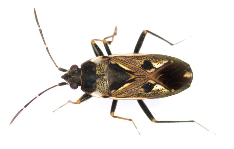
Rhyparochromus vulgaris (Schilling, 1829)
Classe :
Insecta
Ordre :
Hemiptera
Famille :
Rhyparochromidae
Sous-Famille :
Rhyparochrominae
Tribu :
Rhyparochromini
Genre :
Rhyparochromus
Chargement...
- 1 observation
-
1
commune -
1
observateur
1
organisme -
Première observation
2023 -
Dernière observation
2023
Amélia Olivier
-
iNaturalist
Participation à 1 Observation
Part d'aide à la prospection : 100.00 %Fiche organisme
Informations espèce
Aphanus vulgaris (Schilling, 1829)
|
Pachymerus vulgaris Schilling, 1829
|
Raglius vulgaris vulgaris (Schilling, 1829)
|