observation en 2023 Fiche espèce
  • Insectes
    -
    Eupeodes corollae (Fabricius, 1794)
    1 observation
    Dernière observation en 2025 Fiche espèce
  • Insectes
    -
    Camponotus fallax (Nylander, 1856)
    1 observation
    Dernière observation en 2024 Fiche espèce
  • Insectes
    -
    Camponotus piceus (Leach, 1825)
    1 observation
    Dernière observation en 2023 Fiche espèce
  • Insectes
    Tacheté austral (Le)
    Pyrgus malvoides (Elwes & Edwards, 1897)
    1 observation
    Dernière observation en 2023 Fiche espèce
  • Insectes
    Bupreste du rosier
    Coraebus rubi (Linnaeus, 1767)
    1 observation
    Dernière observation en 2023 Fiche espèce
  • Insectes
    -
    Acmaeoderella flavofasciata (Piller & Mitterpacher, 1783)
    1 observation
    Dernière observation en 2024 Fiche espèce
  • Insectes
    -
    Acmaeoderella adspersula (Illiger, 1803)
    1 observation
    Dernière observation en 2023 Fiche espèce
  • Insectes
    Anthrène des tapis
    Anthrenus verbasci (Linnaeus, 1767)
    1 observation
    Dernière observation en 2024 Fiche espèce
  • Insectes
    -
    Delta unguiculatum (Villers, 1789)
    1 observation
    Dernière observation en 2023 Fiche espèce
  • Arachnides
    Agélène à labyrinthe
    Agelena labyrinthica (Clerck, 1758)
    1 observation
    Dernière observation en 2023 Fiche espèce
  • Arachnides
    Épeire brune
    Neoscona subfusca (C.L. Koch, 1837)
    1 observation
    Dernière observation en 2023 Fiche espèce
  • Arachnides
    Diodie tête de mort
    Zilla diodia (Walckenaer, 1802)
    1 observation
    Dernière observation en 2023 Fiche espèce
  • Crustaces
    -
    Armadillidium depressum Brandt, 1833
    1 observation
    Dernière observation en 2023 Fiche espèce
  • Insectes
    Réduve masqué
    Reduvius personatus (Linnaeus, 1758)
    1 observation
    Dernière observation en 2024 Fiche espèce
  • Insectes
    -
    Dicranocephalus agilis (Scopoli, 1763)
    1 observation
    Dernière observation en 2023 Fiche espèce
  • Insectes
    -
    Rhopalus subrufus (Gmelin, 1790)
    1 observation
    Dernière observation en 2023 Fiche espèce
  • Insectes
    Alydide des genêts
    Camptopus lateralis (Germar, 1817)
    1 observation
    Dernière observation en 2023 Fiche espèce
  • Insectes
    Punaise tortue brune
    Eurygaster testudinaria (Geoffroy in Fourcroy, 1785)
    1 observation
    Dernière observation en 2023 Fiche espèce
  • Insectes
    Coccinelle à 22 points
    Psyllobora vigintiduopunctata (Linnaeus, 1758)
    1 observation
    Dernière observation en 2023 Fiche espèce
  • Insectes
    -
    Anthidium florentinum (Fabricius, 1775)
    1 observation
    Dernière observation en 2025 Fiche espèce
  • Insectes
    -
    Rhodanthidium septemdentatum (Latreille, 1809)
    1 observation
    Dernière observation en 2023 Fiche espèce
  • Insectes
    Dictyophore européen
    Dictyophara europaea (Linné, 1767)
    1 observation
    Dernière observation en 2023 Fiche espèce
  • Insectes
    Cryptocéphale à corselet rugueux
    Cryptocephalus rugicollis Olivier, 1792
    1 observation
    Dernière observation en 2025 Fiche espèce
  • Insectes
    -
    Chrysolina lucida (Olivier, 1807)
    1 observation
    Dernière observation en 2025 Fiche espèce
  • Insectes
    -
    Esperia sulphurella (Fabricius, 1775)
    1 observation
    Dernière observation en 2024 Fiche espèce
  • Insectes
    Pyrauste ensanglantée
    Pyrausta sanguinalis (Linnaeus, 1767)
    1 observation
    Dernière observation en 2023 Fiche espèce
  • Insectes
    Brocatelle d'or (La)
    Camptogramma bilineata (Linnaeus, 1758)
    1 observation
    Dernière observation en 2023 Fiche espèce
  • Insectes
    Incertaine (L')
    Xanthorhoe fluctuata (Linnaeus, 1758)
    1 observation
    Dernière observation en 2025 Fiche espèce
  • Insectes
    Nonne (La)
    Lymantria monacha (Linnaeus, 1758)
    1 observation
    Dernière observation en 2025 Fiche espèce
  • Insectes
    Ecaille fermière (L')
    Arctia villica (Linnaeus, 1758)
    1 observation
    Dernière observation en 2025 Fiche espèce
  • Insectes
    Noctuelle de la Cardère (La)
    Heliothis viriplaca (Hufnagel, 1766)
    1 observation
    Dernière observation en 2023 Fiche espèce
  • Insectes
    Armigère (L')
    Helicoverpa armigera (Hübner, 1808)
    1 observation
    Dernière observation en 2023 Fiche espèce
  • Insectes
    Méticuleuse (La)
    Phlogophora meticulosa (Linnaeus, 1758)
    1 observation
    Dernière observation en 2024 Fiche espèce
  • Insectes
    -
    Scolia hirta hirta (Schrank, 1781)
    1 observation
    Dernière observation en 2023 Fiche espèce
  • Insectes
    -
    Carpocoris mediterraneus atlanticus Tamanini, 1958
    1 observation
    Dernière observation en 2023 Fiche espèce
  • Insectes
    Attagène à trois bandes
    Attagenus trifasciatus (Fabricius, 1787)
    1 observation
    Dernière observation en 2023 Fiche espèce
  • Insectes
    Collète du lierre
    Colletes hederae Schmidt & Westrich, 1993
    1 observation
    Dernière observation en 2023 Fiche espèce
  • Mousses
    -
    Oxyrrhynchium hians (Hedw.) Loeske, 1907
    1 observation
    Dernière observation en 2020 Fiche espèce
  • Mousses
    -
    Sciuro-hypnum plumosum (Hedw.) Ignatov & Huttunen, 2002
    1 observation
    Dernière observation en 2020 Fiche espèce
  • Mousses
    -
    Hypnum cupressiforme Hedw., 1801 var. cupressiforme
    1 observation
    Dernière observation en 2020 Fiche espèce
  • Amphibiens
    Grenouille rieuse (La)
    Pelophylax ridibundus (Pallas, 1771)
    1 observation
    Dernière observation en 2022 Fiche espèce
  • Arachnides
    -
    Araneus angulatus personatus Simon, 1929
    1 observation
    Dernière observation en 2023 Fiche espèce
  • Arachnides
    -
    Araneus pallidus Olivier, 1789
    1 observation
    Dernière observation en 2024 Fiche espèce
  • Lichens
    -
    Flavoparmelia caperata (L.) Hale, 1986
    1 observation
    Dernière observation en 2020 Fiche espèce
  • Oiseaux
    Mésange bleue
    Cyanistes caeruleus (Linnaeus, 1758)
    1 observation
    Dernière observation en 2024 Fiche espèce
  • Angiospermes
    Lysimaque minime
    Lysimachia minima (L.) U.Manns & Anderb., 2009
    1 observation
    Dernière observation en 2005 Fiche espèce
  • Angiospermes
    Érigéron âcre
    Erigeron acris L., 1753
    1 observation
    Dernière observation en 1997 Fiche espèce
  • Angiospermes
    Chénopode botryde
    Dysphania botrys (L.) Mosyakin & Clemants, 2002
    1 observation
    Dernière observation en 1997 Fiche espèce
  • Lichens
    -
    Fuscopannaria P.M.Jørg., 1994
    1 observation
    Dernière observation en 2020 Fiche espèce
  • Hepatiques et Anthocerotes
    -
    Metzgeria furcata (L.) Corda, 1829
    1 observation
    Dernière observation en 2020 Fiche espèce
  • Lichens
    -
    Parmotrema perlatum (Huds.) M.Choisy, 1952
    1 observation
    Dernière observation en 2020 Fiche espèce
  • Insectes
    Cucullie de la Molène-Lychnis (La)
    Cucullia lychnitis Rambur, 1833
    1 observation
    Dernière observation en 2023 Fiche espèce
  • Angiospermes
    Laîche modeste
    Carex demissa Hornem., 1806
    1 observation
    Dernière observation en 2020 Fiche espèce
  • Insectes
    Cynips du châtaignier
    Dryocosmus kuriphilus Yasumatsu, 1951
    1 observation
    Dernière observation en 2020 Fiche espèce
  • Mousses
    -
    Nogopterium gracile (Hedw.) Crosby & W.R.Buck, 2011
    1 observation
    Dernière observation en 2020 Fiche espèce
  • Angiospermes
    Clinopode à feuilles de menthe
    Clinopodium nepeta subsp. sylvaticum (Bromf.) Peruzzi & F.Conti, 2008
    1 observation
    Dernière observation en 2020 Fiche espèce
  • Angiospermes
    Primevère vraie
    Primula veris L., 1753 var. veris
    1 observation
    Dernière observation en 2020 Fiche espèce
  • Insectes
    -
    Vanessa atalanta atalanta (Linnaeus, 1758)
    1 observation
    Dernière observation en 2024 Fiche espèce
  • Insectes
    Ténébrion bleu
    Helops caeruleus (Linnaeus, 1758)
    1 observation
    Dernière observation en 2024 Fiche espèce
  • Mousses
    -
    Lewinskya rupestris (Schleich. ex Schwägr.) F.Lara, Garilleti & Goffinet, 2016
    1 observation
    Dernière observation en 2020 Fiche espèce
  • Mousses
    -
    Lewinskya striata (Hedw.) F.Lara, Garilleti & Goffinet, 2016
    1 observation
    Dernière observation en 2020 Fiche espèce
  • Autres
    -
    Fomitiporia punctata (P.Karst.) Murrill, 1947
    1 observation
    Dernière observation en 2020 Fiche espèce
  • Mousses
    -
    Pulvigera lyellii (Hook. & Taylor) Plášek, Sawicki & Ochyra, 2015
    1 observation
    Dernière observation en 2020 Fiche espèce
  • Mousses
    -
    Hedwigia emodica Hampe ex Müll.Hal., 1878
    1 observation
    Dernière observation en 2020 Fiche espèce
  • Angiospermes
    Prunier hybride
    Prunus domestica var. insititia (L.) Fiori & Paol., 1898
    1 observation
    Dernière observation en 1997 Fiche espèce
  • Insectes
    Criquet duettiste
    Gomphocerippus brunneus (Thunberg, 1815)
    1 observation
    Dernière observation en 2023 Fiche espèce
  • Angiospermes
    Épilobe à feuilles étroites
    Chamaenerion angustifolium (L.) Scop., 1771 subsp. angustifolium
    1 observation
    Dernière observation en 1997 Fiche espèce
  • Pteridophytes
    Dryoptéride de Borrer
    Dryopteris borreri (Newman) Kinahan, 1856
    1 observation
    Dernière observation en 2020 Fiche espèce
  • Insectes
    -
    Ichneumon stramentor Rasnitsyn, 1981
    1 observation
    Dernière observation en 2024 Fiche espèce
  • Angiospermes
    Ornithogale des montagnes
    Ornithogalum kochii subsp. monticola (Jord. & Fourr.) Peruzzi, 2006
    1 observation
    Dernière observation en 2020 Fiche espèce
  • Insectes
    Moustique tigre
    Stegomyia albopicta (Skuse, 1894)
    1 observation
    Dernière observation en 2024 Fiche espèce
100 dernières observations dans la commune de Soudorgues
Chargement...